Sägewerk Möller
Ehemaliges Sägewerk“
Wohnen statt Gewerbe: Neues Baugebiet in Ahnsen
Der Gemeinderat Ahnsen hat den Bebauungsplan „Ehemaliges Sägewerk“ verabschiedet. Das ist in der Dorfmitte geplant:
veröffentlicht am 31.05.2023 um 07:00 Uhr
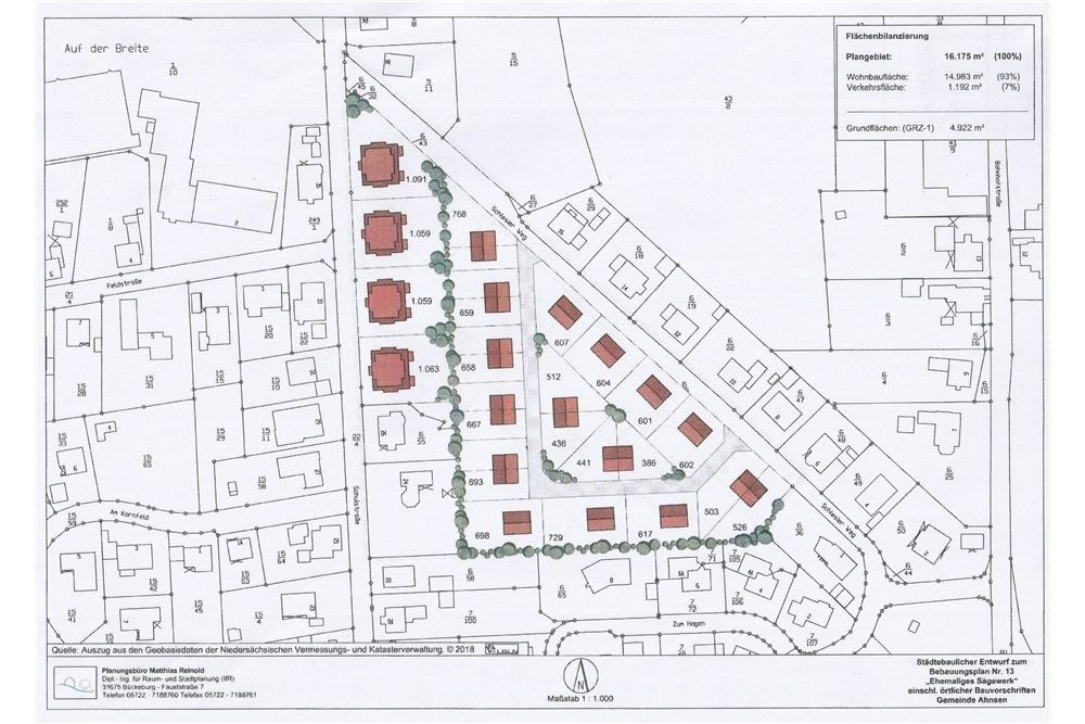
AHNSEN. Das Verfahren hat sich wie immer wieder berichtet lange hingezogen, doch nun ist der Bebauungsplan „Ehemaliges Sägewerk“ in trockenen Tüchern: Der Gemeinderat Ahnsen beschloss die Bauleitplanung für das Gelände des ehemaligen Sägewerks Möller im Dreieck zwischen Schlesierweg und Schulstraße. Statt der Gewerbenutzung mitten im Dorf wird dort ein neues Wohngebiet und ungefähr 20 Gebäuden entstehen.
Keine Bedenken mehr
Planer Matthias Reinhold fasste für den Rat die wichtigsten Verfahrensschritte und Planinhalte noch einmal zusammen. Die Reaktionen auf die öffentliche Auslegung und die Beteiligung der Behörden und sonstigen Träger öffentlicher Belange seien abgewogen und zum Großteil eingearbeitet worden. Grundsätzliche Bedenken gegen die Planungen habe es nicht gegeben.
Bereits im Vorfeld hatte man Bürgerinnen und Bürger, insbesondere die Nachbarn, mit einer Informationsveranstaltung eingebunden. Deren Anregungen und Kritik wurden weitgehend berücksichtigt. Kritik hatte es unter anderem an Baumfällungen gegeben.
Platz für 20 Gebäude
Jetzt wurde der Pflanzstreifen auf den Grundstücken im Süden des Bereichs von drei auf fünf Meter verbreitert. Dort ist in Nachbarschaft zum Wohngebiet Im Hagen ebenso wie entlang des Schlesierwegs eine eingeschossige Bebauung vorgesehen. Im Osten an der der Schulstraße können auch drei zweigeschossige Mehrfamilienhäuser gebaut werden.
Reinhold wies auf die Unterschiede heutiger Bauleitplanung im Vergleich zu den Wohngebieten der 1990-er Jahre hin. Damals sei großzügiger mit der Fläche umgegangen worden, eine eher niedrigere Gebäudehöhe sei angesagt gewesen. Heute jedoch bestehe die Forderung, unterschiedlichsten Wohnbedarf von der kleinen Mietwohnung bis zum Einfamilienhaus zu decken. Dabei müsse möglichst kosten-, flächen- und energiesparend vorgegangen werden. Genau diese Forderungen spiegele der B-Plan Ehemaliges Sägewerk wieder.
Großer Wert wird auch eine zeitgemäße und naturverträgliche Grünplanung gelegt. Es gibt Pflanzvorgaben für die Grundstücke, Schotter- oder Steingärten werden ausgeschlossen.
Wohnen statt Gewerbe
Ratsherr Robert Pavlista brachte die Stimmung im Rat noch einmal auf den Punkt: Das Gelände habe im Laufe der Zeit schon viel gesehen. Jetzt nehme man einen guten Weg, das Wohnen kehre in den Dorfkern zurück. Diese Auffassung spiegelte sich auch im Abstimmungsergebnis: Die Entscheidung für den neuen B-Plan fiel einstimmig.
Haushalt 2023
Rat verabschiedet Haushalt
Das sind die wichtigsten Investitionen der Gemeinde Ahnsen
AHNSEN. Mit einer Gegenstimme hat der Rat der Gemeinde den Haushaltsplan nebst Satzung für das laufende Jahr beschlossen. Mit dem Zahlenwerk zeigen sich Bürgermeister Pierre Pohl (SPD) und CDU-Fraktionssprecher Robert Pavlista recht zufrieden, zumal der Haushalt im Rahmen einer guten Zusammenarbeit zwischen den beiden im Rat vertretenen Parteien aufgestellt wurde. Und das vorhandene Geld reicht, um dringende und notwendige Investitionen in die Realität umzusetzen. In den Mutterschutz verabschiedet wurde auch Gemeindedirektorin Lena Bödeker, die während der Sitzung des Ortsgremiums noch einmal die Einnahmen und Ausgaben sowie die Investitionen der Gemeinde erläuterte.
Das Dorfgemeinschaftshaus soll bzw. muss im Energiebereich saniert werden. Um endlich ein vernünftiges Gesamtkonzept in die Hände zu bekommen, will die Gemeinde in diesem Jahr 15 000 Euro für einen Planer ausgeben. Ein neuer Spielturm für den Spielplatz am Dorfgemeinschaftshaus, der allerdings schon aufgebaut wurde, schlägt mit 40 000 Euro zu Buche. Ein großer Posten im Investivbereich der Gemeinde ist auch die Flutlichtanlage auf dem Sportplatz, die auf energiesparende LED-Technik umgerüstet werden soll. Gleichzeitig soll auch eine bessere Ausleuchtung des Sportplatzes erreicht werden. Die Umrüstung der Anlage kostet etwa 29 000 Euro. Diese Maßnahme wird zu 55 Prozent öffentlich gefördert, sodass der Gemeinde immerhin 15 900 Euro zurückerstattet werden.
Ferner erhält der Sportplatz eine neue Tribüne, die Straßenbeleuchtung am Birkenweg wird verbessert und der Platz in der Gemeinde, auf dem die Glascontainer stehen, soll aufbereitet werden, wie im Haushalt festgehalten ist. Weitere 7000 Euro will der Rat für vorbereitende Planungen für die Sanierung des defekten Regenwasserkanals in der Straße „An der Aue“ ausgeben. Überhaupt soll in diesem Jahr ein Ingenieurbüro ein Regenwasser-Kanalkataster aufstellen. Im Rahmen dieser Arbeit werden dann alle betreffenden Kanäle auf ihren baulichen Zustand untersucht.
Haupteinnahmequelle der Gemeinde Ahnsen ist mit eingeplanten 491 100 Euro die Einkommenssteuer. Dann folgt mit 186 400 die Gewerbesteuer vor der Grundsteuer B mit 90 700 und der Umsatzsteuer mit 53 700 Euro. Aus der Grundsteuer A erwartet die Gemeinde Einnahmen in Höhe von 5000 Euro und die Hundesteuer soll 3 600 Euro bringen.
Die Gemeinde muss aber auch viel Geld an den Landkreis und an die Samtgemeinde zahlen. Der Hebesatz der Kreisumlage ist weiterhin auf 51,8 Prozent festgesetzt, sodass Ahnsen 388 200 Euro nach Stadthagen überweisen muss. Der Hebesatz der Samtgemeindeumlage wurde um 3,76695 Prozentpunkte gesenkt, sodass in diesem Jahr „nur“ 252 900 Euro zu zahlen sind.
Während der Sitzung des Gemeinderates wurde Lena Bödeker, die in den Mutterschutz geht, mit einem kleinen Geschenk offiziell verabschiedet. Der neue Gemeindedirektor Olaf Humke erhielt ebenfalls ein kleines Begrüßungsgeschenk.
Übrigens: Die Gemeinde erwartet zum Ende des Haushaltsjahres einen Schuldenstand in Höhe von 45 200 Euro. Umgerechnet auf die 1005 Einwohner, die in Ahnsen am 30. Juni 2022 gemeldet waren, bedeutet das, dass die Schulden je Einwohner sich auf 44,98 Euro belaufen. möh
Flöte Treckerschleuse
Illegale Abkürzung
Wie in Ahnsen gegen ignorante Pkw-Fahrer vorgegangen wird
AHNSEN. Die Straße In der Flöte soll durch eine bauliche Maßnahme an einem Ende für Pkw gesperrt werden. Warum? Und was genau ist dort geplant?
AHNSEN. Der Feldweg am westlichen Ende der in Ahnsen gelegenen Straße In der Flöte soll durch eine bauliche Maßnahme für Pkw gesperrt werden. Geplant ist, dort eine sogenannte Treckerschleuse einzubauen, die aufgrund ihrer besonderen Konstruktion zwar Traktoren und Fahrrädern eine Durchfahrt ermöglich, nicht aber Autos. Die Verwaltung soll für die Maßnahme eine entsprechende verkehrsbehördliche Anordnung (sozusagen eine Genehmigung) bei der Straßenverkehrsbehörde des Landkreises Schaumburg beantragen. Das hat der Rat der Gemeinde in seiner jüngsten Sitzung einstimmig beschlossen. Die ursprünglich von der Kommunalpolitik diskutierte Option, den Feldweg durch die Aufstellung von Klapppfosten für Pkw zu sperren, ist damit vom Tisch.
Treckerschleuse statt Klapppfosten
Mit seiner Entscheidung folgte der Gemeinderat einem Vorschlag des Landkreises Schaumburg. Dieser hatte der Kommune nach Information der Gemeindeverwaltung jüngst den Einbau einer Treckerschleuse als praktischere Alternative zu den Klapppfosten empfohlen.
Anstoß für den Ratsbeschlusses hat gegeben, dass der landwirtschaftlichen Fahrzeugen vorbehaltene Feldweg immer wieder unerlaubt von Autofahrern als Abkürzung genutzt wird; und zwar sowohl von Ahnsen in Richtung Bückeburg als auch in umgekehrter Fahrtrichtung. Dadurch soll der Autoverkehr in der Straße In der Flöte stark zugenommen haben. Über diese Situation hatten sich mehrere Anwohner beschwert (wir berichteten).
Kein Durchkommen mehr für Rettungskräfte
In Anbetracht dessen hatte Robert Pavlista (CDU) bereits im November 2019 angeregt, den Feldweg durch den Einbau einer Treckerschleuse für die Benutzung mit Pkw zu sperren.
Der ehemalige SPD-Ratsherr Volker Wiehe indes hatte in der damaligen Ratssitzung in Abrede gestellt, dass der Autoverkehr in der Straße In der Flöte zugenommen habe. Zudem hatte er zu bedenken gegeben, die Landwirte seien nicht nur mit Treckern, sondern auch mit Pkw unterwegs, um zu deren landwirtschaftlichen Flächen zu gelangen. Insofern wären die Landwirte bei Einbau einer Treckerschleuse in den Feldweg ebenfalls von der Sperrung betroffen. Überdies kämen dann auch keine Krankenwagen und Polizeiautos mehr durch.
Gemeindedirektor
Gemeindedirektor ernannt
Das ist der neue Verwaltungsleiter der Gemeinde Ahnsen
AHNSEN. Wechsel in der Verwaltung der Gemeinde Ahnsen: Deren bisherige Gemeindedirektorin Lena-Christin Bödeker scheidet zum 1. April aus privaten Gründen aus diesem Ehrenbeamtenverhältnis aus. Nachfolger wird der verbeamtete Diplom-Verwaltungswirt Olaf Humke, der seit Anfang März dieses Jahres hauptberuflich bei der Samtgemeinde Eilsen tätig ist – als Leiter von deren Fachbereichs Zentrale Dienste und Personal.
AHNSEN. Wechsel in der Verwaltung der Gemeinde Ahnsen: Deren bisherige Gemeindedirektorin Lena-Christin Bödeker scheidet zum 1. April aus privaten Gründen aus diesem Ehrenbeamtenverhältnis aus. Nachfolger wird der verbeamtete Diplom-Verwaltungswirt Olaf Humke, der seit Anfang März dieses Jahres hauptberuflich bei der Samtgemeinde Eilsen tätig ist – als Leiter deren Fachbereichs Zentrale Dienste und Personal.
Leiter des Fachbereichs Ordnung und Sicherheit
Zuletzt war er eigenen Angaben nach im Hauptberuf viele Jahre lang Leiter des Fachbereichs Ordnung und Sicherheit bei der Gemeinde Auetal.
Der Rat der Gemeinde Ahnsen hat Humke zum 1. April einstimmig zu deren neuem Gemeindedirektor ernannt. Diese Funktion bekleidet der 58-Jährige dann im Ehrenbeamtenverhältnis neben seiner hauptberuflichen Tätigkeit.
Parkverbot 2023
Geteilte Meinungen
Darum soll in der Ahnser Schulstraße ein Parkverbot ausgewiesen werden
AHNSEN. Bislang dürfen auf der Schulstraße in Ahnsen auf beiden Fahrbahnseiten Autos geparkt werden. Die Gemeinde will dies jedoch ändern. Warum? Und was spricht dagegen?
veröffentlicht am 08.03.2023 um 08:00 Uhr
AHNSEN. In der Schulstraße in Ahnsen soll ein einseitiges Parkverbot ausgewiesen werden, das für die östliche Straßenseite gelten soll. Das hat der Rat der Gemeinde in seiner jetzigen Sitzung mehrheitlich bei einer Gegenstimme (Hans-Jürgen Kauffeld / SPD) beschlossen. Die Verwaltung ist beauftragt worden, die Einrichtung der Parkverbotszone beim Straßenverkehrsamt des Landkreises Schaumburg zu beantragen.
Gemeinsamer Antrag der SPD-Ratsfraktion und der CDU-Ratsfraktion
Anstoß für den Ratsbeschluss hat nach Information der Gemeinde ein gemeinsamer Antrag der SPD-Ratsfraktion und der CDU-Ratsfraktion gegeben. Hintergrund sei, dass der Verkehr in der Schulstraße bislang regelmäßig aufgrund von dort auf beiden Straßenseiten geparkten Autos beeinträchtigt werde. Besonders an den Wochenenden und während Veranstaltungen (Dorfgemeinschaftshaus, Sportplatz) sei ein Durchfahren der Schulstraße „kaum möglich“. Damit diese aber von der Feuerwehr oder anderen Rettungskräften passiert werden könne, sei ein einseitiges Parkverbot „zwingend erforderlich“.
Nicht genug Platz auf Grundstücken
Warum hat Hans-Jürgen Kauffeld gegen den Vorschlag von SPD und CDU gestimmt? Manche Anwohner hätten einfach nicht genug Platz auf deren Grundstücken, um dort deren Autos abzustellen, erklärt er auf Anfrage dieser Zeitung. Mitunter besitzen die jeweiligen Haushalten seiner Wahrnehmung nach nämlich mehrere Fahrzeuge – und somit bleibt eben nur, einen Teil davon auf der Straße zu parken. Hinzu kommt ihm zufolge: Bei einem einseitigen Parkverbot in der Schulstraße könnten jene Autos nur noch auf der westlichen Seite geparkt werden, wo der Platz dann wegen der freizuhaltenden Grundstückseinfahrten knapp werden würde. Außerdem müssten etwaige Besucher deren Fahrzeuge ja auch noch irgendwo parken können.
Vertrauen auf gesunden Menschenverstand
Kauffeld plädiert deshalb dafür, auf den gesunden Menschenverstand der Anwohner und deren Besucher zu vertrauen, dass diese deren Autos „nicht ganz wild irgendwo hinstellen“.
Radweg
Vizebürgermeister Robert Pavlista: „Da stellen sich mir die Nackenhaare auf“
Warum Radfahrer in Ahnsen auf der Landesstraße fahren sollen
Im Zuge der in Ahnsen erfolgten Sanierung der durch den Ort führenden Landesstraße 451 ist neben dieser Straße auf südwestlicher Seite ein Gehweg angelegt worden, der nur in eine Richtung mit dem Rad befahren werden darf. Warum aber nicht auch in die andere Richtung? Diese Frage hat Robert Pavlista, der zweite stellvertretende Bürgermeister (CDU), bei der jüngsten Ratssitzung aufgeworfen.
veröffentlicht am 14.10.2022 um 13:00 Uhr
AHNSEN. Die Verkehrszeichen an dem durch Ahnsen führenden sanierten Teilstück der Landesstraße 451 – genauer: die dort für Radfahrer geltenden Verkehrsregeln – sind Thema bei der Sitzung des Gemeinderates gewesen. So warf Robert Pavlista, der zweite stellvertretende Bürgermeister (CDU) Ahnsens, die Frage auf, warum aus Richtung Vehlen kommende Radfahrer den rechts von der Straße verlaufenden Gehweg benutzen dürfen, während aus Richtung Bad Eilsen kommende Radfahrer diesen Gehweg nicht befahren dürfen.
Wegen der Gleichberechtigung - Radfahrer auf die Fahrbahn
Mehr als 25 Jahre habe man darauf gewartet, dass an dieser Ortsdurchfahrt (Vehler Straße / Friedrich-Ebert-Straße) ein kombinierter Geh-/Radweg gebaut werde, und jetzt das, kritisierte Pavlista. „Da stellen sich mir die Nackenhaare auf.“
Da die Gemeindeverwaltung bei der jetzigen Ratssitzung keine Erklärung für diese Verkehrsregelung geben konnte, teilte sie mit, diesbezüglich bei der zuständigen Straßenverkehrsbehörde nachfragen und bei der nächsten Ratssitzung über das Ergebnis berichten zu wollen.
Dem hat diese Zeitung schon mal vorgegriffen und sich ihrerseits erkundigt, was es mit der von Pavlista monierten Radweg-Regelung auf sich hat: Grundsätzlich sei es heute so, dass die Radfahrer auf den Straßen fahren sollen, um dadurch nach den Vorstellungen des Gesetzgebers die Akzeptanz dafür zu schaffen, dass Radfahrer und Kraftfahrer auf der Straße gleichberechtigt seien, informiert Marco Feußner, Leiter der Verkehrsaufsicht der Unteren Verkehrsbehörde des Landkreises Schaumburg. Dies gelte von Grundsatz her auch für die Ortsdurchfahrt in Ahnsen. Sofern sich aus Richtung Vehlen kommende Radfahrer auf der Straße jedoch nicht sicher fühlen sollten, dürften diese alternativ den mit dem Zusatzzeichen „Radfahrer frei“ beschilderten neuen Gehweg benutzen. Dies ihm zufolge aber eben nur in diese Fahrtrichtung, da der Gehweg für einen Begegnungsverkehr von Radfahrern zu schmal ist.
Verkehrsaufsicht verweist auf geringen Spielraum
„Der Gesetzgeber möchte das so, unser Spielraum ist daher relativ gering“, betont Feußner. Ausnahmen von dem Prinzip, Radfahrer gleichberechtigt mit Kraftfahrern auf der Straße fahren zu lassen, werden seinen Angaben nach nur dort gemacht, wo aufgrund starken Kraftfahrzeugverkehrs eine große Gefährdung der Radfahrer gegeben wäre. Nach wie vor gelte aber generell, dass Kinder bis zum vollendeten achten Lebensjahr auf dem Gehweg fahren müssen und Kinder bis zum vollendeten zehnten Lebensjahr auf dem Gehweg fahren dürfen – die jeweiligen Begleitpersonen eingeschlossen.
Laut Feußner setzt das vom Gesetzgeber forcierte gleichberechtigte Miteinander auf der Straße freilich voraus, dass sich die Radfahrer und Kraftfahrer an die Verkehrsregeln halten und auch lernen, Rücksicht aufeinander zu nehmen. Dass dies durchaus möglich sei, zeige die Unfallstatistik, gemäß der es heute „nicht signifikant mehr Unfälle“ auf der Straße gebe als früher. Zwar habe die Anzahl der Fahrradunfälle zugenommen, es werde aber auch deutlich mehr Fahrrad gefahren.
Mit freundlicher Genehmigung: Schaumburger Zeitung / Schaumburg-Lippische Landeszeitung
Vehler Straße
So begründet der CDU-Ratsherr Carsten Borrmann seinen Vorstoß
Vehler Straße in Ahnsen: Parkverbot soll Unfallgefahr senken
AHNSEN. Gleich mehrere Faktoren tragen dazu bei, dass im Bereich der Vehler Straße in Ahnsen eine erhöhte Unfallgefahr besteht. Welche das sind, hat der CDU-Ratsherr Carsten Borrmann bei der Sitzung des Gemeinderates und in einem Gespräch mit dieser Zeitung erklärt. Vorschläge zur Lösung des Problems hat er ebenfalls gemacht.
veröffentlicht am 14.10.2022 um 08:00 Uhr
AHNSEN. Auf eine erhöhte Unfallgefahr im Bereich der Vehler Straße in Ahnsen hat der CDU-Ratsherr Carsten Borrmann bei der Sitzung des Gemeinderates hingewiesen. Dabei bezog er sich auf das vor der Einmündung der Schulstraße gelegene nördliche Teilstück der stark frequentierten Ortsdurchfahrt. Genauer noch: auf Fahrzeuge von etwa Anwohnern, die vor dem Kurveneingang auf der Straße geparkt werden.
Borrmanns Schilderung nach sind dort meterlange Bremsspuren auf dem Asphalt zu sehen, die darauf hindeuten, dass es in dem Bereich offenbar schon mehrfach zu gefährlichen Verkehrssituationen gekommen ist. Zur Lösung des Problems regte er daher an, die Ortsdurchfahrt mit Fahrbahnmarkierungen versehen zu lassen, da bei einer durchgehenden Linie entlang des Fahrbahnrandes nicht mehr auf der Straße geparkt werden dürfe; zumindest dürfe die Linie nicht überfahren werden – auch nicht zum Parken.
Auf Anfrage dieser Zeitung erklärte Borrmann später, das von ihm gesehene Unfallrisiko resultiere auch daraus, dass viele Autofahrer mit überhöhter Geschwindigkeit in den Ort hineinführen und diesen „Schwung“ beim Umfahren der auf der Straße geparkten Autos quasi mitnähmen. Komme ihnen dabei dann ein ortsauswärts fahrender Verkehrsteilnehmer entgegen, der zu schnell durch die nicht einsehbares Kurve fahre, könne es für beide eng werden. Nach Meinung von Borrmann wäre es daher sinnvoll, auf diesem Teilstück der Vehler Straße nicht nur Fahrbahnmarkierungen aufzubringen, sondern dort auch ausdrücklich ein Parkverbot auszuweisen.
Bei der Ratssitzung ging Lena Bödeker, die Gemeindedirektorin, dergestalt auf Borrmanns Hinweis ein, indem sie zusicherte, vonseiten der Verwaltung zu klären, welche Möglichkeiten es gibt, die von ihm beschriebene Verkehrssituation zu entschärfen.
Mit freundlicher Genehmigung: Schaumburger Zeitung / Schaumburg-Lippische Landeszeitung
Dorfgemeinschaftshaus
Private Feiern werden teurer
Dorfgemeinschaftshaus Ahnsen: Neue Gebührenordnung ab 1. Januar 2023
AHNSEN. Nichts ist für die Ewigkeit, so auch nicht die Gebührenordnung für das Ahnser Dorfgemeinschaftshaus. Zuletzt hatte die Kommune die Preise für die Nutzung der dortigen Räumlichkeiten im Jahr 2017 angehoben, jetzt hat deren Gemeinderat erneut eine Gebührenerhöhung beschlossen – und die ist deutlich.
veröffentlicht am 08.10.2022
Verlangte die Gemeinde Ahnsen für die Benutzung des Saales einschließlich Vorhalle und Buffet-Raum bislang 70 Euro pro Tag, zahlen Ahnser Bürger dafür ab 1. Januar kommenden Jahres 200 Euro pro Tag (24 Stunden); nicht in Ahnsen ansässige Nutzer zahlen zukünftig sogar 250 Euro. Jede weitere Stunde kostet 15 Euro. Sofern diese Räumlichkeiten nur für eine Dauer von bis zu fünf Stunden angemietet werden, wird ein halber Tagessatz erhoben.
Keine pauschalen Reinigungsgebühren mehr
Neu ist auch, dass die Gemeinde Ahnsen keine pauschalen Reinigungsgebühren mehr von den Nutzern kassiert. Stattdessen werden den Nutzern die Reinigungskosten gesondert durch die von der Kommune beauftragte Reinigungsfirma in Rechnung gestellt.
Unverändert geblieben sind indes die Gebühren für die Benutzung der Küche einschließlich des Geschirrs (25 Euro pro Tag), den Stromverbrauch und die Heizung (jeweils 0,35 Euro pro Kilowattstunde) sowie des Beamers (20 Euro pro Tag).
Es können mehr Einnahmen erzielt werden
Der von der Verwaltung für die Ratssitzung erstellten Beschlussvorlage war zu entnehmen, dass durch eine Anpassung der Nutzungsgebühren mehr Einnahmen erzielt werden könnten, was wiederum zu einem wirtschaftlicheren Betrieb des Dorfgemeinschaftshauses beitrage. Pierre Pohl, der Bürgermeister (SPD), merkte ergänzend an, die bisher für den Saal nebst Vorhalle und Buffet-Raum verlangte Tagesmiete habe weit unter den Tarifen gelegen, die in anderen Kommunen für die Benutzung deren Dorfgemeinschaftshäuser zu bezahlen seien.
Bestimmte Gruppen haben die Nutzung gratis
Auf Anregung von Robert Pavlista, dem zweiten stellvertretenden Bürgermeister (CDU), wurde ein in der alten Gebührenordnung enthaltener Passus in die neue Gebührenordnung übernommen. Demgemäß ist kulturellen, religiösen, sozialen, sportlichen, gesellschaftlichen und politischen Vereinigungen und Gruppen der Gemeinde Ahnsen die Benutzung des Gebäudes und Saales zu regelmäßigen Zusammenkünften, die dem Vereins- oder Gruppencharakter entsprechen, kostenlos gestattet.
Bis zu fünfstündige Nutzungsdauer
Dass die neue Gebührenordnung den erwähnten halben Tagessatz für eine bis zu fünfstündige Nutzungsdauer ausweist, ging auf einen Vorschlag des CDU-Ratsherrn Carsten Borrmann zurück. Bisher habe es nämlich ebenfalls solch eine Regelung gegeben, begründete er seine Empfehlung.
Mit freundlicher Genehmigung: Schaumburger Zeitung / Schaumburg-Lippische Landeszeitung
Straßenlampen
Sitzung des Gemeinderates: Energiekrise ist Thema
Warum Ahnsens Straßenlampen nach Mitternacht ausgeschaltet werden
AHNSEN. Der Rat der Gemeinde Ahnsen hat beschlossen, dass die Straßenbeleuchtung im Ort in den kommenden Monaten allnächtlich für mehrere Stunden ausgeschaltet wird. An der Umsetzung der Energieeinsparmaßnahme wollen sich die Ratsmitglieder durch Eigenleistung beteiligen. Darum geht es
veröffentlicht am 03.10.2022 um 07:00 Uhr
AHNSEN. Der Rat der Gemeinde Ahnsen hat beschlossen, dass die Straßenbeleuchtung im Ort in den kommenden Monaten allnächtlich für mehrere Stunden ausgeschaltet wird. An der Umsetzung der Energieeinsparmaßnahme wollen sich die Ratsmitglieder durch Eigenleistung beteiligen. Darum geht es:
Aufgrund der gegenwärtigen Energiekrise wird die Straßenbeleuchtung in Ahnsen demnächst täglich in der Zeit von 0 Uhr bis 5 Uhr ausgeschaltet. Das hat der Gemeinderat in seiner jetzigen Sitzung beschlossen. Auf technischer Seite müssen demnach aber erst noch eine Zeitschaltuhr installiert und alle Lampenmasten mit rot-weißen Aufklebern markiert werden. Letztere weisen darauf hin, dass die Straßenbeleuchtung über Nacht nicht mehr durchgängig an ist.
„Rohstoffe“ einsparen
„Wir wollen als Gemeinde ein Zeichen setzen, Ressourcen zu sparen – gerade in dieser schwierigen Zeit“, kommentierte Ahnsens Bürgermeister Pierre Pohl (SPD) die Maßnahme.
Dem Ratsbeschluss vorausgegangen war eine Diskussion, in der Robert Pavlista (CDU), betonte, es gehe nicht darum, Kosten einzusparen. Die Intention sei vielmehr, durch das stundenweise Abschalten der Straßenbeleuchtung „Rohstoffe“ einzusparen.
Stromeinsparung von 43 Prozent
Sascha Backhaus (SPD), merkte an, das fünfstündige Abschalten der Lampen ergebe – aufs Jahr betrachtet – eine Stromeinsparung von 43 Prozent, was viel sei.
CDU-Ratsherr Carsten Borrmann schlug vor, zumindest im Bereich der Straßenkreuzung (Friedrich-Ebert-Straße/Neumühlener Straße/Theodor-Heuss-Straße/Krainhäger Straße) und des Parks (Ecke Schlesier Weg/ Bahnhofstraße) die Straßenlampen über Nacht anzulassen. Sein Vorschlag fand aber keine Berücksichtigung.
Installation der Zeitschaltuhr
Laut Lena Bödeker, der Gemeindedirektorin, kostet die Installation der Zeitschaltuhr rund 700 Euro und die Anschaffung der Aufkleber rund 1000 Euro. Zum Vergleich: Die jährlichen Stromkosten der Gemeinde Ahnsen bezifferte sie auf gut 3500 Euro.
Der Gemeinderat verständigte sich, die rot-weißen Aufkleber in Eigenleistung der Ratsmitglieder an den Lampenmasten anzubringen.
Mit freundlicher Genehmigung: Schaumburger Zeitung / Schaumburg-Lippische Landeszeitung
Möller Sägewerk
So schätzt die Volksbank die Lage des zukünftigen Neubaugebietes ein
Ahnser Sägewerk-Gelände soll Wohngebiet werden: Wie ist der Sachstand?
AHNSEN. Die Volksbank in Schaumburg will ein mitten in Ahnsen gelegenes Gewerbegrundstück zu einem Neubaugebiet weiterentwickeln. Gerodet ist das Areal bereits und auch die alten Gebäude sind schon vor Monaten durch Abriss beseitigt worden. Wie geht es weiter?
veröffentlicht am 22.09.2022 um 16:00 Uhr
AHNSEN. Die Gehölze sind gerodet, die alten Gebäude abgerissen und ein Großteil des dabei angefallenen Bauschutts ist inzwischen abgefahren worden: Wie geht es nun mit dem an der Ecke Schulstraße / Schlesier Weg in Ahnsen gelegenen früheren Sägewerk-Gelände weiter, das nach den Plänen der Volksbank in Schaumburg zu einem Neubauwohngebiet werden soll?
Bauleitplanung läuft noch
Derzeit laufe immer noch das von der Gemeinde durchgeführte Bauleitplanverfahren für die Nachnutzung des Gewerbegrundstückes, informiert Martina Tellermann, die Pressesprecherin des Geldinstituts, auf Anfrage dieser Zeitung. Einen grundsätzlichen Aufstellungsbeschluss hinsichtlich des zukünftigen Bebauungsplanes habe der Gemeinderat bereits 2021 gefasst. Auch sei schon eine frühzeitige Bürgerbeteiligung erfolgt, wie überhaupt die Öffentlichkeit, Behörden und Träger öffentlicher Belange vonseiten der Gemeinde Ahnsen mit einbezogen würden.
Des Weiteren teilt Tellermann mit, dass sich die GBG Grundstücksgesellschaft mbH der Volksbank in Schaumburg das bislang noch als Gewerbegrundstück ausgewiesene Areal für eine mögliche Baulandentwicklung gesichert habe. Konkrete Angaben über einen möglichen Starttermin zur Baulanderschließung, über die Anzahl der Baugrundstücke sowie über die Art der Bebauung könne man jedoch erst nach Abschluss des Bauleitplanverfahrens und der Baurecht-Erteilung machen. Auch hinsichtlich der Vermarktung der Neubaugrundstücke und der Preisentwicklung können man erst zu einem späteren Zeitpunkt Aussagen treffen. Letzteres begründet die Pressesprecherin damit, dass zuvor noch Angebote für unter anderem die zur Erschließung erforderlichen Tiefbauarbeiten eingeholt und ausgewertet werden müssen.
Attraktiver Standort für Familien
Insgesamt bewertet die Volksbank in Schaumburg das insgesamt rund 20 000 Quadratmeter große Areal aber als einen „attraktiven Standort für Familien, die ihr eigenes Heim bauen möchten“. Denn das zwischen den beiden Höhenzügen Harrl und Bückeberge gelegene Dorf Ahnsen ist laut Ansgar Haverkamp, Vorstandsstab der Volksbank in Schaumburg, nicht nur landschaftlich eine Perle: „Der Ort bietet durch seine zentrale Lage eine hervorragende Infrastruktur. Die Stadt Bückeburg und die umliegenden Ortschaften sind sogar zu Fuß sowie mit dem Rad gut erreichbar. Und: Der Bedarf an Baugrundstücken in Schaumburg ist nach wie vor hoch.“
Zwei Zufahrten
Bereits jetzt steht nach Angaben von Pierre Pohl, dem Bürgermeister der Gemeinde Ahnsen, aber schon fest, dass das geplante Neubaugebiet über zwei Zufahrten erreichbar sein soll: zum einen von der Schulstraße und zum anderen vom Schlesier Weg.
Beraten wird ihm zufolge vonseiten des Gemeinderates indes aber noch darüber, ob in dem Neubaugebiet Fotovoltaikanlagen vorgeschrieben und etwa sogenannte Tiny-Häuser erlaubt sein sollen; und nicht zuletzt ist auch noch offen, ob dort Steingärten auf den Grundstücken erlaubt sein sollen.
Mit freundlicher Genehmigung: Schaumburger Zeitung / Schaumburg-Lippische Landeszeitung
Sommerfest
Livemusik von zart bis hart und Kinderspaß
So lief das große Sommerfest in Ahnsen (mit Bildergalerie)
AHNSEN. Zur Förderung des Dorflebens hat die Gemeinde Ahnsen ein großes Sommerfest aufgezogen. Warum das Ganze ein voller Erfolg war: …
veröffentlicht am 13.09.2022 um 08:00 Uhr
AHNSEN. Mit ihrem großen Sommerfest hat die Gemeinde Ahnsen augenscheinlich ein Bedürfnis vieler Menschen erfüllt: Zahlreiche Bürger, Jung und Alt, waren gekommen, um bei der auf dem Areal des Noggerath-Firmenparks aufgezogenen Veranstaltung andere Leute zu treffen und eine schöne Zeit zu verbringen. Für die musikalische Unterhaltung der Besucher sorgte am Nachmittag ein Solokünstler (Rio), der mit seinen Coversongs eher zur sanften Untermalung des Festes beitrug, wohingegen ab dem frühen Abend zwei Bands aufspielten, die es richtig krachen ließen: die Bückeburger Rockband Ladies Room kredenzte einen Mix aus „Punk’n’Roll“ und Alternative Rock, die ebenfalls im Schaumburger Land beheimatete Band Nice Guys handfeste Rockmusik. Unterem Strich war so für unterschiedliche Geschmäcker etwas dabei.
Sommerfest künftig im Zwei-Jahres-Rhythmus?
Die kleinen Festbesucher indes konnten sich auf einer Hüpfburg austoben, Spielgeräte nutzen sowie etwa in einer „mittelalterlichen Schmiede“ Hufeisen, Messer und Kerzenhalter anfertigen; unter Anleitung eines Mitgliedes (Frank Gonda) des Vereins Museumsprojekt Heimat.
Elf Jahre sei es her, dass zuletzt so ein großes Fest in Ahnsen gefeiert worden sei, erinnerte Pierre Pohl, der Bürgermeister im Gespräch mit dieser Zeitung. Daher sei es ihm und dem Gemeinderat umso wichtiger gewesen, das Ganze in Form neuer Veranstaltungen wieder aufblühen zu lassen. Das im Juli ausgerichtete „Dorfpicknick“ ist seinen Worten nach der Auftakt gewesen. Überlegt wird ihm zufolge, zukünftig einmal jährlich zu einem „Dorfpicknick“ einzuladen. Und was das jetzige Sommerfest betrifft, wird laut Pohl vonseiten des Gemeinderates darüber nachgedacht, im Zwei-Jahres-Rhythmus ähnliche Sommerfeste zu veranstalten; in den dazwischen liegenden Jahren könnte dann jeweils ein „Weihnachtsfest“ stattfinden.
„Wenn Ahnsen bebt“, dann bleibt die Sonne eben weg
„Es sind viele Leute da“, freute sich Robert Pavlista, der zweite stellvertretende Bürgermeister, über die Besucherzahl. Auch er verbuchte das Sommerfest als einen vollen Erfolg. Und nun gelte es, jeweils zwei Festivitäten pro Jahr in der Gemeinde Ahnsen zu etablieren, merkte er an.
Später dann, die Band Ladies Room hatte gerade die Bühne erklommen, um den Besuchern kräftig einzuheizen, verkündete Pohl von genau dieser Bühne, er sei sehr begeistert, dass trotz des wechselhaften Wetters so viele Menschen zu dem Sommerfest gekommen seien. Aber „wenn Ahnsen bebt“, dann sei die Sonne eben weg. Ein Dank richtete er an alle Vereine und Sponsoren, die die Veranstaltung durch deren Unterstützung ermöglicht haben.
Mit freundlicher Genehmigung: Schaumburger Zeitung / Schaumburg-Lippische Landeszeitung
Bergwerk
Ausbau kommt gut voran
Besucherbergwerk Harrlstollen will mit Mittelalter-Handwerkerdorf punkten
AHNSEN. Schmiede und Steinschleiferei sind nur zwei der Attraktionen im neuen Handwerkerdorf vor dem Stolleneingang. Auch unter Tage geht es gut voran. Besitzer Daniel Schmidt erklärt, was als Nächstes geplant ist.
veröffentlicht am 21.08.2022 um 10:00 Uhr
AHNSEN. In den vergangenen beiden Jahren ist es coronabedingt etwas still um den Ahnser Harrlstollen geworden, der nach Abschluss der dort noch laufenden Instandsetzungsarbeiten von einem Verein als Besucherbergwerk betrieben werden soll. Aber die Ruhe täuscht, denn Eigentümer Daniel Schmidt und dessen Mitstreiter haben in der veranstaltungsarmen Zeit weiter fleißig geackert, um das Projekt voranzutreiben. Entstanden ist in dem Areal vor dem Stolleneingang ein kleines „mittelalterliches Handwerkerdorf“, das als zusätzliche Attraktion dienen soll. Doch der Reihe nach.
Mehrere Hundert Meter Schienen verlegt
Die Corona-Zeit habe man genutzt, um die Hauptstrecke des ehemaligen Steinkohlebergwerkes schienentechnisch weiter zu erschließen, berichtet Schmidt. Mehrere Hundert Meter weit kann der Harrlstollen demnach nun mit der Lorenbahn befahren werden. Geplant ist, dort als nächstes eine Weiche einzubauen, um den Schienenweg auch auf eine Nebenstrecke ausdehnen zu können. Rund 300 Meter Schienen müsse man noch verlegen, dann sei man bei Flöz 3 und könne dort Kohle fördern, so Schmidt.
Noch 300 000 Tonnen Steinkohle im Flöz 3
Grob geschätzt lagerten dort noch um die 300 000 Tonnen Steinkohle, an die man dann sofort ran könnte. Das Material für den Bau des Schienenweges zu bekommen, sei übrigens kein Problem. Dies beziehe man vor allem von alten Torfwerken, zum Teil aber auch von stillgelegten Bergwerken. Das Problem seien vielmehr die hohen Preise, die dafür verlangt würden. Altmetall sei mittlerweile nämlich ganz schön teuer geworden.
Ebenfalls weiter ausgebaut werden soll laut Schmidt das mittelalterliche Handwerkerdorf, das bereits mit einer Schmiede, Steinschleiferei, Lederei, Spinnerei, Kalligrafiestube und nicht zuletzt einer Tischlerei aufwarte. Dahinter steht die Idee, den Besuchern einen breiteren Einblick in das damalige Leben zu bieten. Als Besucherbergwerk soll die ganze Anlage ihm zufolge nach Möglichkeit 2023 offiziell eröffnet werden.
Betreiberverein richtet Veranstaltungen aus
m laufenden Jahr habe der Betreiberverein Museumsprojekt Heimat aber schon einige Veranstaltungen auf dem Gelände ausgerichtet, ergänzt Vereinsvorsitzender Schmidt. Die Bandbreite reiche vom Kindergeburtstag über den Junggesellenabschied bis hin zur „mittelalterlichen Veranstaltung“ für Schulklassen - mit Stockbrotbacken, kleineren Schmiedearbeiten unter fachkundiger Anleitung und Bogenschießen -, bei denen auf Wunsch jeweils auch eine Besichtigung des Harrlstollens auf dem Programm stehe. Zudem beteilige man sich am Ferienspaßprogramm der Samtgemeinde Eilsen.
Apropos Schmieden: Angefertigt werden können von den Kindern in der Schmiede etwa kleine Messer zum Butterbrote schmieren und Käse schneiden, sagt Frank Gonda, der für dieses Angebot zuständig ist und den Kindern zeigt, wie das Schmieden funktioniert. Zum Einsatz kommt dabei eine mit Steinkohle aus dem Harrlstollen angeheizte Esse, in der die für die Herstellung der Messer verwendeten eisernen Rundstäbe zum Glühen gebracht werden, bevor diese mit Schmiedehämmern in Form gebracht werden. Er selbst fertigt überdies „Gezähe und Geleucht“ (Bergmannswerkzeuge und -lampen) nach historischem Vorbild an, weshalb er auch immer auf der Suche nach entsprechendem Anschauungsmaterial ist.
Schmiede verwenden auch heute noch gerne Kohle aus dem Harrl
Die Steinkohle aus dem Harrlstollen sei im Mittelalter als Schmiedekohle stark nachgefragt gewesen, berichtet Gonda. Und Schmidt fügt bezogen auf die heutige Zeit hinzu: „Die Schmiede im Umkreis kaufen alle bei uns ein, weil die Kohle gut ist.“ Dass der gewerbliche Kohleabbau im Harrlstollen seinerzeit eingestellt wurde, habe denn auch nicht an der Qualität der Ahnser Steinkohle gelegen, sondern daran, dass das kleine Bergwerk gegen den wirtschaftlichen Druck des Ruhrgebietes irgendwann nicht mehr habe bestehen können.
Mit freundlicher Genehmigung: Schaumburger Zeitung / Schaumburg-Lippische Landeszeitung
Dorfpicknick
Großer Andrang auf dem Sportplatz
So toll war das erste Dorfpicknick in Ahnsen
AHNSEN. Mit solch einer großen Beteiligung hatten auch die kühnsten Optimisten nicht gerechnet – das erste Dorfpicknick in Ahnsen wurde zum vollen Erfolg. Das haben die Gäste dort erlebt:
veröffentlicht am 20.07.2022 um 14:00 Uhr von Cord-Heinrich Möhle
AHNSEN. Mit dieser Beteiligung hatten wohl auch die kühnsten Optimisten nicht gerechnet. Als Bürgermeister Pierre Pohl die wirklich große Zahl der Gäste beim ersten Dorfpicknick auf dem hinteren Teil des Sportplatzes begrüßte, kommentierte er die vielen Teilnehmerinnen und Teilnehmer mit nur einem Wort: „Überwältigend“. Und das zeigt, so auch die stellvertretenden Bürgermeister Sascha Backhaus und Robert Pavlista sowie ihre Ratskolleginnen und -Kollegen, dass die Gemeinde auf einem sehr guten Weg ist, die Dorfgemeinschaft zu stärken und ein „Wir-Gefühl“ zu entwickeln. Pierre Pohl sprach zudem die Hoffnung aus, dass „alle Leute, die jetzt am Picknick teilnehmen, auch zum Sommerfest kommen“, das am 10. September ebenfalls auf dem Sportplatz stattfindet.
Die Dorfgemeinschaft stärken
Der Gemeinderat hat sich große Ziele gesetzt, die er zusammen mit den Vereinen und Verbänden, die im Dorf beheimatet sind, erreichen möchte. So soll der Bürgersinn in der Gemeinde gefördert und die Gemeinschaft gestärkt werden. Außerdem will der Rat in einen Dialog mit den Menschen im Dorf treten, um vor allem zu erfahren: „Was können wir tun? Wo drückt euch der Schuh?“ Hierbei, so ist sich die Kommunalpolitik über alle Parteigrenzen hinweg einig, muss der Ahnser Bürger erst einmal motiviert werden, damit er mitmacht.
Und das Picknick war ein erster Schritt in die richtige Richtung. Schnell kamen die Gäste miteinander ins Gespräch, es wurden alte Freundschaften erneuert und neue geknüpft. Auch einige Neubürger ließen sich die Gelegenheit nicht entgehen, Kontakte zu schließen. Und für die Kinder gab es nicht nur ein Torwandschießen und eine Hüpfburg, sondern ebenfalls allerhand Spielzeug und sogar einen Schminkstand. Auch das rote Feuerwehrauto wurde immer wieder bestaunt. Kommentierte eine Besucherin das Geschehen auf dem Sportplatz im Bereich des TSV-Vereinsheimes: „Die Kids spielen und sind sehr zufrieden. Die Erwachsenen können ihn Ruhe essen und gemütlich plaudern. Was wollen wir mehr?“
„Session Sax Duo“ sorgt für Unterhaltung
Für sein Picknick hatte jeder Gast selbst gesorgt, die notwendigen Getränke wurden, so Bürgermeister Pohl, zu „familienfreundlichen Preisen“ verkauft. Und der Überschuss, der erwirtschaftet wird, geht nicht in die Kasse der Gemeinde, die als Ausrichterin der Veranstaltung fungierte, sondern kommt den Vereinen im Dorf zugute. Die Mitglieder des Rates, die das Geschehen zwischendurch mehr als zufrieden beobachteten, waren denn auch voll des Lobes über die tolle Mitarbeit der einzelnen Vereine.
Und es gab auf dem Sportplatz sogar Live-Musik. Die Gemeinde hatte keine Kosten und Mühen gescheut, um die zwei Saxophonisten „Session Sax Duo“ aus Gütersloh nach Ahnsen zu verpflichten. Das Duo marschierte immer wieder durch die Reihen der Gäste.
Der Bereich, in dem jetzt das Picknick stattfand, soll so schnell wie möglich zu einer Art Dorfmittelpunkt in Ahnsen werden, wie Bürgermeister Pierre Pohl mitteilte. Hier steht für die Kinder ein Spielplatz, der übrigens noch erweitert werden soll, zur Verfügung. Und die Erwachsenen können dort boulen und Tennis spielen, sodass für Jung und Alt Freizeitalternativen vorhanden sind.
Nun kommt das Sommerfest
Übrigens: Das öffentliche Picknick steht natürlich auch im nächsten Jahr wieder auf dem Veranstaltungskalender der Gemeinde. Für das geplante Sommerfest am 10. September ist noch keine Uhrzeit festgelegt worden. Und an der Programmgestaltung arbeiten die Vereine noch auf Hochtouren.
Mit freundlicher Genehmigung: Schaumburger Zeitung / Schaumburg-Lippische Landeszeitung
Internet
„Schon bei 1000 Euro würde ich Nein sagen“
AHNSEN. Für eine beabsichtigte Neugestaltung der Internetseite der Gemeinde Ahnsen hat deren Verwaltung Kosten in Höhe von 10 000 Euro in den diesjährigen Etat eingeplant. In der Haushaltssitzung des Gemeinderates hat dieser Betrag jedoch für reichlich Gegenwind aus den Reihen der Politik gesorgt.
veröffentlicht am 27.06.2022 um 06:00 Uhr
10 000 Euro für die Homepage eines Dorfes mit 1000 Einwohnern“ sei ihm „entschieden zu viel“, kommentierte SPD-Ratsherr Wolfgang Faulhaber diesen Haushaltsansatz. Eine neue Homepage könne man auch für deutlich weniger Geld bekommen. Den Einwand von Bürgermeister Pierre Pohl (SPD), das sei doch nur eine Kostenschätzung, ließ Faulhaber nicht gelten: Man plane den Haushalt aber schon konkret, erwiderte er, wobei der Unterton einer rhetorischen Frage mitschwang. Carsten Borrmann (CDU) schloss sich eigenen Worten nach Faulhabers Kritik an. „Allein nur der Gedanke: 10 000 Euro. Schon bei 1000 Euro würde ich Nein sagen“, brachte Borrmann seinen Unmut zum Ausdruck.
Ahnsens Gemeindedirektorin Lena Bödeker verwies an dieser Stelle darauf, dass bei einem vor einiger Zeit auf Samtgemeinde-Ebene stattgefundenen Bürgermeister-Treffens hinsichtlich der Internetseiten der Mitgliedsgemeinden eine Einheitlichkeit beschlossen worden sei.
Das letzte Wort hat der Rat
Die neue Homepage würde von der Samtgemeindeverwaltung gepflegt werden, merkte Pohl dazu an. Seiner Meinung nach ist es sinnvoll, die Voraussetzung dafür zu schaffen, dass die Bürger zukünftig über die Homepages der Mitgliedsgemeinden online Verwaltungsdienstleistungen der Samtgemeinde nutzen können.
Wenn dafür ein Betrag in Höhe von 10 000 Euro in den Haushalt eingestellt werde, dann sei – das wisse er aus Erfahrung – auch die Bereitschaft da, so viel Geld auszugeben, gab Faulhaber zu bedenken. Er indes habe das Gefühl, die Samtgemeinde wolle die Kosten (für die Umsetzung des Onlinezugangsgesetzes; Anm. d. Red) auf die Mitgliedsgemeinden abwälzen.
Bödeker konnte die Wogen schließlich dergestalt glätten, indem sie erklärte, dass – wenn die 10 000 Euro als Kosten in den Haushalt eingeplant würden – später ja erst noch ein Ratsbeschluss darüber erforderlich sei, ob das Geld tatsächlich in die Neugestaltung der Homepage investiert werde. Bei der Abstimmung über den von der Verwaltung erstellten Haushaltsplan votierte der Gemeinderat mehrheitlich für das vorgelegte Zahlenwerk; Faulhaber und Borrmann stimmten dagegen.
Mit freundlicher Genehmigung: Schaumburger Zeitung / Schaumburg-Lippische Landeszeitung
Haushalt
Haushaltsplan der Gemeinde beschlossen
27 400 Euro Defizit: Welche Investitionen in Ahnsen trotzdem geplant sind
AHNSEN. Trotz ihrer in diesem Jahr angespannten Haushaltslage hat die Gemeinde Ahnsen einige Investitionen vor. Was im Einzelnen geplant ist, darüber hat die Verwaltung bei der Sitzung des Gemeinderates informiert.
veröffentlicht am 08.06.2022 um 17:00 Uhr
AHNSEN. In diesem Jahr muss die Gemeinde Ahnsen mit einem nicht ausgeglichenen Haushaltsplan klarkommen, der unterm Strich ein Defizit in Höhe von 27 400 Euro ausweist. Denn im Ergebnishaushalt rechnet die Verwaltung mit 841 800 Euro an ordentlichen Erträgen und 869 200 Euro an ordentlichen Aufwendungen. Die Aufstellung eines Konzeptes zur Haushaltskonsolidierung bleibt der Kommune jedoch erspart, da das jetzige Minus in den beiden folgenden Haushaltsjahren 2023 und 2024 wieder ausgeglichen werden kann. Das erklärte Lena Bödeker, die Gemeindedirektorin, bei der Sitzung des Gemeinderates.
Defizit soll in den nächsten Jahren abgebaut werden
Apropos Erträge: Für das laufende Haushaltsjahr erwartet die Gemeinde Steuereinnahmen in Höhe von insgesamt 788 600 Euro. Diese schlüsseln sich wie folgt auf: Gewerbesteuer 14 6300 Euro, Grundsteuer A 5000 Euro, Grundsteuer B 90 600 Euro, Hundesteuer 3000 Euro sowie Gemeindeanteil an der Einkommensteuer 499 000 Euro und Gemeindeanteil an der Umsatzsteuer 44 700 Euro.
Basierend auf der errechneten Steuerkraft der Gemeinde Ahnsen muss diese eine Samtgemeindeumlage in Höhe von 260 700 Euro und eine Kreisumlage in Höhe von 360 000 Euro zahlen. Außerdem muss sie 14 700 Euro als Gewerbesteuerumlage abführen; diese bemisst sich nach dem Istaufkommen der Gewerbesteuer.
Die Flutlichtanlage auf dem Ahnser Sportplatz soll modernisiert werden. Foto: wk
Umgestaltung des Sägewerksgeländes
Im Haushaltsjahr 2022 sind nach Information der Verwaltung zudem mehrere Investitionen beziehungsweise Investitionsfördermaßnahmen vorgesehen: So stehen 6300 Euro für eine Ko-Finanzierung zur Verfügung, mit der sich die Gemeinde Ahnsen an der Umgestaltung des ehemaligen Sägewerkgeländes hin zu einem Wohngebiet beteiligt; außerdem sind 10000 Euro für die Erstellung eines Bebauungsplanes bereitgestellt. Bei beiden Beträgen handelt es sich um Haushaltsreste aus dem Jahr 2020, die noch nicht in Anspruch genommen worden sind.
Des Weiteren hat die Gemeinde laut Bödeker 5000 Euro für die Anschaffung neuer Spielgeräte (Spielplatz am Dorfgemeinschaftshaus) sowie 15 000 Euro für die Anschaffung von Outdoor-Fitnessgeräten für Erwachsene eingeplant.
Flutlicht wird auf LED-Technik umgerüstet
Ferner soll die auf dem Fußballplatz vorhandene Flutlichtanlage für 25 000 Euro auf eine energiesparende LED-Technik umgerüstet werden; abzüglich eines dafür erwarteten Zuschusses in Höhe von 5000 Euro verbleibt ein von der Gemeinde zu tragender Eigenanteil in Höhe von 20 000 Euro. Darüber hinaus sind 8000 Euro für den Bau einer Tribüne am Fußballplatz, 3500 Euro für die Erneuerung des Zaunes am Dorfgemeinschaftshaus, 5000 Euro für die Erweiterung der Straßenbeleuchtung im Birkenweg, 10 000 Euro für die Neuerrichtung von Bushaltestellen und 10 000 Euro für die Neugestaltung der Gemeinde-Homepage bereitgestellt.
Zum Thema Investitionen merkte Pierre Pohl, der Bürgermeister (SPD), an, dass die Gemeinde das Dorfgemeinschaftshaus ebenfalls gerne energetisch modernisieren lassen würde. Was dort im Einzelnen möglich ist, muss seinen Worten nach aber noch durch einen fachkundigen Planer geklärt werden. Dabei soll ihm zufolge auch der gewachsene Raumbedarf der in dem Gebäude untergebrachten Ahnser Ortsfeuerwehr berücksichtigt werden. Deretwegen gibt es die Überlegung, den hinteren Teil des Gebäudes nachträglich mit einem Souterrain zu unterbauen, um in dem Bereich dann neue Umkleide- oder Sanitärräume für den Turn- und Sportverein Ahnsen zu schaffen (wir berichteten).
Ergänzend teilte Sascha Backhaus, erster stellvertretender Bürgermeister (SPD), mit, das Dach des Dorfgemeinschaftshauses sei statisch nicht für die Installation einer Fotovoltaikanlage ausgelegt. Das habe ein von der Gemeinde konsultierter Bauingenieur nach entsprechender Prüfung mitgeteilt.
Robert Pavlista kritisiert Höhe der Umlagen
Robert Pavlista, der zweite stellvertretende Bürgermeister (CDU), übte bei der Haushaltssitzung Kritik an der Höhe der von der Gemeinde Ahnsen zu zahlenden Transferleistungen: Bei einem Hebesatz der Samtgemeindeumlage von rund 37,5 Prozent und einem Hebesatz der Kreisumlage von 51,8 Prozent verblieben der Gemeinde Ahnsen von deren gesamten Steuereinnahmen letztlich nur etwas mehr als zehn Prozent, verdeutlichte er. Viel ist das seiner Meinung nach nicht, um all die anstehenden Aufgaben der Kommune zu finanzieren. In diesem Kontext brachte Pavlista exemplarisch seine Sorge zum Ausdruck, dass eines Tages ja auch mal die eine oder andere Gemeindestraße saniert werden müssten.
Der Gemeinderat hat den Haushaltsplan mehrheitlich bei zwei Nein-Stimmen von Wolfgang Faulhaber (SPD) und Carsten Borrmann (CDU) beschlossen. Faulhaber und Borrmann hatten zuvor die beabsichtigte Neugestaltung der Gemeinde-Homepage moniert, die aus deren Sicht überteuert ist.
Mit freundlicher Genehmigung: Schaumburger Zeitung / Schaumburg-Lippische Landeszeitung
Auebrücke
Ärger über Landkreis Schaumburg: „Langsam wird’s doch wirklich affig“
Hochwasserschutz in Ahnsen: Neue Auebrücke seit zehn Jahren in Planung (mit Kommentar)
AHNSEN. Die Planung für den Bau der neuen Auebrücke, die in Ahnsen den Hochwasserschutz verbessern soll, zieht sich schon über zehn Jahre hin, ohne dass vom Landkreis Schaumburg ein verbindlicher Baubeginn genannt wird. Entsprechend groß ist der Ärger über die schleppende Umsetzung des Projektes, wie die jüngste Sitzung des Gemeinderates gezeigt hat.
veröffentlicht am 27.05.2022 um 17:00 Uhr
AHNSEN. In der Sitzung des Ahnser Gemeinderates ist die schon seit zehn Jahren geplante, aber immer noch nicht gebaute neue Auebrücke wieder mal ein Thema gewesen. Das neue Brückenbauwerk soll die in der Straße „An der Aue“ in Ahnsen vorhandene alte Auebrücke ersetzen und dort den Hochwasserschutz verbessern, wobei der Landkreis Schaumburg die Kosten für den Brückenneubau zu tragen hat. Das jedenfalls ist der Gemeinde Ahnsen seinerzeit vom Landkreis zugesagt worden – im Zusammenhang mit den damals gelaufenen Planungen zum Bau des Klinikums Schaumburg in der Vehlener Feldmark (wir berichteten).
Kein Verständnis für schleppende Umsetzung
Nun wollte ein Anwohner der Straße An der Aue in der Einwohnerfragestunde der Ratssitzung von der Gemeinde wissen, wie denn der aktuelle Sachstand hinsichtlich der Auebrücke sei. Lena Bödeker, die Gemeindedirektorin, informierte daraufhin kurz, dass die Verwaltung diesbezüglich vor ein paar Wochen beim Landkreis Schaumburg nachgefragt, bislang aber noch keine Antwort vom Landkreis erhalten habe.
„Langsam wird’s doch wirklich affig“, kommentierte der Bürger diesen Vorgang. Mittlerweile dauere die Planung der neuen Auebrücke schon zehn Jahre, monierte er.
Kritik am Landkreis Schaumburg übte auch Ahnsens Bürgermeister Piere Pohl (SPD): Ihm komme es vor, als ob der Landkreis Schaumburg die Gemeinde Ahnsen hinhalten wolle, sagte er.
Wie Pohl später im Gespräch mit dieser Zeitung erklärte, will der Gemeinderat den Landkreis Schaumburg seinerseits noch einmal anschreiben, um nach dem Stand der Dinge zu fragen und den Vorgang zu beschleunigen. Denn, so betonte der Bürgermeister: „Da muss jetzt eine Lösung her.“
Abriss der alten Brücke erst, wenn die neue lieferbar ist
Ob die neue Auebrücke noch in diesem Jahr gebaut wird, ist allerdings offen. Jedenfalls legt sich der Landkreis Schaumburg auf Anfrage dieser Zeitung nicht auf einen konkreten Termin fest: „Ein genaues Datum für den Baubeginn kann erst nach erfolgter Ausschreibung beziehungsweise dem Eingang entsprechender Angebote genannt werden“, teilt Anja Gewald, Pressesprecherin bei der Kreisverwaltung, mit. Von Seiten des Landkreises sei aber „weiterhin beabsichtigt, die Baumaßnahmen in diesem Jahr umzusetzen“. Um eine längere Sperrung des Bauwerkes zu vermeiden, ist es ihren Angaben nach jedoch sinnvoll, den Abriss der alten Auebrücke erst dann durchzuführen, wenn absehbar ist, dass der neue Brückenaufbau – ein „Fertigteil“ – auch geliefert werden kann.
Ausschreibung immer noch nicht erfolgt
Der Sachstand in dieser Angelegenheit ist laut Gewald der, dass die „Variante der Brückenwiderlager“, also deren Ausführung, erst noch abgestimmt werden musste. Diese Abstimmung zwischen den beteiligten Fachbereichen habe inzwischen aber stattgefunden und könne nun in die endgültige Planung einfließen. Die erforderliche Ausschreibung des Brückenneubaues ist ihr zufolge aufgrund der offenen Fragen zu der Widerlagergestaltung noch nicht erfolgt.
Mit freundlicher Genehmigung: Schaumburger Zeitung / Schaumburg-Lippische Landeszeitung
Umwelttag
Umwelttag in Ahnsen: Das wurde alles an Müll zusammengetragen
AHNSEN. Rund 40 Bürger, darunter auch Familien mit Kindern, haben beim „Umwelttag“ der Gemeinde Ahnsen mitgemacht. Ziel war es, die Straßen- und Wegesränder im Dorfgebiet von dort herumliegendem Müll zu säubern.
veröffentlicht am 14.05.2022 um 15:30 Uhr
Um das Einsammeln von herumliegendem Müll ist es beim „Umwelttag“ der Gemeinde Ahnsen gegangen, zu dem deren Rat und Verwaltung eingeladen haben. Rund 40 Bürger, darunter auch Familien mit Kindern, folgen dem Aufruf, die Straßen- und Wegesränder im Dorfgebiet zu säubern.
„Die Resonanz ist sehr gut“, freute sich Pierre Pohl, der Bürgermeister (SPD) der Kommune, über die Beteiligung. Mehr Leute als erwartet hätten bei der Aktion mitgemacht.
Flaschen, Dosen, Plastiktüten
Der von den Teilnehmern im Laufe von circa zwei Stunden eingesammelte Unrat füllte, in Säcken zusammengetragen, die ganze Ladefläche (Pritsche) eines Bauhof-Fahrzeuges. Zu den Straßen und Wegen, an denen vergleichsweise viel Müll vorgefunden wurde, gehörte laut Pohl der Bereich an der neuen Kreisstraße 73 nahe des Klinikums Schaumburg: vor allem Flaschen, Dosen, Plastiktüten und nicht zuletzt Papier hatten dort die Landschaft verunziert. Auch am Birkenweg in Ahnsen wurden ihm zufolge jede Menge alte Flaschen eingesammelt. Außerdem habe man im Wald Sperrmüll entdeckt und mitgenommen, um diesen ebenfalls vom Bauhof der Samtgemeinde Eilsen entsorgen zu lassen.
Hundekotbeutel im Dorfgebiet
Wie schon bei früheren Umwelttagen der Gemeinde sind auch diesmal wieder zahlreiche mit tierischen Exkrementen gefüllte Hundekotbeutel im Dorfgebiet gefunden worden. Seinen Unmut und sein Unverständnis über das Verhalten der verantwortlichen Hundebesitzer drückte der Bürgermeister so aus: Es sei „sehr schade“, dass manche Hundehalter die Beutel, nachdem sie damit den Kot ihrer Hunde aufgenommen hätten, anschließend in die Gegend schmissen. Denn die Plastikbeutel würden ja nicht verrotten. Wenn jene Hundehalter die Hinterlassenschaften ihrer Tiere schon nicht beseitigen wollen, dann wäre es seiner Meinung nach sicher sinnvoller, dass diese lediglich die Exkremente vor Ort zurücklassen und nicht noch die Hundekotbeutel dazu.
Gutschein für kostenlose Grünschnitt-Abgabe
Gleichwohl appellierte Pohl, die an mehreren Stellen in der Gemeinde stehenden Hundekotbeutel-Spender in der vorgesehenen Weise zu nutzen und die Beutel nach Gebrauch über den Hausmüll oder die im Ort vorhandenen Mülleimer zu entsorgen.
Nach Angaben von Robert Pavlista, dem zweiten stellvertretenden Bürgermeister (CDU) der Gemeinde Ahnsen, haben die Teilnehmer des Umwelttages als Dank fürs Mitmachen je einen Gutschein für eine kostenlose Grünschnitt-Abgabe auf dem Kompostplatz in Heeßen erhalten.
Mit freundlicher Genehmigung: Schaumburger Zeitung / Schaumburg-Lippische Landeszeitung
Energie
Flutlichtanlage auf Fußballplatz wird umgerüstet / Fotovoltaik fürs Dorfgemeinschaftshaus?
Wegen stark steigender Kosten: So will Ahnsen Energie einsparen.
AHNSEN. Die massiv steigenden Energiekosten belasten auch den Haushalt der Gemeinde. Bürgermeister Pierre Pohl (SPD) erklärt, mit welchen Maßnahmen die Kommune zukünftig Energie einsparen und so einen Beitrag zum Klimaschutz leisten möchte.
Die Überlegung, eine Fotovoltaikanlage auf dem Ahnser Dorfgemeinschaftshaus installieren zu lassen, ist noch nicht zu den Akten gelegt. Das hat Pierre Pohl, der Bürgermeister (SPD) der Gemeinde, in Gespräch mit dieser Zeitung deutlich gemacht.
. Über den Sachstand hinsichtlich der angedachten „Unterkellerung“ des Dorfgemeinschaftshauses informiert er ebenfalls.
veröffentlicht am 13.05.2022 um 10:30 Uhr
Statik reicht nicht aus
Zwar reicht die Dachkonstruktion des Gebäudes ihm zufolge von der Statik her nicht aus, um solche eine Anlage tragen zu können, doch in Anbetracht der weiter stark steigenden Strompreise will sich die Verwaltung diesbezüglich noch einmal von einem Fachbüro beraten lassen.
Klimaschutz prüfen
Soll heißen: Möglicherweise rechnet es sich inzwischen ja, die Tragfähigkeit der Dachkonstruktion zu verbessern. Entsprechende Planungskosten habe man bereits in den Haushalt der Kommune eingestellt. Laut Pohl soll darüber hinaus geprüft werden, welche sonstigen Energieeinspar- und Klimaschutzmaßnahmen hinsichtlich des Dorfgemeinschaftshauses möglich sind. Es sei wichtig, als Gemeinde bei diesem Thema voranzugehen, betont der Bürgermeister. Geplant ist demnach ferner, die Flutlichtanlage auf dem Ahnser Fußballplatz noch in diesem Jahr durch Austausch der Lampenköpfe auf eine energiesparende LED-Technik umzurüsten.
30 000 Euro veranschlagt
„Das ist auch ein Beitrag für den Klimaschutz. Rund 30 000 Euro seien allein für diese Maßnahme veranschlagt – eventuell werde das Ganze wegen der Ukrainekrise aber auch noch etwas teuerer. Offen ist laut Pohl dagegen noch, ob das Dorfgemeinschaftshaus im hinteren, aufgeständerten Teil so „unterkellert“ werden kann, dass das Souterrain des Gebäudes dort um einen zusätzlichen Raum verlängert wird. Zur Erklärung: Durch diesen Umbau könnte der gewachsene Platzbedarf der Ahnser Ortsfeuerwehr gelöst werden, indem diese dann zusätzlich einen Raum aus dem Mittelteil des Souterrain erhält, während der ebenfalls das Souterrain beziehungsweise die dortigen Umkleide- und Sanitärräume nutzende Turn- und Sportverein Ahnsen als Ersatz den neuen Raum dazubekäme (wir berichteten).
Mit freundlicher Genehmigung: Schaumburger Zeitung / Schaumburg-Lippische Landeszeitung
Bürgerversammlung
„Nicht gegen die Anlieger planen“ – Bürgerversammlung zum Neubaugebiet „Ehemaliges Sägewerk“
In Ahnsen dürfen auch „Tiny-Häuser“ gebaut werden
AHNSEN. Zum Neubaugebiet „Ehemaliges Sägewerk“ hat es eine Bürgerversammlung gegeben. „Es werde nicht gegen die Anlieger geplant, Anregungen aufgenommen ,versicherte der Planer – der vorstellte, was alles erlaubt sein wird.
veröffentlicht am 28.04.2022 Cord Möhle
AHNSEN. „Bisher alles richtig gemacht“ lautete das Fazit der Verantwortlichen nach der Bürgerversammlung, denn im Vorfeld hatten sie mit mehr Protesten der Anlieger zur geplanten Wohnbebauung des Areals „ehemaligen Sägewerk“ inmitten des Dorfes gerechnet. Aber Planer Matthias Reinold nutzte die Veranstaltung, um den Nachbarn ganz deutlich zu machen „es werde mit ihnen und nicht gegen sie geplant“. Alle Anregungen und Bedenken würden aufgenommen und geprüft.
Auch Bürgermeister Pierre Pohl versicherte, die Gemeinde werde bei der Aufstellung des Bebauungsplanes transparent bleiben und alle Interessentinnen und Interessenten bei der „weiteren Planung ständig mitnehmen“, sodass bei der abschließenden Diskussion keine heftige Kritik geäußert wurde. Es wurde nur deutlich, dass die Anlieger durch die neuen Häuser nicht über alle Maßen hinaus strapaziert werden möchten. Zudem war zu vernehmen, dass die Anlieger trotz der jetzt gezeigten Offenheit die weiteren Schritte bis hin zum fertigen Bebauungsplan mit Argusaugen beobachten werden.
Und erste bereits früher geäußerte Bedenken der Nachbarn sind bereits in die aktuelle Planung des Gebietes aufgenommen worden. War zu Anfang geplant, das Areal lediglich über den Schlesierweg zu erschließen, ist jetzt eine Straße quer durch das Gebiet von Schlesierweg bis zur Schulstraße vorgesehen. Auch die Zahl der Mehrfamilienhäuser ist von vier auf drei reduziert worden, sodass im nördlichen Bereich des neuen Wohngebietes eine erweiterte Grünzone mit Bäumen und Büschen eingezeichnet ist. Auch insgesamt sehen die aktuellen Pläne wesentlich mehr Anpflanzungen vor. Der Planer: „Die Zeichnungen sind bisher nur Ideen, die nicht in Stein gemeißelt sind, bzw. eine Grundlage, auf der wir diskutieren können“.
Bevor Matthias Reinold, der zusammen mit seiner Tochter Tjorven Lotta für die Aufstellung des Bebauungsplanes verantwortlich zeichnet, die Grundzüge der Planung vorstellte, erläuterte er die einzelnen Schritte, die das Baugesetzbuch vorschreibe, bevor der Rat den Plan endgültig beschließe. Dem Bürger bleibe ausreichend Gelegenheit, Anregungen und Bedenken vorzubringen. Eine Wohnbebauung sei auf dem Gelände des ehemaligen Sägewerkes Möller mehr als sinnvoll, da gerade in Ahnsen, und das nicht nur wegen des „neuen“ Klinikums in Vehlen, eine große Nachfrage nach Wohnraum und Baugrundstücken herrsche, betonte der Planer.
Die Grundstücke würden, so Reinold, eine Größe um die 600 Quadratmeter haben, und es dürften in lockerer Form eingeschossige Häuser gebaut werden. Festgelegt würden Dachneigung und Farbe der Ziegel. Auch wenn nicht direkt vorgeschrieben, so erlaube die Planung dennoch Photovoltaikanlagen. Auch Gründächer seien möglich, betonte Reinold. Das Oberflächenwasser soll so weit wie nur eben möglich auf dem Grundstück versickern und Steingärten sollen nicht zulässig sein, denn „der Garten soll als Grün wahrgenommen werden“.
Das komplette Areal möchten Planer und Gemeinderat mit breiten Pflanzstreifen „eingezäunt“ wissen, damit sich das Plangebiet in die bereits vorhandene Bebauung integriert. Und diese Pflanzstreifen dürfen nicht, so der Planer, durch Gartenhäuser oder dergleichen unterbrochen werden. Die zur Schulstraße hin geplanten Mehrfamilienhäuser sollen zweigeschossig gebaut werden dürfen. Auch seien Doppelhäuser zulässig, wobei Reinold erklärte, es sei aber nicht an Reihenhäuser mit mehr als 50 Meter Länge gedacht, die dann wie Fremdkörper wirken würden. Die Straße durch das neue Baugebiet werde so angelegt, damit auf keinen Fall schnell gefahren oder dieser Weg als Abkürzung genommen werden könnte. Außerdem sei es später möglich, weitere „Schikanen“ einzubauen.
„Nein“, erwiderte Reinold auf eine Frage aus der Versammlung, ob der Schlesierweg verbreitert werden müsste. Zum Zeitplan hob er hervor, dass der Gemeinderat vielleicht Ende des Jahres den Satzungsbeschluss fassen und es dann „irgendwann in 2023 mit der Bauerei“ losgehen könne“. Natürlich seien nach derzeitigem Stand auch „Tiny-Häuser“ mit ihren 40 Quadratmeter Wohlfläche in diesem Gebiet erlaubt, erklärte der Planer einem interessierten Bürger und: „Es können vielleicht auch zwei dieser Kuschelhäuser zusammen aufgestellt werden, wenn die mögliche Überbaubarkeit des Grundstückes eingehalten wird“.
Cord Möhle
Mit freundlicher Genehmigung: Schaumburger Zeitung / Schaumburg-Lippische Landeszeitung
Bürgermeister will Neubürger in Dorfgemeinschaft einführen
Sommerfest und Frühstückstafel: Pläne für stärkeres Miteinander in Ahnsen
AHNSEN. Die Förderung der Dorfgemeinschaft ist eines der Ziele, die sich Ahnsens neuer Bürgermeister Pierre Pohl (SPD) gesetzt hat. Denn seiner Wahrnehmung nach gibt es dabei noch reichlich Luft nach oben. Diese gesellschaftlichen Events hat sich der Rat für dieses Jahr gesetzt:
veröffentlicht am 03.04.2022 um 15:00 Uhr
AHNSEN. Die Förderung der Dorfgemeinschaft ist eines der Ziele, die sich Ahnsens neuer Bürgermeister Pierre Pohl (SPD) gesetzt hat. Denn diesbezüglich gibt es seiner Wahrnehmung nach noch reichlich Luft nach oben: „Wir grüßen uns halt alle, aber wir machen nichts zusammen“, beschreibt er den Umgang, den die örtlichen Vereine (allen voran der Turn- und Sportverein Ahnsen), die Freiwillige Feuerwehr und die Kommunalpolitik derzeit untereinander pflegen. Dass bislang keine gemeinsamen Veranstaltungen ausgerichtet worden sind, erklärt sich der 35-Jährige so: „Ich glaube einfach, das Engagement hat gefehlt, das zu machen.“
Zukünftig soll sich dies aber ändern, wenn es nach Pohl geht; und der steht damit nicht allein: Um schon mal mit gutem Beispiel voranzugehen, haben die beiden Ratsfraktionen SPD und CDU ihm zufolge beschlossen, in diesem Jahr ein Sommerfest auf die Beine zu stellen, zu dem alle Bürger des Dorfes eingeladen werden. Außerdem plant der Gemeinderat versuchsweise eine „Frühstückstafel“, die ebenfalls unter freiem Himmel stattfinden soll – bei schönem Wetter, versteht sich. Die jeweiligen Termine müssen aber noch festgelegt werden.
Mit freundlicher Genehmigung: Schaumburger Zeitung / Schaumburg-Lippische Landeszeitung
System soll ab Sommer zu 100 Prozent nutzbar sein
Online ist Trumpf: Was das neue Ratsinfo-Portal den Bürgern bringt
EILSEN. Das „Ratsinfo-Portal“ ist ein Dokumenten-Managementsystem für das Eilser Rathaus. Es soll die Ratsarbeit effektiver gestalten, Abläufe effizienter machen und mehr Bürgernähe schaffen. Im Sommer soll das Portal nun so optimal eingestellt sein, dass es alle Funktionen zu 100 Prozent erfüllt. Wir haben nachgefragt.
veröffentlicht am 25.03.2022 um 07:00 Uhr
Jessica Glogaza (l.) und Katrin Menneking sind Expertinnen, denn sie haben das „Ratsinfo-Portal“ in der Samtgemeinde eingerichtet. Derzeit fungieren die beiden jungen Damen aber nur noch als Hauptadministratorinnen und sind gefragt, wenn es Probleme mit dem System gibt. Foto: möh
Cord-Heinrich Möhle
Die Arbeit daran hatte bereits im April 2021 begonnen, jedoch hat das Portal seine Endphase bislang noch nicht erreicht, wie die verantwortlichen Hauptadministratorinnen Katrin Menneking und Jessica Glogaza im Gespräch mit der Redaktion dieser Zeitung erläutern.
Es ist nicht nur ein kleiner Schritt hin zu einer digitalisierten Kommune, sondern das System transportiert auch wichtige Informationen der Kommunalpolitik – sowohl für die Ratsmitglieder als auch für die Bürgerinnen und Bürger der Samtgemeinde und sorgt zudem für mehr Transparenz. Außerdem wird der Papierverbrauch in der Verwaltung der Samtgemeinde durch dieses System enorm reduziert.
Mit freundlicher Genehmigung: Schaumburger Zeitung / Schaumburg-Lippische Landeszeitung
Ehrenratsherr
Langjähriges Engagement gewürdigt
Dieter Gutzeit nun „Ehrenratsherr“ / Appell: „Dorf als Heimat und nicht als pure Verwaltungseinheit betrachten“
AHNSEN. Wenn es etwas zu tun gab und gibt, war und ist er immer sofort zur Stelle. Sein großes Engagement im Gemeinderat, dem er über vier Jahrzehnte angehörte, war beispielslos. Zudem war er über zwei Legislaturperioden noch erster stellvertretender Bürgermeister in der Gemeinde. Sein besonderes Augenmerk galt und gilt auch noch heute dem Wohl der heimischen Vereine. Mit seinem Namen mehr als eng verbunden sind der Spielmannszug und der Heimat- und Kulturverein. Diesen Einsatz für die Allgemeinheit zollte der Rat der Gemeinde jetzt nicht nur Respekt, sondern verlieh Dieter Gutzeit einstimmig den Titel „Ehrenratsherr der Gemeinde Ahnsen“. Die Urkunde nebst kleinem Geschenk überreichte der erste stellvertretende Bürgermeister Sascha Backhaus (SPD). Die Verdienste des Geehrten, der im vergangenen Jahr aus dem Rat ausgeschieden war, würdigte CDU-Fraktionssprecher Robert Pavlista.
Wenn es neben der allgemein manchmal doch recht aufwändigen Ratsarbeit etwas zusätzlich zu organisieren gegeben habe, sei Dieter Gutzeit immer mit als Erster zur Stelle gewesen, betonte Pavlista. Und Dieter habe alles umgehend erledigt. Der Laudator erinnerte nur an den Umwelttag und die jährlichen Ferienspielaktionen. Pavlista: „Eine Wartebank gab es bei dir nicht“. Der CDU-Fraktionssprecher erinnerte sich, wie Dieter Gutzeit mit ihm und ein paar anderen Bürgern bereits 2006 zusammengesessen habe, um nach Ideen und Lösungen zu suchen, wie der Ausbau der L 451 vorangetrieben werden könne. Das man dann noch bis 2021 habe warten müssen, hätte sich auch Gutzeit damals nicht „träumen lassen“. Und Dieter Gutzeit, habe sich auch zu jeder Zeit um Nachwuchs für die Ratsarbeit gekümmert. So sei auch er (Pavlista) vom Jubilar überzeugt worden, in die Kommunalpolitik „einzusteigen“.
Pavlista dankte aber nicht nur Dieter Gutzeit, sondern auch seiner Ehefrau Roswitha, denn zu einem hart arbeitenden Ratsherrn gehöre in der Regel eine „bessere Hälfte“. Rowitha Gutzeit habe ihrem Mann auch immer den „Rücken freigehalten“, wenn er sich wieder einmal in den Dienst der Allgemeinheit gestellt habe. Pavlista abschließend: „Wenn es noch mehr Menschen wie dich geben würde, hätten wir auf diesem Planeten sicherlich weniger Sorgen“.
Der neue „Ehrenratsherr“ nutzte die Gelegenheit, die 40 Jahre Ratsarbeit kurz Revue passieren zu lassen. Die ersten drei Jahrzehnte seien geprägt worden von SPD-Bürgermeister Heinz Grabbe, der in Personalunion auch das Amt des Gemeindedirektors bekleidet habe. Gutzeit: „Ohne Heinz ging damals nichts“. In den letzten zehn Jahren habe der Bau des neuen Klinikums in Vehlen für enormen Streit in Ahnsen gesorgt. Schließlich habe man sich nicht nur im Rat, sondern auch in den Familien im Dorf „gefetzt“. Zudem erinnerte der Jubilar an den Ausbau der L 451, der für viel Arbeit im politischen Raum gesorgt habe. Und dann monierte Dieter Gutzeit die zuletzt seiner Meinung nach fehlende Zusammenarbeit der im Rat vertretenen politischen Parteien. „Das fand ich wirklich nicht gut,“ betonte er. Schließlich hatte noch eine Empfehlung für die aktuellen Ratsfrauen und –herren im Gepäck. Sie sollten bei ihrer Arbeit zum Wohl der Kommune „das Dorf Ahnsen als Heimat und nicht nur als pure Verwaltungseinheit betrachten“. möh
Mit freundlicher Genehmigung: Schaumburger Zeitung / Schaumburg-Lippische Landeszeitung
Gemeinderat ringt lange um Lösung
Gaststätte soll Wohnraum werden – aber wer zahlt das Ändern der Satzung dafür?
Eine ehemalige Gaststätte in Ahnsen soll zu Wohnungen umgebaut werden – doch da steht die Bürokratie im Weg. Denn die Frage ist: Wer soll die Kosten für das Ändern einer Satzung tragen, das dafür nötig ist? Der Gemeinderat hat sich schwer getan, eine Entscheidung zu finden.
veröffentlicht am 21.02.2022 um 09:56 Uhr
CORD-HEINRICH MÖHLE
AHNSEN. Da möchte der Eigentümer eine ehemalige Gaststätte in Wohnungen umwandeln. Damit die planungsrechtlichen Voraussetzungen vorhanden sind, muss in diesem Fall eine Satzung aufgehoben werden. Der Rat der Gemeinde Ahnsen hatte keine Probleme zu beschließen, diese Innenbereichssatzung aufzuheben. Aber das Verfahren kostet Geld und schon war der Gemeinderat in eine hitzige Diskussion darüber verwickelt, wer denn nun zahlen solle, der Antragsteller oder die Gemeinde. Erst nach einer Unterbrechung der öffentlichen Sitzung und entsprechenden nicht öffentlichen Beratungen sprach sich das Gremium dann dafür aus, dem Antragsteller die Kosten in Rechnung zu stellen.
Es handelt sich um ein Mischgebiet
Die Eigentümerfamilie des Hauses, in dem bis vor ein paar Jahren die Gaststätte betrieben worden war, hat bei der Gemeinde beantragt, die Nutzung für das entsprechende Grundstück zu ändern, da ein Umbau und die „Umnutzung einer Gaststätte zu Wohnungen“ geplant sei. Das Areal, so die Ratsvorlage der Verwaltung, liege aber nicht im Geltungsbereich eines qualifizierten Bebauungsplanes. Für diesen Bereich sei die Innenbereichssatzung Nr. 3 der Gemeinde Ahnsen zuständig. Das Gebiet sei als Mischgebiet festgesetzt worden. Daher seien die planungsrechtlichen Voraussetzungen für das beantragte Verfahren derzeit nicht gegeben.
Die beste Möglichkeit, die planungsrechtlichen Voraussetzungen für das Bauvorhaben zu schaffen, sei daher, die entsprechende Innenbereichssatzung aufzuheben. Gleichzeitig machte die Verwaltung der Gemeinde aber darauf aufmerksam, dass das Aufhebungsverfahren Geld koste, da ein Planer eingeschaltet werden müsse. In ihrer schriftlichen Beratungsvorlage empfahl die Verwaltung dem Gemeinderat, den „Antragsteller zur Kasse“ zu bitten.
Mit freundlicher Genehmigung: Schaumburger Zeitung / Schaumburg-Lippische Landeszeitung
CDU-Fraktionssprecher Robert Pavlista hob hervor, dass es für ihn selbstverständlich sei, die Satzung aufzuheben, um der Familie die geplanten Baumaßnahmen zu ermöglichen. Schließlich gehe es „nur darum, dass ein älteres Ehepaar nach dem Umbau der Gaststätte vom Ober- ins Erdgeschoss ziehen wolle“. Die Kosten des Verfahrens, die dem Antragsteller aufgebürdet werden sollten, bereiteten ihm allerdings „Bauchweh“, betonte er. Von der Aufhebung der Satzung würden schließlich auch andere Grundstücksbesitzer in diesem Bereich profitieren, und zudem habe der Gemeinderat immer mal wieder Satzungen geändert oder Bebauungspläne aufgestellt, ohne dass ein Bürger dafür habe zahlen müssen, erklärte Pavlista, ohne aber nachprüfbare Fakten an diesem Abend auf den Tisch legen zu können.
Der Rat sollte den Bürgern helfen
Unterstützung erhielt Pavlista von seiner Ratskollegin Kerstin Zuschlag, die hervorhob, dass der Rat bemüht sein müsse, den Bürgern zu helfen. Und neuer Wohnraum in der Gemeinde sei doch immer gut. SPD-Fraktionssprecher Sven Drechsel erklärte, wenn keine Belege vorhanden seien, die beweisen würden, dass auch früher bei Planänderungen kein Geld von Antragstellern genommen worden sei, „müsste man sie eben herbeiholen“. Er schlug vor, der Gemeinderat solle diesen Punkt „Innenbereichsatzung und Kosten“ vertagen und in der nächsten Sitzung einen Beschluss fassen. Doch dann waren sich CDU und SPD plötzlich einig, die öffentliche Sitzung des Rates zunächst einmal für eine interfraktionelle Beratung zu unterbrechen.
Schließlich: Der Rat beschloss ohne weitere Wortmeldungen oder Erklärungen, die Innenbereichssatzung Nr. 3 der Gemeinde aufheben zu lassen. Die Verwaltung wurde beauftragt, das Verfahren in die Wege zu leiten und einen Planer zu beauftragen. Der Gemeinderat: „Die Kosten des Verfahrens sind vom Antragsteller zu tragen.“
Mit freundlicher Genehmigung: Schaumburger Zeitung / Schaumburg-Lippische Landeszeitung
Rat stellt Areal zur Verfügung / Flutmulde wieder auskoffern
Renaturierung der Aue: Grundstück gut für eine Million Liter Regenwasser
AHNSEN. Für die Renaturierung der Aue sind jetzt weitere planungsrechtliche Voraussetzungen geschaffen worden, denn die Gemeinde stellt am Birkenweg ein Grundstück, das ihr gehört, für entsprechende Maßnahmen zur Verfügung. Das hat jetzt der Rat einstimmig beschlossen.
veröffentlicht am 01.02.2022 um 13:00 Uhr
Cord-Heinrich Möhle
Verantwortlich für die Renaturierung der Bückeburger Aue zeichnet die Samtgemeinde. Die notwendigen Arbeiten, mit denen die Erhaltung und Verbesserung der Artenvielfalt und gleichzeitig ein Schutz gegen Hochwasser erreicht werden soll, kosten nach ersten Planungen im Bereich der Samtgemeinde etwa 500 000 Euro. Wenn alles „gut läuft“, werden 90 Prozent der dieser Summe durch einen bewilligten Projektantrag vom Land Niedersachsen gefördert.
Von möglichen Maßnahmen ist in der Gemeinde Ahnsen die Ausgleichsfläche an der Aue im Bereich des Birkenweges betroffen. Hier war früher bereits eine Flutmulde vorhanden, die sich aber „irgendwie im Laufe der Jahre wieder verfüllt hat“. Angedacht ist es, diese Flutmulde auszukoffern und dann auch mit Kiesbänken zu versehen, um die Fließgeschwindigkeit des Wassers entsprechend verringern zu können. Das Material bzw. die Erde, die bei der sogenannten Nachprofilierung der soll dann als ein Damm in Richtung des „Birkenweges“ aufgeschüttet werden. Oberstes Ziel ist es natürlich, dass dieser Damm sich nahtlos in das Landschaftsbild einfügt.
Die „neue“ Überflutungsfläche, die bei Hochwasser der Aue wieder genutzt werden kann, hat eine Fläche von etwa 1000 Quadratmetern. Die Bäume und Sträucher, die derzeit auf diesem Areal stehen, sollen trotz aller „Umbauarbeiten“ weitestgehend erhalten bleiben, wie die Verantwortlichen den heimischen Kommunalpolitikern versicherten. Und für Flutmulden gibt es eine interessante Berechnung: Wenn in einem Bereich von 1000 Quadratmetern, wie jetzt das Grundstück am Birkenweg, die Erde nur um einen Meter abgetragen wird, kann diese Fläche bei Starkregen eine Million Liter Wasser zusätzlich aufnehmen.
Ohne Diskussion sprach sich daher der Rat einstimmig dafür aus, die Gemeindefläche am Birkenweg für „Fließgewässerrenaturierungsmaßnahmen“ zur Verfügung zu stellen. Allerdings heißt es auch wörtlich: „Entstehende Kosten für Planung, Begleitung und Ausführung werden nicht von der Gemeinde Ahnsen übernommen“. Für die CDU erklärte deren Sprecher Robert Pavlista, die Christdemokraten würden den geplanten Arten- und Hochwasserschutz uneingeschränkt unterstützen. Wenn man zu lange zögere, „könne der Schuss schon einmal nach hinten losgehen“. Gemeindedirektorin Lena Bödeker betonte, der Rat würde natürlich rechtzeitig wieder eingebunden, wenn die genaue Maßnahmenplanung und auch der Zeitpunkt der Umsetzung feststünden.
Derzeit ist die Firma patroVIT (ökologische Betriebsbegleitung GmbH) mit einer Variantenuntersuchung zur Renaturierung von Abschnitten der Aue beauftragt. Diese Untersuchung soll bis Ende April abgeschlossen sein. Projektträger der Vorstudie ist der Nabu in Schamburg e.V. Die „Kleinmaßnahmen“ soll über die Landesförderung zur Fließgewässerentwicklung umgesetzt werden. Träger der jeweiligen Kleinmaßnahmen können neben der Samtgemeinde auch heimische Verbände werden. Der Nabu Eilsen und die Interessengemeinschaft „Igel“ mit Sitz in Luhden haben bereits mögliches Interesse signalisiert.
Mit freundlicher Genehmigung: Schaumburger Zeitung / Schaumburg-Lippische Landeszeitung
Ersatzquartiere für Stare und Fledermäuse aufgehängt
Sägewerk-Gelände Ahnsen: Artenschutzrechtliches Gutachten liegt vor
AHNSEN. Auf dem Gelände des ehemaligen Sägewerkes Möller in Ahnsen, das zu einem Wohngebiet weiterentwickelt werden soll, sind die dazu erforderlichen Rodungs- und Abrissarbeiten mittlerweile abgeschlossen; lediglich der dabei angefallene Schutt muss noch abgefahren werden. Nach Information des Landkreises wurden die Maßnahmen von einem externen Fachbüro im Rahmen einer ökologischen Baubegleitung überwacht.
veröffentlicht am 10.12.2021 um 10:00 Uhr
AHNSEN. Auf dem Gelände des ehemaligen Sägewerkes Möller in Ahnsen, das zu einem Wohngebiet weiterentwickelt werden soll, sind die dazu erforderlichen Rodungs- und Abrissarbeiten mittlerweile abgeschlossen; lediglich der dabei angefallene Schutt muss noch abgefahren werden. Nach Information des Landkreises Schaumburg wurden die Maßnahmen von einem externen Fachbüro im Rahmen einer ökologischen Baubegleitung überwacht, um Verstöße gegen das Bundesnaturschutzgesetz auszuschließen. Dazu wurde das von – teilweise halbverfallenen – Altgebäuden bestandene, verwilderte Areal dahingehend begutachtet, ob dort geschützte Tierarten vorkommen. Die Zusammenfassung dieser faunistischen Untersuchung und das Ergebnisprotokoll einer durchgeführten Reptilienkartierung hat die Kreisverwaltung dieser Zeitung auf Anfrage zukommen lassen.
Demnach sind in dem untersuchten Bereich insgesamt 18 Vogelarten als Brutvögel festgestellt worden; darunter zwei gefährdete Arten (Bluthänfling und Star) sowie zwei auf der sogenannten Vorwarnliste stehende Arten (Haussperling und Stieglitz). Hinsichtlich der beiden gefährdeten Brutvogelarten seien „CEF-Maßnahmen“ (vorgezogene Ausgleichsmaßnahmen; Anm.d.Red.) erforderlich. Aus Gründen des allgemeinen Schutzes aller heimischen Brutvögel sei zudem eine entsprechende Bauzeitenregelung zu treffen.
Mit freundlicher Genehmigung: Schaumburger Zeitung / Schaumburg-Lippische Landeszeitung
Dorf soll belebt werden
Sägewerk-Gelände in Ahnsen: Anwohner plädiert für „Ideenausschuss“
AHNSEN. Bei der konstituierenden Sitzung des Ahnser Gemeinderates hat der neue Bürgermeister Pierre Pohl einen kleinen Ausblick auf die Zukunft gegeben. Das ehemalige Sägewerk-Gelände an der Ecke Schulstraße/Schlesierweg, das zu einem Wohngebiet weiterentwickelt werden soll, war ebenfalls ein Thema.
veröffentlicht am 07.12.2021 um 14:00 Uhr
AHNSEN. Eine regelmäßige Sprechstunde im Büro des Ahnser Dorfgemeinschaftshauses wird auch Pierre Pohl, der neue Bürgermeister (SPD) der Gemeinde, nicht anbieten. Das hat er bei der konstituierenden Ratssitzung (wir berichteten) auf Anfrage eines Einwohners mitgeteilt. Als Begründung gab Pohl an, dass sein Amtsvorgänger Harald Niemann die Erfahrung gemacht habe, dass es sich mangels Nachfrage nicht lohne, solche Bürgermeister-Sprechstunden anzusetzen.
Laut Pohl haben sich die SPD-Fraktion und die CDU-Fraktion im Gemeinderat jedoch gemeinsam vorgenommen, das Dorfleben in Ahnsen durch Feste und andere Aktivitäten zu beleben. Damit dies gelingt, müssen ihm zufolge allerdings auch die Ahnser Bürger bei diesen Veranstaltungen mitmachen beziehungsweise diese Angebote auch annehmen.
Mit freundlicher Genehmigung: Schaumburger Zeitung / Schaumburg-Lippische Landeszeitung
Gemeinderat 2021
Konstituierende Sitzung des Gemeinderates / CDU-Urgestein Dieter Gutzeit verzichtet auf Mandat
Pierre Pohl neuer Bürgermeister in Ahnsen
AHNSEN. In der Frage, wem das Bürgermeisteramt übertragen wird, hat bei der konstituierenden Sitzung des Ahnser Gemeinderates Einstimmigkeit geherrscht: die Ratsmitglieder votierten für Pierre Pohl von der SPD-Fraktion. Bei der Wahl der beiden Stellvertreter zeigte sich indes keine solche Geschlossenheit.
Eine unerwartete Entwicklung ist, dass das CDU-Urgestein Dieter Gutzeit trotz der vielen von ihm bei der Kommunalwahl geholten Wählerstimmen auf sein gewonnenes Ratsmandat verzichtet hat. Seinen Beweggrund hat er im Gespräch mit dieser Zeitung erläutert.
veröffentlicht am 26.11.2021 um 15:28 Uhr
Als Newcomer ist Pierre Pohl (Mitte) zum neuen Bürgermeister der Gemeinde Ahnsen gewählt worden. Erster Stellvertreter ist Sascha Backhaus (re.), zweiter Stellvertreter Robert Pavlista. Foto: wk
AHNSEN. Die Gemeinde Ahnsen hat einen neuen Bürgermeister: Pierre Pohl (SPD). Der 35-Jährige ist bei der konstituierenden Sitzung des Gemeinderates einstimmig in dieses Amt gewählt worden. Als Bürgermeister vorgeschlagen worden war er von der SPD-Fraktion, die CDU-Fraktion hatte sich diesem Vorschlag angeschlossen.
Nach seiner Wahl dankte Pohl dem Rat für das in ihn gesetzte Vertrauen. Zu seiner Person erklärte der Ahnser später im Gespräch mit dieser Zeitung, dass er beruflich als Umweltingenieur für die Ver- und Entsorgung bei einer anderen Kommune tätig sei. In seiner Freizeit engagiert sich Pohl eigenen Angaben nach als Jugendleiter des Turn- und Sportvereins (TSV) Ahnsen. Zu seinem Privatleben verriet er, dass er verheiratet ist und drei Kinder hat.
Mit Pohl ist erneut ein Newcomer Bürgermeister in Ahnsen. Auch sein Amtsvorgänger Harald Niemann, der von November 2016 bis November dieses Jahres Bürgermeister (SPD) der Gemeinde gewesen ist, war damals ein kommunalpolitischer Neueinsteiger. Bei der diesjährigen Kommunalwahl hatte Niemann indes nicht noch einmal für ein Ratsmandat kandidiert; stattdessen hatte er sich um das Amt des Eilser Samtgemeindebürgermeisters beworben, dies letztlich aber nicht erhalten (wir berichteten).
Zurück zur Gemeinderatssitzung: Zum ersten stellvertretenden Bürgermeister wurde Sascha Backhaus (SPD) gewählt; auf ihn entfielen sechs Stimmen. Für Robert Pavlista (CDU), den die CDU-Fraktion als Gegenkandidat vorgeschlagen hatte, votierten lediglich vier Ratsmitglieder. Zwar erfolgte die Stimmabgabe geheim, das Ergebnis spiegelt aber im Grunde die Sitzverteilung zwischen den beiden Ratsfraktionen wider: die SPD hat sieben Sitze, wobei allerdings ein SPD-Ratsmitglied (Ole Grimmig) bei der Sitzung fehlte, während die CDU vier Sitze hat.
Bei der Wahl des zweiten stellvertretenden Bürgermeisters wurde dagegen auf eine geheime Abstimmung verzichtet. Von beiden Fraktionen für dieses Amt vorgeschlagen war Robert Pavlista, der dann mit neun Ja-Stimmen bei einer Nein-Stimme (Wolfgang Faulhaber; SPD) zum zweiten Vizebürgermeister gewählt wurde.
Da Pohl als ehrenamtlicher Bürgermeister lediglich die repräsentative Vertretung der Gemeinde Ahnsen und den Vorsitz im Rat inne hat, sind die Verwaltungsaufgaben einer vom Rat gewählten Gemeindedirektorin übertragen worden: Lena-Christin Bödeker. Stellvertretende Gemeindedirektorin ist Jessica Glogaza. Für die Dauer der laufenden Wahlperiode sind Bödeker und Glogaza in ein Ehrenbeamtenverhältnis berufen worden. Dazu mussten beide bei der Sitzung einen entsprechenden Diensteid abgeben. Auf die Bildung von Ausschüssen hat der Gemeinderat im Einvernehmen verzichtet.
Eine unerwartete Entwicklung ist, dass das CDU-Urgestein Dieter Gutzeit nicht mehr im Gemeinderat vertreten ist, obwohl er bei der Kommunalwahl im September wieder die – bezogen auf die in Ahnsen angetretenen CDU-Kandidaten – mit Abstand meisten Wählerstimmen geholt hatte.
Er hätte schon gerne weiter im Gemeinderat mitgearbeitet, erklärte der 78-Jährige auf Anfrage dieser Zeitung. Doch da die CDU nur vier statt der erhofften fünf Sitze erhalten habe, habe er auf sein Mandat verzichtet, um einem erstmalig für die CDU angetreten, jüngeren Menschen den Einzug in den Gemeinderat zu ermöglichen – nämlich Anne Warnke.
Die CDU-Fraktion setzt sich somit aus Robert Pavlista, Carsten Borrmann, Kerstin Zuschlag und eben Anne Warnke zusammen. Der SPD-Fraktion gehören neben Pierre Pohl, Sascha Backhaus, Wolfgang Faulhaber und Ole Grimmig auch Hans-Jürgen Kauffeld, Sven Drechsel und Stefan Schmidt an.
Autor Michael Werk
Mit freundlicher Genehmigung: Schaumburger Zeitung / Schaumburg-Lippische Landeszeitung
Ehrungen
Gemeinsam viel geschafft
Zwei verdiente Ahnser Ratsmitglieder geehrt
AHNSEN. Bei der in dieser Wahlperiode letzten Sitzung des Ahnser Gemeinderates ist dem Ratsmitglied Volker Wiehe (SPD) für dessen 15-jähriges Engagement eine Ehrung des Niedersächsischen Städte- und Gemeindebundes (NSGB) zuteil geworden. Die Würdigung nahm Bernd Schönemann, der Gemeindedirektor der Kommune, vor.
veröffentlicht am 18.10.2021 um 11:09 Uhr
Außerdem sollte bei dem Termin der CDU-Ratsherr Dieter Gutzeit für dessen „besonders hervorragende Verdienste“ zum Wohle der Bürger und der Gemeinde beziehungsweise für dessen 40-jähriges Engagement mit der „Ehrenmedaille“ des NSGB ausgezeichnet werden. Da Gutzeit jedoch verhindert war, nahm Robert Pavlista, der Sprecher der CDU-Ratsfraktion, die Medaille nebst Urkunde für seinen Parteikollegen entgegen.
Bürgermeister Harald Niemann (SPD), der bei der Kommunalwahl im September nicht erneut für den Gemeinderat kandidiert hatte und somit aus diesem Gremium ausscheidet, fasste die vergangenen fünf Jahre so zusammen: „Wir haben konstruktive Gespräche geführt, manchmal auch emotional, aber immer im Interesse der Gemeinde Ahnsen.“ Dabei haben man gemeinsam viele Sachen angeschoben, einige Dinge aber nicht vollendet.
Mit freundlicher Genehmigung: Schaumburger Zeitung / Schaumburg-Lippische Landeszeitung
Möller
Zweiter Planungsentwurf
Abriss des Ahnser Sägewerks beginnt noch im Oktober
AHNSEN. Die geplante Wohnbebauung auf dem Gelände des ehemaligen Sägewerkes Möller in Ahnsen ist Thema bei der jüngsten Sitzung des Gemeinderates gewesen. So berichtete der derzeitige Eigentümer Hans Möller, dass mit dem Abriss der dortigen Gebäude in der 42. Kalenderwoche begonnen werde. Maximal ein Vierteljahr brauche das damit beauftragte Abrissunternehmen für diese Arbeiten. Im Zuge derer werde der auf dem Gewerbegrundstück stehende große Schornstein nicht gesprengt, sondern abgetragen. Wenn alles gut laufe, seien die Gebäude dann Ende des Jahres weg.
veröffentlicht am 14.10.2021 um 12:59 Uhr
Ahnsens Gemeindedirektor Bernd Schönemann informierte, dass das – im Auftrag der Volksbank in Schaumburg – mit der Planung des Wohngebietes befasste Planungsbüro Matthias Reinold (Bückeburg) inzwischen einen alternativen Entwurf hinsichtlich der Straßenführung erstellt habe. Dieser sieht ihm zufolge eine Zufahrt von der Schulstraße aus vor, mit einem Wendeplatz auf etwa halber Strecke einer anzulegenden Stichstraße. Es könne aber sein, dass die endgültige Planung ganz anders aussehe, betonte Schönemann unter Hinweis darauf, dass Reinold auch noch weitere Ideen für das vorgesehene Wohngebiet habe.
Zur Erinnerung: Der erste von Reinold vorgestellte Planungsentwurf sah vor, dass das geplante Wohngebiet vom Schlesierweg aus erreichbar sein wird. Bei dieser Variante führt eine Siedlungsstraße durch das neue Wohngebiet, die an zwei Stellen an den Schlesierweg angeschlossen wird. Anwohnerinnen und Anwohner hatten diesbezüglich jedoch eine zu hohe Verkehrsbelastung des Schlesierweges moniert.
Mit freundlicher Genehmigung: Schaumburger Zeitung / Schaumburg-Lippische Landeszeitung
Möller
„Es ist eine super Verbesserung für Ahnsen“
Erstes Bebauungskonzept für Sägewerk-Gelände
AHNSEN. Für die Nachnutzung des an der Ecke Schulstraße / Schlesier Weg in Ahnsen gelegenen großen Gewerbegrundstückes, auf dem früher das Sägewerk Möller betrieben worden ist, gibt es jetzt eine Idee. Die GBG Grundstücksgesellschaft mbH der Volksbank in Schaumburg (Bückeburg) möchte das Areal erwerben und dies – aufgeteilt in einzelne Baugrundstücke – weitervermarkten. Entstehen soll auf dem Gelände dann ein neues Wohnquartier mit mehreren ein- bis zweigeschossigen Gebäuden in offener Bauweise.
veröffentlicht am 20.09.2021 um 11:32 Uhr
AHNSEN. Für die Nachnutzung des an der Ecke Schulstraße/ Schlesier Weg in Ahnsen gelegenen großen Gewerbegrundstückes, auf dem früher das Sägewerk Möller betrieben worden ist, gibt es jetzt eine Idee. Die GBG Grundstücksgesellschaft mbH der Volksbank in Schaumburg (Bückeburg) möchte das Areal erwerben und dies – aufgeteilt in einzelne Baugrundstücke – weitervermarkten. Entstehen soll auf dem Gelände dann ein neues Wohnquartier mit mehreren ein- bis zweigeschossigen Gebäuden in offener Bauweise. Wie die Grundstücksaufteilung aussehen könnte, hat der von der Investorin beauftragte Planer Matthias Reinold kürzlich bei einer Sitzung des Ahnser Gemeinderates vorgestellt.
Eine Nachnutzung des Areals sei nur möglich, wenn dort eine bauliche Entwicklung erfolge, erklärte der Fachmann. Nicht ohne zu erwähnen, dass Bauland und Wohnungen zurzeit stark nachgefragt würden.
Damit das Vorhaben realisiert werden kann, muss laut Reinold für das Gelände vorab ein entsprechender Bebauungsplan erstellt werden. Ausreichend ist in diesem Fall ihm zufolge ein Bebauungsplan für die Innenentwicklung, der in einem beschleunigten Verfahren aufgestellt werden kann; eine Änderung des Flächennutzungsplanes ist nicht erforderlich.
Die Belange des Landschafts-, Natur- und Artenschutzes sowie der Immissionsschutz seien aber zu berücksichtigen, betonte er; ebenso die verkehrsrechtliche Erschließung und nachbarschaftliche Belange.
Der von Reinold präsentierten ersten Bebaungsplan-Idee war zu entnehmen, dass in dem in etwa dreieckig geschnittenen großen Plangebiet – in das auch ein gemeindeeigener Grünstreifen eingerechnet ist – insgesamt 19 Bauplätze und eine Ringstraße entstehen könnten. Jene neue Straße würde an zwei Stellen in den Schlesier Weg einmünden; lediglich bei vier der Baugrundstücke würde die Zufahrt direkt von der Schulstraße aus erfolgen.
Auf die Kritik des Ratsmitgliedes Hans-Jürgen Kauffeld (SPD), dessen Einschätzung nach die Schulstraße mehr Verkehr aufnehmen kann als der Schlesier Weg, erwiderte Reinold, er werde prüfen, ob es Alternativen gebe. Man müsse sich das mal gemeinsam mit dem Rat vor Ort anschauen. Ein Dreieck sei jedoch schwieriger zu erschließen als ein Areal in rechteckiger Form, wenn man attraktive Baugrundstücke zuschneiden und auf eine Wendeanlage verzichten wolle, gab der Planer zu bedenken.
Wie konkret sei das Ganze denn, wollte Wolfgang Faulhaber, der erste stellvertretende Bürgermeister (SPD), wissen. Woraufhin Reinold erklärte, dass er zur Anzahl der Wohneinheiten zum gegenwärtigen Zeitpunkt noch keine Angaben machen könne. Am Anfang des Planungsverfahrens geht es seinen Ausführungen nach nämlich zunächst nur um eine Grobplanung des Vorhabens, bei der beispielsweise die konkrete Lage der einzelnen Baugrundstücke noch „nicht exakt in Stein gemeißelt“ ist. Erst später werde im Laufe des Verfahrens Konkreteres festgelegt.
„Ich sehe hier keine Haken und Ösen – ich finde, dem hier kann man zustimmen“, meinte Robert Pavlista, zweiter Vizebürgermeister (CDU) der Gemeinde Ahnsen. Seiner Meinung nach müssten auf den Baugrundstücken allerdings genug Stellplätze für die Autos der Bewohner geschaffen werden. Zudem sollte das Regenwasser auf den jeweiligen Grundstücken verbleiben.
„Es ist eine super Verbesserung für Ahnsen, wenn dieser Schandfleck verschwindet“, befand Gemeindedirektor Bernd Schönemann bezogen auf den ungepflegten Zustand des von maroden Sägewerk-Gebäuden bestandenen Geländes.
Ein Zuhörer hatte dann noch die Frage, was denn mit den „Altlasten des Geländes“ sei. Unter anderem sei dort früher eine Tankstelle vorhanden gewesen. Zu diesem Thema werde noch ein Gutachten erstellt, das im Rahmen des Planverfahrens dann öffentlich zugänglich sein werde, antwortete Reinold. Die für das Gutachten erforderlichen Untersuchungen des Bodengrundes seien bereits vorgenommen worden.
Am Ende der Sitzung votierte der Gemeinderat einstimmig für den von der Verwaltung vorgelegten Beschlussvorschlag. Damit hat der Rat das Planungskonzept für den Bebauungsplan Nr. 13 „Ehemaliges Sägewerk“ zustimmend zur Kenntnis genommen und dafür einen Aufstellungsbeschluss gefasst. Außerdem hat der Gemeinderat die Durchführung der frühzeitigen Beteiligung der Öffentlichkeit sowie der Behörden und sonstigen Träger öffentlicher Belange beschlossen.
Mit freundlicher Genehmigung: Schaumburger Zeitung / Schaumburg-Lippische Landeszeitung
Feuerwehr
Sorge um Eigenständigkeit
Ahnser Ortsbrandmeister „erschrocken“ über Fusionsszenario
AHNSEN. In der Freiwilligen Feuerwehr Ahnsen gibt es offenbar die große Sorge, dass deren Eigenständigkeit nicht mehr von langer Dauer sein könnte. Das ist im Rahmen der Einwohnerfragestunde deutlich geworden, die bei der jüngsten Sitzung des Ahnser Gemeinderates auf der Tagesordnung stand.
veröffentlicht am 16.09.2021 um 00:00 Uhr
Dort nämlich bat Ole Grimmig, der Ortsbrandmeister, die CDU-Ratsfraktion um eine Stellungnahme, wie diese denn zu den Aussagen stehe, die der von der CDU unterstützte Eilser Samtgemeindebürgermeister-Kandidat Hartmut Krause, der jetzt am Sonntag gewählt wurde, während einer Tage zuvor stattgefundenen Podiumsdiskussion (wir berichteten) zur Frage einer möglichen Feuerwehr-Fusion gemacht habe.
Er sei, sagte Grimmig, „erschrocken“ von den diesbezüglichen Äußerungen deren Spitzenkandidaten; diese fasste er so zusammen: „Wir schließen alle Feuerwehren und machen eine draus.“
Mit diesen Worten hatte sich Krause – das muss man hier korrekterweise klarstellen – bei der Podiumsdiskussion allerdings nicht ausgedrückt. Vielmehr hatte Krause erklärt, „die Feuerwehr in zehn oder 20 Jahren wird nicht mehr so aussehen wie heute“. Zur Begründung hatte er unter anderem darauf verwiesen, dass die alten Feuerwehrgerätehäuser nicht mehr dem heutigen Standard entsprächen; so gebe es darin beispielsweise keine vernünftige „Schwarz-Weiß-Trennung“ bezüglich der Privat- und Einsatzkleidung der Aktiven. Die Feuerwehrunfallkasse werde daher irgendwann darauf drängen, dass dem abgeholfen werde. In diesem Kontext hatte Krause, der 24 Jahre lang Gemeindebrandmeister der Samtgemeinde Eilsen gewesen ist, bei der Podiumsdiskussion dann konkretisiert, „wir werden zukünftig keine vier Feuerwehren mehr haben“. Ob daraus letztlich ein oder zwei Feuerwehren werden, müsse man sehen.
Zurück zur Sitzung des Ahnser Gemeinderates: „Keiner von uns möchte Eure Feuerwehren auflösen“, versuchte Robert Pavlista, Sprecher der CDU-Ratsfraktion und zweiter stellvertretender Bürgermeister, Druck aus dem Kessel zu nehmen.
Seiner Einschätzung nach wird man irgendwann aber überlegen müssen, welche Ortsfeuerwehren zusammengeschlossen werden können. Als Grund verwies auch Pavlista auf die veralteten Feuerwehrgerätehäuser, in denen etwa die besagte „Schwarz-Weiß-Trennung“ der Privat- und Einsatzkleidung nicht möglich sei.
Wolfgang Faulhaber, der erste stellvertretende Bürgermeister (SPD) der Gemeinde, kommentierte das Ganze dagegen so: Es sei „mindestens grob fahrlässig“, eine Fusion der Ortsfeuerwehren von oben anzustoßen. Der Wunsch nach einem Zusammenschluss müsse stattdessen „von unten kommen“, sonst sei das eine „Totgeburt“.
Mit freundlicher Genehmigung: Schaumburger Zeitung / Schaumburg-Lippische Landeszeitung
Kommunalwahl
Sozialdemokraten bauen Mehrheit auf 65,15 Prozent aus
Gemeinderat Ahnsen: SPD dominiert
Die SPD ist mit 65,15 Prozent (2016: 58,9) erneut stärkste Kraft in Ahnsen, sie hat ihre Mehrheit sogar deutlich ausbauen können. Die CDU indes ist auf 34,85 Prozent gerutscht (2016: 41,1). Die Sitzverteilung: acht Sitze SPD, drei Sitze CDU.
veröffentlicht am 13.09.2021 um 17:38 Uhr
Auf Seiten der SPD hat Hans-Jürgen Kauffeld die meisten Wählerstimmen geholt – 178 an der Zahl; gefolgt von Pierre Pohl mit 134 Stimmen und Ole Grimmig mit 124 Stimmen, die sich beide jeweils zum ersten Mal in Ahnsen um ein Ratsmandat beworben hatten. Insgesamt traten die Sozialdemokraten mit acht Kandidaten an, die auch alle in den Gemeinderat einziehen.
Auf Seiten der CDU erhielt Robert Pavlista, der auf den ersten Listenplatz gesetzt war, 83 Stimmen. Dem Vernehmen nach hat er, bislang zweiter stellvertretender Bürgermeister der Kommune, Ambitionen auf das Bürgermeisteramt. In Anbetracht der Mehrheitsverhältnisse dürfte daraus jedoch nichts werden. CDU-Urgestein Wolf-Dieter Gutzeit erwies sich erneut als Wählerstimmen-Zugpferd – 133 Bürger votierten für ihn. wk
Mit freundlicher Genehmigung: Schaumburger Zeitung / Schaumburg-Lippische Landeszeitung
Auebrücke
Landkreis: Baubeginn von Ergebnis der Ausschreibung abhängig
Neue Ahnser Auebrücke ist noch nicht genehmigt
AHNSEN. Die alte Brücke, die in der Straße An der Aue in Ahnsen über die Bückeburger Aue führt, soll durch ein Bauwerk mit größerer Durchflussweite ersetzt werden. Bislang liegt für dieses Vorhaben allerdings immer noch keine Baugenehmigung vor. Warum, das hat Anja Gewald, Pressesprecherin des Landkreises Schaumburg, auf Anfrage dieser Zeitung erklärt.
veröffentlicht am 05.09.2021 um 14:15 Uhr
AHNSEN. Zur Verbesserung des Hochwasserschutzes soll in Ahnsen eine neue Auebrücke mit größerer Durchflussweite gebaut werden, die die alte Brücke in der Straße An der Aue ersetzen soll (wir berichteten). Bislang ist das Verfahren zur Genehmigung dieses Bauvorhabens, dessen Baubeginn schon mehrfach verschoben worden ist, aber noch nicht abgeschlossen.
„Die Genehmigung ergeht nach Abschluss des Beteiligungsverfahrens beziehungsweise Wertung der eingegangenen Stellungnahmen. Nach momentanem Stand ist mit der Erteilung der Genehmigung im Herbst 2021 zu rechnen“, teilt Anja Gewald, Pressesprecherin des Landkreises Schaumburg, auf Anfrage dieser Zeitung mit.
Immerhin: In der ersten Septemberwoche endet ihren Angaben nach die Frist zur Beteiligung der Träger öffentlicher Belange; danach erfolgt eine Wertung der eingegangenen Stellungnahmen sowie eventuell eine Korrektur und/oder Ergänzung der Planung.
Nach Erteilung der Baugenehmigung muss das Bauvorhaben anschließend noch öffentlich ausgeschrieben werden. Die entsprechenden Ausschreibungsunterlagen werden laut Gewald aber bereits vom Landkreis Schaumburg vorbereitet, soweit dies zum gegenwärtigen Verfahrensstand möglich ist.
Wann die alte Brücke abgerissen und mit dem Bau der neuen Brücke begonnen wird? „Der Zeitpunkt des Baubeginns kann erst nach Vorlage des Ausschreibungsergebnisses und Abstimmung mit dem momentan nicht bekannten Auftragnehmer festgelegt werden“, informiert die Pressesprecherin. Angestrebt werde weiterhin ein Baubeginn in 2021. Ob dieser Termin realisiert werden kann, das hängt ihr zufolge allerdings von dem erzielten Ausschreibungsergebnis und der Auslastung der Unternehmen ab, die Angebote abgeben.
Mit freundlicher Genehmigung: Schaumburger Zeitung / Schaumburg-Lippische Landeszeitung
Glasfaser
Ein Stellplatz weniger
Glasfaser-Ausbau: Hauptverteiler am Ahnser Dorfgemeinschaftshaus
AHNSEN. Um den Ausbau seines Glasfasernetzes auch auf die Gemeinde Ahnsen ausdehnen zu können, muss das Unternehmen Deutsche Glasfaser dort einen sogenannten „Point of Presence (PoP)“, einen Hauptverteiler, installieren. Dieser wird nach Information der Gemeindeverwaltung als regionale Technikzentrale die Schnittstelle zwischen dem bereits vorhandenen Glasfasernetz und den in Ahnsen zu verlegenden Hausanschlüssen bilden.
Als Standort für den in einem kleinen, aus Beton gefertigten Gebäude untergebrachten Hauptverteiler hat das Unternehmen den Parkplatz am örtlichen Dorfgemeinschaftshaus vorgeschlagen. Der Rat der Gemeinde Ahnsen hat diesem Vorhaben jetzt nach kurzer Diskussion, im Rahmen der über alternative Standorte debattiert wurde, seine Zustimmung gegeben.
Das Unternehmen Deutsche Glasfaser habe sich auch den „Roten Platz“ an der Ecke Bahnhofstraße/Schlesier Weg und den ebenfalls an der Bahnhofstraße gelegenen Container-Sammelplatz als möglichen Standort angeschaut, berichtete Gemeindedirektor Bernd Schönemann. Es favorisiere aber ganz klar den Parkplatz am Dorfgemeinschaftshaus. Dabei solle das Betonhäuschen so aufgestellt werden, dass dessen Lüftung zur Schulstraße hin ausgerichtet sei. Die von der Lüftung ausgehenden Geräuschemissionen erreichen ihm zufolge einen Wert in Höhe von bis zu 35 Dezibel A, was ungefähr so laut wie ein Staubsauger sei. Und mehr als einen der Autostellplätze benötige man nicht als Standfläche für das mit einem großen Kran aufzustellende Betongebäude.
Robert Pavlista, der Sprecher der CDU-Ratsfraktion, äußerte gewisse Bedenken gegen den von dem Unternehmen Deutsche Glasfaser gewünschten Standort. Denn bei Veranstaltungen habe man schon jetzt zu wenige Parkplätze am Dorfgemeinschaftshaus, erklärte er. Zudem befürchtete er, das Betonhäuschen könnte Autofahrern beim Ausfahren vom Parkplatz die Sicht in die vorfahrtsberechtigte Schulstraße nehmen.
Schönemann versicherte jedoch, der „Point of Presence“ werde so aufgestellt, dass man eine Sichtbehinderung ausschließen könne.
Am Ende votierte der Gemeinderat mit sechs Ja-Stimmen bei einer Nein-Stimme (Wolfgang Faulhaber / SPD) für den Parkplatz des Dorfgemeinschaftshauses als Standort des Hauptverteilers.
Mit freundlicher Genehmigung: Schaumburger Zeitung / Schaumburg-Lippische Landeszeitung
Ortseingangsschild
Findling von Behörde nur geduldet
Kein „Herzlich Willkommen“-Schild am Ahnser Ortseingang
AHNSEN. Autofahrer, die auf der Landesstraße 451 aus Richtung Vehlen kommend in das Dorf Ahnsen einfahren, werden am Ortseingang über das Alter der Gemeinde informiert: „Ahnsen seit 1256“ ist dort auf einem dekorativen Findling zu lesen. Bei der Sanierung der Ortsdurchfahrt hatte ein Tiefbauunternehmen den großen Stein bei Erdarbeiten gefunden und dann auf Beschluss des Gemeinderates innerorts neben der Straße platziert – auf einem Grünstreifen zwischen der Straße und dem kombinierten Geh-/Radweg. Die Ahnser CDU, die die Beschriftung des Findlings initiierte hatte, möchte an diesem Ortseingang zusätzlich ein „Herzlich Willkommen“-Schild aufstellen, das an einer dort zu platzierenden überdachten Holzkonstruktion befestigt werden soll.
veröffentlicht am 31.08.2021 um 10:13 Uhr
Doch daraus wird nichts, wie Gemeindedirektor Bernd Schönemann anlässlich der jüngsten Ratssitzung deutlich gemacht hat: Der Findling am Ortseingang werde von Seiten der niedersächsischen Landesstraßenbaubehörde derzeit lediglich geduldet, erklärte er. Aber wenn in dem Bereich auch noch ein Schild aufgestellt werde, bestehe „die große Gefahr“, dass beides entfernt werden müsse.
„Die Fläche gehört uns nicht“, betonte Schönemann. Zudem könnten Autofahrer durch das Schild abgelenkt werden; Letzteres ist ihm zufolge jedenfalls die Ansicht der Landesstraßenbaubehörde. Als Gemeinde müsse man nun überlegen, wo man das Begrüßungsschild stattdessen aufstellen könne, ergänzte er.
Bei Dieter Gutzeit, Mitglied der Ahnser CDU-Ratsfraktion, sorgte diese Information für Verärgerung: Rund 40 Jahre lang habe an dem Ortseingang bereits ein Begrüßungsschild gestanden, sagte er. Und wo vorher mal solch ein Schild gewesen sei, dürfe es auch jetzt wieder hin, sei man der Meinung. Ihm selbst fehlt für die Ablehnung dieses Vorhabens eigenen Worten nach somit eine überzeugende Begründung.
Der Stein werde dort nur geduldet, weil dieser weit genug vom Ortseingangsschild entfernt liege, erwiderte Harald Niemann, der Bürgermeister. Andernfalls wäre der Findling schon längst beseitigt worden – aufgrund der Unfallgefahr.
Mit freundlicher Genehmigung: Schaumburger Zeitung / Schaumburg-Lippische Landeszeitung
Bewegungsparcours
Bürger zu aktivem, gesünderem Lebensstil animieren
Ahnser CDU schlägt Anlage eines Bewegungsparcours vor
AHNSEN. Ginge es allein nach der CDU-Ratsfraktion, hätte der Rat der Gemeinde Ahnsen noch in dieser Wahlperiode eine Arbeitsgruppe Outdoor-Fitness ins Leben gerufen. Deren Bildung jedenfalls hat die CDU-Fraktion bei der jüngsten Ratssitzung vorgeschlagen.
veröffentlicht am 17.06.2021 um 10:14 Uhr
Ihr zufolge hätte jene Arbeitsgruppe dann ein Planungskonzept für einen in dem Dorf aufzubauenden „generationsübergreifenden Bewegungsparcours“ erstellen sollen. Doch mit Blick auf die im September anstehende Kommunalwahl verständigte sich der amtierende Gemeinderat letztlich darauf, lediglich eine entsprechende Empfehlung für den kommenden Gemeinderat zu beschließen.
Ihren Vorstoß hatte die CDU-Ratsfraktion in einem Papier so begründet: „Viele Menschen haben das Gefühl, etwas für ihren Körper tun zu müssen.“ Laufen, Radfahren und der Besuch eines Fitness-Studios seien jedoch nicht jedermanns Sache.
Demgegenüber sei jedoch die Nachfrage nach Ausdauer- und Krafttrainingsmöglichkeiten im öffentlichen Raum generationsübergreifend stark gestiegen. So habe sich etwa eine Trendsportart „Calisthenics“ entwickelt, die einzeln und in Gruppen von jedermann ausgeführt werden könne. Öffentliche Bewegungsparcours stellten zudem ein kostenfreies und jederzeit zugängliches Fitness- und Sportangebot für Jung und Alt dar, das sich gerade in Corona-Zeiten starken Zuspruchs und großer Beliebtheit erfreue. Ermöglichen diese doch einen niedrigschwelligen (Wieder-)Einstieg in einen aktiven Lebensstil und somit in eine gesündere Lebensführung.
„Ziel soll es sein, den Bürgern ein Bewegungsangebot zu machen“, betonte Ratsherr Carsten Borrmann (CDU) bei der Vorstellung der Idee. Und Robert Pavlista, zweiter stellvertretende Bürgermeister (CDU), hob hervor, es gehe auch darum, „unser Dorf“ attraktiver zu machen.
Die von der CDU-Ratsfraktion vorgeschlagene Arbeitsgruppe hätte deren Beschlussvorschlag nach unter anderem geeignete Standorte in Ahnsen ausgucken sollen, wo Outdoor-Fitnessgeräte aufgestellt werden könnten. Ferner hätte die Arbeitsgruppe passende Geräte auswählen, die Anschaffungskosten ermitteln sowie etwaige Fördermöglichkeiten in Erfahrung bringen sollen.
Als Befürworter der Idee zeigte sich Bernd Schönemann, der Gemeindedirektor.
Bürgermeister Harald Niemann (SPD) indes war geteilter Meinung: Vom Grundsatz her sei solch ein generationsübergreifender Bewegungsparcours zwar ein gutes Angebot, er persönlich befürchte jedoch, dass solch eine Anlage nicht viel genutzt werde, erklärte Niemann. Insofern sehe er das Ganze skeptisch, würde sich dem Vorhaben aber auch nicht verschließen.
Volker Wiehe, Mitglied der SPD-Ratsfraktion, befand die Idee eigenen Worten nach ebenfalls für gut. Mit Blick auf die kommende Kommunalwahl plädierte er allerdings dafür, das Thema Outdoor-Fitness jetzt nicht mehr anzufassen, sondern erst nachdem ein neuer Gemeinderat gewählt worden sei.
Mit freundlicher Genehmigung: Schaumburger Zeitung / Schaumburg-Lippische Landeszeitung
Finanzen
Gemeindeverwaltung informiert über Finanzen
Neue Geh-/Radwege für rund 565 000 Euro in Ahnsen
AHNSEN. Bei der jüngsten Sitzung des Ahnser Gemeinderates hat die Verwaltung über einige relevante Haushaltszahlen des Jahres 2020 informiert. Bekanntgegeben wurden unter anderen die Höhe der von der Kommune im Zusammenhang mit dem Ausbau der Landesstraße 451 zu tragenden Kosten.
veröffentlicht am 16.06.2021 um 10:49 Uhr
AHNSEN. Finanziell ist die Gemeinde Ahnsen anscheinend gut aufgestellt: Zum Stichtag 19. Mai betrug der Kontostand der Kommune insgesamt rund 645 000 Euro. Das berichtete Bürgermeister Harald Niemann bei der jetzigen Sitzung des Gemeinderates. Ein großer Teil dieses Geldes ist ihm zufolge auf einem Sparbuch angelegt, das Anfang des Jahres (Stichtag 4. Januar) ein Sparguthaben in Höhe von circa 377 000 Euro aufwies. „Das schwankt ständig“, merkte Gemeindedirektor Bernd Schönemann zu dem Gesamtkontostand an.
Weiter informierte die Verwaltung die Mitglieder des Gemeinderates, dass sich die Einzahlungen aus der laufenden Verwaltungstätigkeit der Gemeinde Ahnsen im Jahr 2020 auf rund 705 000 Euro beliefen. Demgegenüber hätten die Auszahlungen aus der laufenden Verwaltungstätigkeit fast 647 000 Euro betragen.
Die Einzahlungen für Investitionstätigkeiten bezifferte die Verwaltung auf 38 000 Euro, die Auszahlungen für Investitionstätigkeiten dagegen auf knapp 196 000 Euro. Für den Ausbau eines durch Ahnsen verlaufenden Abschnitts der Landesstraße 451 – genauer: den Neubau zweier Geh-/Radwege – musste die Gemeinde demnach über die Jahre 2014 bis 2020 in Summe ungefähr 565 000 Euro aufwenden.
Mit freundlicher Genehmigung: Schaumburger Zeitung / Schaumburg-Lippische Landeszeitung
Kreisverkehr
Weitere Planungskosten, aber kein Planungsauftrag
Ahnser Gemeinderat debattiert über Bau eines Kreisverkehrsplatzes
AHNSEN. Erneut hat sich der Rat der Gemeinde Ahnsen mit der Frage befasst, ob die bisweilen unfallträchtige Kreuzung Landesstraße 451/Kreisstraße 10 durch einen Kreisverkehrsplatz ersetzt werden sollte. Über die Vor- und Nachteile solche einer Lösung informierte ein Verkehrsexperte der Polizei. Dieser zeigte auch eine Alternative auf.
veröffentlicht am 07.06.2021 um 10:14 Uhr
AHNSEN. Schon seit Jahren wird in der Gemeinde Ahnsen darüber diskutiert, ob der innerörtliche Kreuzungsbereich Landesstraße 451/Kreisstraße 10 durch einen Kreisverkehrsplatz ersetzt werden sollte. Dahinter steht die Überlegung, den von Teilen der Einwohnerschaft als unfallträchtig wahrgenommenen Knotenpunkt durch diese Änderung zu entschärfen. Eine erste Planzeichnung, wie das Ganze in der Praxis aussehen könnte, liegt der Verwaltung bereits vor. Um eine Entscheidungshilfe zu haben, ob die weitere Planung eines solchen Kreisverkehrsplatzes in Auftrag gegeben werden soll, hatte die Kommune zur jüngsten Sitzung ihres Gemeinderates einen Verkehrsexperten der Polizei eingeladen. Dieser bewertete das Unfallgeschehen der vergangenen Jahre und informierte, welche Vor- und Nachteile ein Kreisverkehrsplatz bieten würde. Zudem zeigte er eine Alternative auf.
Bezogen auf die Jahre 2011 bis heute habe es lediglich in dem Jahr 2016 sowie – wegen der Schwere der Unfälle mit Personenschäden – in dem Dreijahres-Zeitraum 2019 bis heute eine Unfallhäufung in dem Kreuzungsbereich gegeben, berichtete Werner Müller, Polizeihauptkommissar und Sachbearbeiter Verkehr bei der Polizeiinspektion Nienburg/Schaumburg. Insgesamt hatten sich ihm zufolge 35 Verkehrsunfälle ereignet.
Für einen Kreisverkehrsplatz sprechen laut Müller folgende Argumente: eine größere Verkehrssicherheit und bessere Übersichtlichkeit (wobei die Mittelinsel für eine die Geschwindigkeit senkende „Sichtdurchbrechung“ sorgen soll), weniger Konfliktpunkte sowie ein gesteigerter Verkehrsfluss; ferner eine bessere Umweltbilanz und – verglichen mit einer Ampelkreuzung – günstigere Betriebskosten. Kontrapunkte sind indes der größere Platzbedarf, die recht sichere, manche Verkehrsteilnehmer aber irritierende „Führung von Radfahrern und Fußgängern“, die größeren Entfernungen für Fußgänger und bei hohem Verkehrsaufkommen gegebenenfalls „Zeitlückenprobleme“ hinsichtlich der in den Kreisverkehr einfahrenden Fahrzeuge. Letztgenanntes Problem würde es seiner Einschätzung nach in Ahnsen allerdings nicht geben.
Aufgrund der örtlichen Gegebenheiten könnte laut Müller in Ahnsen ein Kreisverkehrsplatz mit einem Radius von 13 Metern gebaut werden, wohingegen ein „normaler“ Kreisverkehrsplatz einen Radius von 16 Meter hat. Trotz der im Vergleich geringeren Ausmaße würde der kleinere Kreisverkehrsplatz ihm zufolge aber eine höhere Sicherheit bieten als die derzeit vorhandene Kreuzung. Ergänzend trug der Polizeihauptkommissar vor, dass sich das Land Niedersachsen seinen Informationen nach nicht an den Baukosten beteiligen würde. Und als Vorlauf für den Bau solch eines Kreisverkehrsplatzes seien erfahrungsgemäß vier bis sechs Jahre einzuplanen.
Alternativ schlug Müller vor, den Kreuzungsbereich durch eine Lichtsignalanlage zu entschärfen. Was vermutlich auch schneller und kostengünstiger zu realisieren sei.
Nach Angaben der Gemeinde Ahnsen gibt es übrigens noch eine weitere Option. So ist deren Verwaltung auf Anfrage bei der Verkehrsaufsicht des Landkreises Schaumburg mitgeteilt worden, es bestehe auch die Möglichkeit, an der Kreuzung das Verkehrszeichen 206 („Halt! Vorfahrt gewähren“) aufzustellen und gegebenenfalls eine Haltelinie im Zusammenhang mit einem Stoppschild auf der Fahrbahn aufzubringen. Diese Lösung werde bei der nächsten Besprechung der Verkehrsunfallkommission erörtert.
Auch wenn die Kreuzung über Jahre kein Unfallschwerpunkt gewesen sei, sei es dennoch eine gute Idee, dort einen Kreisverkehrsplatz zu bauen, meinte Carsten Borrmann, Mitglied der CDU-Ratsfraktion. Leider habe man aber den Zeitpunkt verpasst, dieses Vorhaben im Zuge des erfolgten Ausbaues der Landesstraße 451 zu realisieren. Gegen die Stoppschild-Lösung spricht seiner Meinung nach eine mit dem Anhalten und anschließenden Anfahren der Kraftfahrzeuge einhergehende erhöhte Geräuschbelastung.
Robert Pavlista, zweiter stellvertretender Bürgermeister (CDU), plädierte dafür, weitere Planungskosten für den Bau eines Kreisverkehrsplatzes in den Ahnser Haushalt einzustellen – ungeachtet der zu erwartenden „vielen Jahre der Planung“. Allerdings sollte die Gemeinde seinen Worten nach mit Maß an das Projekt herangehen respektive mit der Ausgabe von sechsstelligen Euro-Beträgen – gemeint waren die zu erwartenden Baukosten – „vorsichtig“ sein.
Wolfgang Faulhaber empfahl dagegen, keine diesbezüglichen Planungskosten mehr in den Haushalt einzustellen: Das Projekt Kreisverkehrsplatz zu verwirklichen würde Jahre dauern, erklärte der Vizebürgermeister (SPD). Außerdem müsse die Gemeinde bereits einen sechsstelligen Geldbetrag in die Sanierung des Daches ihres Dorfgemeinschaftshauses investieren. Ferner müsse man dafür sorgen, dass die wiedererstarkte Ortsfeuerwehr einen vernünftigen Umkleideraum bekomme. Und schließlich stelle sich die Frage, ob die Gemeinde Ahnsen überhaupt für die Entschärfung eines Unfallschwerpunktes zuständig sei.
Woraufhin Müller erklärte, zuständig sei der jeweilige Straßenbaulastträger, wenn die Verkehrsunfallkommission Entschärfungsmaßnahmen für notwendig erachte. Der Verkehrsunfallkommission gehören seinen Angaben nach unter anderem die Polizei, das Straßenverkehrsamt des Landkreises Schaumburg und die niedersächsische Landesstraßenbaubehörde an.
Am Ende der Debatte fasste der Gemeinderat mehrheitlich mit sechs Ja-Stimmen gegenüber drei Nein-Stimmen und einer Enthaltung des Beschluss, dass für die Gestaltung des Kreisverkehrsplatzes 20 000 Euro an weiteren Planungskosten in den 2022er Haushalt der Gemeinde Ahnsen eingestellt werden. Ein zunächst in dem Beschlussvorschlag vorgesehener Passus, gemäß dem die Verwaltung diese Planung auch in Auftrag geben sollte, wurde dagegen gestrichen.
Mit freundlicher Genehmigung: Schaumburger Zeitung / Schaumburg-Lippische Landeszeitung
Fussball Bänke
Alte Auswechselbänke sind marode und werden ausgewechselt
Gemeinde gewährt TSV Ahnsen einen Zuschuss für Eigenbau
AHNSEN. Weil die am Ahnser Fußballplatz stehenden, für Fußballpunktspiele benötigten Auswechselbänke abgängig sind, muss der Turn- und Sportverein (TSV) Ahnsen diese überdachten Sitzmöglichkeiten erneuern. Zur Finanzierung dieses Vorhabens hat der Verein um eine Geldspritze der Gemeinde Ahnsen gebeten.
veröffentlicht am 03.06.2021 um 10:45 Uhr
In seiner jüngsten Sitzung hat der Gemeinrat daraufhin einstimmig beschlossen, dass dem TSV für die Anschaffung beziehungsweise den Eigenbau neuer Auswechselbänke ein Zuschuss in Höhe von einhundert Prozent der Erstellungskosten zur Verfügung gestellt wird, wobei dieser Zuschuss aber auf maximal 2200 Euro begrenzt ist.
Begründet wurde die Zuwendung zum einen damit, dass der TSV Ahnsen im vergangenen Jahr einhundertjähriges Jubiläum hatte, er dieses Ereignis jedoch wegen der Corona-Pandemie nicht feiern konnte. Zudem wies die Gemeindeverwaltung auf die von dem Verein übernommene Pflege des Ahnser Fußballplatzes hin: Dadurch leiste der TSV Ahnsen „einen nicht unerheblichen Beitrag zum Erhalt der Nutzbarkeit der Rasenfläche für den Sportbetrieb“, hieß es in der Beschlussvorlage. Und: Durch die Übernahme dieser Arbeiten werde die Gemeinde Ahnsen „nicht unerheblich“ finanziell und personell entlastet.
Die Kosten für die Anschaffung fertiger Auswechselbänke beziehungsweise Unterstände bezifferte Bürgermeister Harald Niemann auf rund 2200 Euro pro Exemplar. Ein Eigenbau würde dagegen lediglich circa 1200 bis 1300 Euro pro Stück kosten – abhängig vom aktuellen Tagespreis für das dafür benötigte Holz.
Mit freundlicher Genehmigung: Schaumburger Zeitung / Schaumburg-Lippische Landeszeitung
Schmiedekreisel
Polizei informiert über Unfallzahlen
CDU fordert Kreisverkehr für Ahnsen
AHNSEN. Vor Kurzem hat es wieder einmal an der Kreuzung Theodor-Heuss-Straße/Friedrich-Ebert-Straße in Ahnsen gekracht – wie schon so oft: Insgesamt 35 Verkehrsunfälle haben sich dort allein vom Jahr 2011 an bis heute ereignet. In Anbetracht der beiden jüngsten Verkehrsunfälle sieht sich die CDU-Ratsfraktion veranlasst, ihre Forderung nach einem die Kreuzung ersetzenden Kreisverkehr zu bekräftigen. Ahnsens Bürgermeister Harald Niemann (SPD) befürwortet dies ebenfalls – unter einer Voraussetzung:
Vor Kurzem hat es wieder einmal an der Kreuzung Theodor-Heuss-Straße/Friedrich-Ebert-Straße in Ahnsen gekracht – wie schon so oft: Insgesamt 35 Verkehrsunfälle haben sich dort vom Jahr 2011 an bis heute ereignet. Mehr als 40 Kraftfahrzeuge und drei Fahrräder kamen dabei zu Schaden, 18 Menschen wurden verletzt. Das teilt Matthias Auer, Pressesprecher der Bückeburger Polizei, auf Anfrage dieser Zeitung mit. Bei den meisten Verkehrsunfällen war seinen Angaben nach „Unsachtsamkeit“ die Unfallursache, überwiegend waren Vorfahrtsverletzungen (21 Fälle) die Folge.
In diesem Kontext stellt sich die Frage, wie sich die Sanierung der durch Ahnsen führenden Landesstraße 451 auf das Unfallgeschehen ausgewirkt hat. Denn wegen der Bauarbeiten waren die Friedrich-Ebert-Straße und die sich daran anschließende Vehler Straße von August 2018 bis Mai 2020 für den allgemeinen Straßenverkehr gesperrt; lediglich Anliegerverkehr war dort zugelassen. Den Auer vorliegenden Statistikdaten ist diesbezüglich zu entnehmen, dass sich im Jahr 2018 vor Aufnahme des Baustellenbetriebes zwei Verkehrsunfälle auf der Kreuzung ereigneten. Im Jahr 2019 krachte es dort viermal und im Jahr 2020, nach Ende der Bauarbeiten respektive der Straßensperrung, zweimal. Aktuell ist die Kreuzung laut Auer nicht als Unfallschwerpunkt eingestuft. Im Jahr 2016, in dem sich dort sieben Verkehrsunfälle ereignet hätten, sei die Kreuzung aber schon einmal Unfallschwerpunkt gewesen, ergänzt er. Auf die Frage, ob ein Kreisverkehr an dieser Stelle zu empfehlen sei, antwortet der Polizei-Pressesprecher, dass ein Kreisverkehr die Unfallhäufigkeit seiner Meinung nach mit Sicherheit zum Positiven verändern würde. Jedoch liege es ihm zufolge im Zuständigkeitsbereich der unter anderem aus Vertretern des Straßenverkehrsamtes des Landkreises und der Polizei zusammengesetzten Verkehrskommission, darüber zu befinden.
Ein Kreisverkehr anstelle der Kreuzung böte „sehr viele positive Aspekte“, sagt Robert Pavlista, Ahnsens zweiter stellvertretender Bürgermeister und Sprecher der CDU-Ratsfraktion. So gebe es Studien, gemäß derer ein Kreisverkehr eine Reduzierung der gefahrenen Geschwindigkeiten bewirke, den Verkehrsfluss verbessere und im Ergebnis weniger unfallträchtig sei.
Laut Pavlista hält die CDU-Ratsfraktion daher an ihrer Forderung fest, dass die Kreuzung Theodor-Heuss-Straße/Friedrich-Ebert-Straße durch einen Kreisverkehr ersetzt werden sollte – sofern sich die Gemeinde Ahnsen das finanziell leisten kann. Das ist ihm zufolge bei der jetzigen Fraktionssitzung bekräftigt worden: So habe Ratsfrau Kerstin Zuschlag resümiert, die Kreuzung sei nicht mehr zeitgemäß – auch, da sich dort zu den Stoßzeiten ein großer Rückstau an Fahrzeugen bilde. Und Dieter Gutzeit habe in Anbetracht der jüngsten Verkehrsunfälle appelliert, diejenigen, die den Kreisverkehr bislang nicht befürwortet hätten, sollten ihre Entscheidung noch einmal überdenken.
Pavlista selbst wird noch deutlicher: „Muss es erst einen Toten geben?“, fragt er mit Blick auf die Unfallzahlen. Bei einer der nächsten Sitzungen des Gemeinderates solle dieses Thema der CDU-Ratsfraktion nach jedenfalls wieder auf die Tagesordnung kommen.
Im Jahr 2016 habe sich der Gemeinderat mit Mehrheit für die Planung eines Kreisverkehrs ausgesprochen, sagt Harald Niemann, der Bürgermeister (SPD, parteilos) der Kommune. Dann jedoch habe das Land Niedersachsen die Vehler Straße und Friedrich-Ebert-Straße (beide Teil der L 451) sanieren lassen. Bei diesem Straßenbauprojekt habe der Kreisverkehr aus bau- und vergaberechtlichen Gründen allerdings nicht mehr mit eingeplant werden können.
Im April 2018 hatte der Rat laut Niemann dann einstimmig beschlossen, hinsichtlich des Kreisverkehrs keine Planungskosten in den Gemeindehaushalt einzustellen, solange die Straßensanierung noch nicht abgeschlossen sei und man nicht wisse, wie viel Geld die Gemeinde Ahnsen für den in diesem Zuge gebauten neuen Rad- und Gehweg bezahlen müsse. Da diese Baumaßnahme inzwischen abgerechnet worden sei, werde man die Diskussion bezüglich des Kreisverkehres nun fortsetzen.
Ergänzend weist Niemann darauf hin, dass die Kosten für den Bau eines Kreisverkehrs 2016 grob auf 350 000 Euro geschätzt worden seien. Zu klären ist ihm zufolge, mit welchen Baukosten die Gemeinde heute rechnen muss und ob alternativ das Land Niedersachsen bereit ist, den Kreisverkehr zu bauen.
Mehrheitlich seien alle Mitglieder des Gemeinderates dafür, den Kreisverkehr zu bauen, fasst Niemann die Meinungslage zusammen. Er befürworte dies ebenfalls – sofern sich die Gemeinde diese Investition leisten könne.
von Michael Werk
Mit freundlicher Genehmigung: Schaumburger Zeitung / Schaumburg-Lippische Landeszeitung
Deutsche Glasfaser
Surfen in Lichtgeschwindigkeit
Ausbau des Glasfasernetzes: Nachfragebündelung in Ahnsen
AHNSEN. Das Unternehmen Deutsche Glasfaser möchte sein Glasfasernetz „Fibre ToThe Home (FTTH)“ auch auf das Gebiet der Gemeinde Ahnsen ausdehnen. Ein entsprechender Kooperationsvertrag mit der Kommune ist bereits vereinbart worden (wir berichteten). Jetzt ist die zweite Phase dieses Vorhabens angebrochen: die Nachfragebündelung.
AHNSEN. Das Unternehmen Deutsche Glasfaser möchte sein Glasfasernetz „Fibre To-The Home (FTTH)“ auch auf das Gebiet der Gemeinde Ahnsen ausdehnen. Ein entsprechender Kooperationsvertrag mit der Kommune ist bereits vereinbart worden (wir berichteten). Jetzt ist die zweite Phase dieses Vorhabens angebrochen: die Nachfragebündelung.
„Bis zum 19. Juni 2021 können die Bürgerinnen und Bürger einen Vertrag mit Deutsche Glasfaser abschließen, um einen kostenfreien Glasfaseranschluss bis ins Haus oder die Wohnung zu erhalten. Einzige Voraussetzung: Mindestens 40 Prozent der anschließbaren Haushalte in Ahnsen ziehen mit. Wird diese Quote bis zum Stichtag erreicht, steht dem Netzausbau nichts mehr im Wege“, teilt das Unternehmen dazu in einer Presseinformation mit. Versprochen wird der „Ausbau eines reinen Glasfasernetzes, mit dem die Bürgerinnen und Bürger in Lichtgeschwindigkeit im Internet surfen können“.
Die neue Infrastruktur berücksichtigt demnach alle Haushalte im Anschlussgebiet und schafft die Voraussetzung, dass auch Nachzügler noch angeschlossen werden können. Jene Nachzügler müssten dann allerdings die Anschlusskosten von derzeit 750 Euro selbst tragen.
Über sein Angebot informiert das Unternehmen in einem extra zu diesem Zweck in Obernkirchen eingerichteten „Servicepunkt“ am Bornemannplatz 2, der montags bis freitags von 10 bis 18 Uhr und samstags von 9 bis 14 Uhr geöffnet hat. Darüber hinaus gibt es – ebenfalls in Obernkirchen – einen beim Rewe-Markt in der Neumarktstraße 45 platzierten „Servicestand“ (Öffnungszeiten: freitags von 10 bis 18 Uhr und samstags von 9 bis 14 Uhr). Außerdem können Haus- und Wohnungseigentümer unter Telefon (02861) 8133410 einen Termin für eine persönliche Beratung in deren eigenen vier Wänden vereinbaren.
von Michael Werk
Mit freundlicher Genehmigung: Schaumburger Zeitung / Schaumburg-Lippische Landeszeitung
Bushaltestelle
Sechs Monate Probezeit vereinbart
Verkehrszeichen markiert neue Bushaltestelle in Ahnsen
AHNSEN. Zunächst für sechs Monate auf Probe ist in Ahnsen eine neue Bushaltestelle an der Vehler Straße, nahe der Einmündung der Schulstraße, eingerichtet worden – zu erkennen an dem nur provisorisch auf dem Rad-/Gehweh aufgestellten Haltestellen-Schild nebst Fahrplan.
Nach Angaben von Bürgermeister Harald Niemann hält dort der aus Richtung Klinikum Schaumburg (Vehlen) kommende Linienbus, der dann in Richtung Bad Eilsen beziehungsweise Bückeburg weiterfährt. Zum Auftakt ist an dem Haltestellen-Schild ihm zufolge allerdings lediglich der Fahrplan für die nach Bad Eilsen führende Tour angebracht; der Fahrplan für die Fahrtrichtung Bückeburg muss indes noch aufgehängt werden. Letzteres will das konzessionierte Busunternehmen laut Niemann kurzfristig erledigen.
Zu beachten ist, dass der aus Richtung Bad Eilsen oder Bückeburg zum Klinikum Vehlen fahrende Linienbus dagegen nicht an der in der Vehler Straße eingerichteten neuen Bushaltestelle hält. Grund dafür ist nach Erklärung von Niemann, dass auf der dem Rad-/Gehweg gegenüberliegenden Straßenseite kein Wartebereich für Fahrgäste vorhanden ist. Fahrgäste, die von Ahnsen aus mit dem Linienbus zum Klinikum fahren möchten, müssen demnach an einer der anderen Bushaltestellen zusteigen – spätestens an der Bushaltestelle in der Friedrich-Ebert-Straße.
Hintergrund für die probeweise Einrichtung der neuen Bushaltestelle ist, dass die zwei in der Schulstraße gelegenen Haltestellen unter anderem aus wirtschaftlichen Gründen nicht mehr von dem Buslinienverkehr angefahren werden; nur der Schulbus steuert diese noch an (wir berichteten).
von Michael Werk
Mit freundlicher Genehmigung: Schaumburger Zeitung / Schaumburg-Lippische Landeszeitung
Kletternetz
Großspielgerät wird erweitert
Gemeinderat Ahnsen beschließt Anbau eines Kletternetzes
AHNSEN. Die auf dem Ahnser Spielplatz stehende Kletterturmanlage wird um ein Kletternetz erweitert. Das hat der Gemeinderat auf Vorstoß der CDU-Ratsfraktion beschlossen.
veröffentlicht am 24.03.2021
AHNSEN. Die erst vor eineinhalb Jahren auf dem Spielplatz am Ahnser Dorfgemeinschafthaus errichtete, rund 23 000 Euro teure Kletterturmanlage wird um ein dazu passendes Element erweitert. Das hat der Gemeinderat auf Anregung der CDU-Ratsfraktion beschlossen. Angebaut wird demnach eine aus einem roten Stahlnetz und Pfosten bestehende, rund 2300 Euro kostende „Kletterwand“.
Ob die Montage vom Bauhof der Samtgemeinde Eilsen oder einem externen Unternehmen ausgeführt wird, blieb bei der Ratssitzung offen: Der Bauhof könne das Kletternetz sicherlich anbauen, allerdings sei diesbezüglich auch die Haftungsfrage zu bedenken, sagte Bernd Schönemann, der Gemeindedirektor der Gemeinde Ahnsen. Ihm zufolge wird die Verwaltung daher zunächst einen Kostenvoranschlag einer Fachfirma für diese Arbeit einholen.
Zu dem Vorstoß der CDU-Ratsfraktion erklärte deren Sprecher Robert Pavlista, der zweite stellvertretende Bürgermeister, dass man den Kindern des Dorfes mit dieser „Kletterwand“ eine Freude machen wolle.
„Ich halte das für sehr sinnvoll“, stimmte der erste Vizebürgermeister Wolfgang Faulhaber (SPD) der Anschaffung des Anbauelementes zu.
Im Nachgang zu der Ratssitzung teilte Pavlista mit, dass die Gemeinde hinsichtlich der Spielplatzgestaltung gerne Anregungen und Wünsche von Ahnser Bürgern entgegennehme. Denn auch in solchen Fragen sei die Beteiligung der Bürger wichtig.
Dem Kauf der großen Kletterturmanlage lag damals übrigens ebenfalls ein Vorstoß der CDU-Ratsfraktion zugrunde.
von Michael Werk
Mit freundlicher Genehmigung: Schaumburger Zeitung / Schaumburg-Lippische Landeszeitung
Onlinesitzungen
Videokonferenz statt Präsenzversammlung
Gemeinde Ahnsen öffnet Online-Ratssitzungen für Bürger
AHNSEN. In Pandemiezeiten können Rats- und Ausschusssitzungen auch als reine Videokonferenz durchgeführt werden. Der Rat der Gemeinde Ahnsen hat jetzt eine Änderung der Hauptsatzung der Gemeinde Ahnsen beschlossen, damit Interessierte solche „Videositzungen“ übers Internet live mitverfolgen können.
veröffentlicht am 23.03.2021
Sollte die Gemeinde Ahnsen in Pandemiezeiten statt der normalen Ratssitzungen (Bild) ersatzweise Videokonferenzen abhalten, können daran auch Bürger als Zuschauer teilnehmen. Foto: wk/Archiv
AHNSEN. Abhängig davon wie sich die Corona-Situation beziehungsweise eine Pandemie entwickelt, ist es möglich, dass Rats- und Ausschusssitzungen zeitweise nicht als Präsenzversammlungen stattfinden. Im Falle einer epidemischen Lage von landesweiter oder nationaler Tragweite kann eine Kommune ihre politischen Gremien jedoch alternativ per Videokonferenzen tagen lassen. Zur Beteiligung der Öffentlichkeit ist es dabei ausreichend, nach gelaufener Online-Veranstaltung lediglich das Sitzungsprotokoll zu veröffentlichen. Dies ist im Niedersächsischen Kommunalverfassungsgesetz (NKomVG) geregelt.
Um interessierten Bürgern die Möglichkeit zu bieten, solche Videokonferenzen übers Internet live mitzuverfolgen, hat der Ahnser Gemeinderat nun eine entsprechende Änderung der Hauptsatzung der Gemeinde Ahnsen beschlossen. Eingefügt worden ist ein Paragraph „Film- und Tonaufnahmen in öffentlichen Sitzungen“. In Ahnsen dürfen Vertreter der Medien und der Verwaltung demnach unter der Voraussetzung zwecks Veröffentlichung Film- und Tonaufnahmen von Ratsmitgliedern machen, dass die geplanten Aufnahmen dem Ratsvorsitzenden vor Beginn der Sitzung angezeigt werden. Der Ratsvorsitzende hat die Mitglieder des Rates dann vor der Sitzung darüber zu informieren. Die Ratsmitglieder können allerdings verlangen, dass von deren Redebeiträgen keine Film- und Tonaufnahmen angefertigt und veröffentlicht werden.
Der Rat der Gemeinde Ahnsen hat diesen Beschluss mehrheitlich bei einer Enthaltung gefasst.
von Michael Werk
Mit freundlicher Genehmigung: Schaumburger Zeitung / Schaumburg-Lippische Landeszeitung
Auebrücke
Baubeginn im Frühjahr fraglich
Neue Auebrücke in Ahnsen: Vorhaben noch nicht genehmigt
AHNSEN. Seit Jahren schon soll eine in Ahnsen über die Bückeburger Aue führende alte Brücke durch ein neues Brückenbauwerk mit breiterem Durchlass ersetzt werden, um den Hochwasserschutz zu verbessern. Zuletzt hatte der Landkreis Schaumburg das Frühjahr dieses Jahres als Baubeginn angepeilt. Doch ob dieser Termin gehalten werden kann, ist fraglich. Grund dafür ist nach Information von Anja Gewald, Pressesprecherin des Kreises, dass das Planungsverfahren immer noch nicht abgeschlossen ist: „Die Antragsunterlagen liegen noch nicht vollständig vor“, erklärt sie.
AHNSEN. Um den Hochwasserschutz in Ahnsen zu verbessern, soll die in der Straße „An der Aue“ über die Bückeburger Aue führende alte Brücke durch ein neues Brückenbauwerk mit breiterem Durchlass ersetzt werden. Das Vorhaben ist schon vor Jahren angekündigt worden, der Baubeginn aber immer wieder verschoben worden. Zuletzt – Anfang September 2020 – hatte der Landkreis Schaumburg auf Anfrage dieser Zeitung mitgeteilt, man strebe einen Baubeginn im Frühjahr 2021 an. Doch ob dieser Termin gehalten werden kann, ist fraglich.
Grund dafür ist nach Information von Anja Gewald, Pressesprecherin des Kreises, dass das Planungsverfahren immer noch nicht abgeschlossen ist: „Die Antragsunterlagen liegen noch nicht vollständig vor“, erklärt sie. So fehlt ihr zufolge etwa noch die Statik für die neue Brücke und die Widerlager. Jedoch sollen die Antragsunterlagen noch im Laufe dieser Woche bei der Kreisverwaltung eingehen. Mit der Eröffnung des Genehmigungsverfahrens wäre somit noch im März zu rechnen.
Ergänzend teilt Gewald mit, dass die Bückeburger Aue im Zuge der Errichtung des neuen Brückenbauwerks im Bereich des Baufeldes verschwenkt werde, um eine hydraulisch günstigere Anströmung zu erzielen. Hierfür sei ein sogenanntes Wasserrechtsverfahren erforderlich, in dem die Brücke mit genehmigt werde. In diesem Verfahren erfolge auch die Beteiligung der Träger öffentlicher Belange, wobei das Ganze circa sechs bis acht Wochen dauern dürfte.
Erst wenn die Genehmigung vorliegt, kann das Bauvorhaben laut Gewald öffentlich ausgeschrieben werden. „Wann mit dem Bau begonnen wird, ist von Faktoren abhängig, die momentan nicht vorhersehbar sind“, führt die Pressesprecherin weiter aus. Exemplarisch nennt sie die Auslastung der Baufirmen und das Ergebnis der Ausschreibung. Kalkuliert ist ihr zufolge eine Bauzeit von insgesamt rund drei Monaten – einschließlich Abriss der alten Auebrücke.
Wie bereits berichtet, soll das neue Brückenbauwerk circa 21,80 Meter lang und 2,50 Meter breit sein, mit einer lichten Durchlassweite von 18,30 Metern. Vorgesehen ist eine Aluminium-Fachwerkbrücke, die ohne Mittelpfeiler auskommt. Hintergrund ist, dass sich an dem Mittelpfeiler der alten Auebrücke bei Hochwasserlagen mitunter Treibgut verfängt, das deren im Vergleich ohnehin schon schmaleren Durchlass zusätzlich verengt.
Ein weiterer Unterschied ist, dass die neue Brücke nur noch als Geh- und Radwegbrücke dienen wird, wohingegen die alte Auebrücke auch von Kraftfahrzeugen befahren werden kann.
von Michael Werk
Mit freundlicher Genehmigung: Schaumburger Zeitung / Schaumburg-Lippische Landeszeitung
Deutsche Glasfaser
Deutsche Glasfaser will Ahnsen ans Glasfasernetz anschließen
Wolfgang Faulhaber (SPD) weist auf schlechte Bewertungen hin / Rat stimmt für Kooperationsvertrag
AHNSEN. Das Unternehmen Deutsche Glasfaser treibt den Ausbau seines Glasfasernetzes voran und hat nun auch die Gemeinde Ahnsen in den Blick genommen. Ein Vertreter des Telekommunikationsunternehmens hat die Pläne jetzt anlässlich einer Sitzung des Gemeinderates vorgestellt. Außer Zuspruch erhielt der Kooperationsmanager auch Gegenwind. Der Gemeinderat votierte mehrheitlich bei einer Nein-Stimme für den Abschluss des der Gemeindeverwaltung bereits vorliegenden Kooperationsvertrages.
AHNSEN. Das Unternehmen Deutsche Glasfaser will nun auch in der Gemeinde Ahnsen ein bis in die Häuser hinein reichendes Glasfasernetz verlegen. Voraussetzung dafür, dass dieses Vorhaben in die Tat umgesetzt wird, ist, dass sich genug Interessenten finden, die einen solchen Anschluss haben möchten. Konkret müssen während der drei Monate dauernden „Nachfragebündelung“ (Kundenakquise) mindestens 40 Prozent der in dem geplanten Ausbaugebiet vorhandenen Haushalte einen entsprechenden Vertrag abschließen. Das hat Michael Sieve, Kooperationsmanager des Telekommunikationsunternehmens, bei der Sitzung des Ahnser Gemeinderates mitgeteilt.
Ist eine ausreichende Nachfrage gegeben, werden ihm zufolge „100 Prozent“ ausgebaut. Bedeutet: Es werden in dem Gebiet auch Glasfaserkabel für jene Haushalte vorbereitet, die sich zum Zeitpunkt des Ausbaus noch nicht für einen Vertrag mit dem Unternehmen Deutsche Glasfaser entschieden haben. Sollten jene Haushalte später ebenfalls einen „Fibre To The Home (FTTH)“-Anschluss haben wollen, müssen diese lediglich noch an die bereits bis an deren Grundstücke heran im Boden verlegten Glasfaserkabel angeschlossen werden. Die Nachzügler müssen dann jedoch die Kosten für die Erstellung des Glasfaseranschlusses selbst tragen:„Ab 750 Euro“ seien dafür zu zahlen, sagte Sieve, und schob gleich hinterher: „Ein bisschen was kostet’s, aber wir kommen jetzt nicht mit 5000 Euro um die Ecke.“
Dass Sieve bei der jetzigen Ratssitzung zugegen war, hatte auch den Grund, dass das Unternehmen Deutsche Glasfaser vorab einen Kooperationsvertrag mit der Gemeinde Ahnsen abschließen will. Mittlerweile habe man mit rund 1600 Kommunen solche Kooperationsverträge für den Glasfasernetz-Ausbau vereinbart, berichtete er. Denn um die für das Glasfasernetz erforderlichen Verteilerkästen aufstellen zu können, benötige man die Unterstützung der Kommunen. Sprich: die Kommunen sollen dafür gemeindeeigene Flächen zur Verfügung stellen. „Wir suchen den Schulterschluss mit Ihnen“, betonte der Kooperationsmanager. Nicht ohne anzumerken, dass der geplante Ausbau des Glasfasernetzes letztlich aber auch ohne Kooperationsvertrag möglich wäre.
Um es vorweg zu nehmen: Der Gemeinderat votierte mehrheitlich bei einer Nein-Stimme für den Abschluss des der Gemeindeverwaltung bereits vorliegenden Kooperationsvertrages.
Zurück zu Sieve: Seinen Angaben nach wird das Ausbaugebiet nicht an den Gemeindegrenzen festgemacht, sondern daran ausgerichtet, wie es für den Glasfasernetz-Ausbau sinnvoll ist. Im Falle der Gemeinde Ahnsen hat dies zur Folge, dass nicht alle Ahnser Haushalte von dem Ausbaugebiet umfasst sind. Die Häuser an der Obernkirchener Straße beispielsweise, liegen außerhalb des Ausbaugebietes. Diesbezüglich erklärte Sieve, dass jene Haushalte von Obernkirchen aus an das Glasfasernetz angeschlossen werden könnten. Mit der Stadt Obernkirchen hat das Telekommunikationsunternehmen ihm zufolge jedenfalls schon einen Kooperationsvertrag geschlossen.
Gegenwind gab es von Wolfgang Faulhaber, dem ersten stellvertretenden Bürgermeister (SPD) der Gemeinde. Dabei bezog er sich eigenen Worten nach auf Kommentare von Kunden des Unternehmens Deutsche Glasfaser, die er in Bewertungsportalen im Internet gelesen hat: „Weit über 80 Prozent beurteilen sie nur negativ – in allen Bereichen“, sagte Faulhaber. Von Kunden moniert werden ihm zufolge unter anderem die Ausführung der Erdarbeiten, fehlende Deutschkenntnisse der Arbeiter und versprochene, aber in der Praxis nicht gegebene Datenübertragungsgeschwindigkeiten. Und dass es bei der Hotline des Unternehmens keinen kompetenten Ansprechpartner gebe. „Ich stehe der ganzen Sache ehrlich gesagt skeptisch gegenüber“, ergänzte Faulhaber.
Sieve erwiderte daraufhin, ihm seien die Bewertungen bekannt. In solchen Portalen kommentiere aber meist nur derjenige, der unzufrieden sei. Und: „Dass Bauarbeiter mal kein Deutsch sprechen, das finden wir nicht so schlimm.“ Denn vor Ort gebe es immer auch Deutsch sprechende Ansprechpartner.
„Im Internet schreiben die, die ärgerlich sind, und nicht die, die glücklich sind“, pflichtete Robert Pavlista, der zweite Vizebürgermeister (CDU) bei. Um dann zu betonen, dass man heutzutage einen leistungsfähigen Internetanschluss brauche. Das CDU-Ratsmitglied Markus Dreier sprach sich ebenfalls dafür aus, die von dem Unternehmen Deutsche Glasfaser gebotene Chance wahrzunehmen und den Kooperationsvertrag abzuschließen. Als Befürworter zeigte sich nicht zuletzt auch Ahnsens Bürgermeister Harald Niemann (SPD). Faulhaber stimmte dem Vertragsabschluss ebenfalls zu.
von Michael Werk
Mit freundlicher Genehmigung: Schaumburger Zeitung / Schaumburg-Lippische Landeszeitung
Straßenschilder
Ahnsen: Straßennamenschilder aufgepeppt
Schreibweise war mitunter falsch
Autor:Michael Werk, Reporter
AHNSEN. Manch einem ist es vielleicht schon aufgefallen: Die alten Straßennamenschilder in Ahnsen sind
durch neue ersetzt worden.
Wie Bürgermeister Harald Niemann erklärt, hatte ein Bürger in einem an die Verwaltung gerichteten
Schreiben moniert, dass die Schilder zum Teil verblasst und somit schlecht lesbar seien. Daraufhin hatte
dann der Rat der Gemeinde nach entsprechender Beratung beschlossen, neue Schilder anbringen zu
lassen, die zudem einheitlich gestaltet sind. Bisher waren die Straßennamenschilder nämlich nicht aus
einem Guss: Unterschiede gab es hinsichtlich der Schriftart.
Ergänzend merkt Niemann an, dass die alten Schilder mitunter auch stark verbeult waren. Zudem stimmte
in einigen Fällen die Schreibweise auf den Schildern nicht mit der tatsächlichen Schreibweise des
Straßennamens überein (Stichwort: Getrenntschreibung, Bindestrich).
Nach Auskunft des Bürgermeisters hat die Erneuerung der Straßennamenschilder sowie die einiger
Masten, die ebenfalls in einem schlechten Zustand waren, insgesamt knapp 2000 Euro gekostet.
Mit freundlicher Genehmigung: Schaumburger Zeitung / Schaumburg-Lippische Landeszeitung
Auebrücke
Die statische Prüfung fehlt noch
Neue Auebrücke lässt noch auf sich warten
AHNSEN. Aus Gründen des Hochwasserschutzes soll eine in Ahnsen vorhandene alte,
mit Kraftfahrzeugen befahrbare Auebrücke abgerissen und durch eine längere Geh-
/Radwegbrücke ersetzt werden. Der Landkreis Schaumburg als Träger dieser
Baumaßnahme hat für das Projekt einen Investitionsbetrag in Höhe von 300 000 Euro
eingeplant.
AHNSEN. Der schon vor Jahren angekündigte Brückenneubau, der die in der Straße „An der Aue“ über die
Bückeburger Aue führende alte Brücke ersetzen und den Hochwasserschutz in Ahnsen verbessern soll,
lässt noch länger auf sich warten. Wie Klaus Heimann, der Pressesprecher des Landkreises, auf Anfrage
dieser Zeitung mitteilt, ist nun ein Baubeginn im Frühjahr 2021 angestrebt. Zuletzt hatte die Verwaltung,
wenn auch unverbindlich, den Herbst dieses Jahres ins Auge gefasst.
Die neuerliche Verzögerung erklärt Heimann so: „Die Ausführungsplanung ist weitestgehend
abgeschlossen. Die für das Genehmigungsverfahren notwendige statische Prüfung der Brücke und deren
Gründung wird allerdings noch Zeit in Anspruch nehmen.“ Denn die einschlägigen Statik-Büros seien
derzeit total überlastet.
Zudem muss seinen Angaben nach noch das Beteiligungsverfahren für die vorgesehene wasserrechtliche
Plangenehmigung durchgeführt werden. Die öffentliche Ausschreibung des Bauvorhabens erfolge dann
nach Abschluss des Genehmigungsverfahrens, „wenn das Baurecht vorliegt“.
Was die für den Abriss der alten Auebrücke und den Bau der neuen Brücke bereits in den Haushalt des
Landkreises Schaumburg eingestellten Kosten (300 000 Euro) betrifft, geht die Verwaltung laut Heimann
davon aus, dass dieser Gesamtbetrag weiterhin ausreicht, um das Projekt zu finanzieren.
Vorgesehen ist ihm zufolge weiterhin, die geplante Brücke wie folgt auszuführen: Diese soll als Aluminium-
Fachwerkbrücke konstruiert werden, rund 21,80 Meter lang und 2,5 Meter breit sein und einen Durchlass
mit einer lichten Weite von 18,30 Metern aufweisen. Damit sich bei Hochwasser kein Treibgut mehr vor der
Brücke verkeilt, was zu einem zusätzlichen Aufstauen des Wassers führen würde, soll das neue Bauwerk –
anders als die alte Auebrücke – ohne einen Mittelpfeiler auskommen. Außerdem soll die neue Brücke nur
noch als Geh- und Radwegbrücke fungieren, während die derzeit vorhandene Auebrücke auch von
Kraftfahrzeugen befahren werden kann.wk
Mit freundlicher Genehmigung: Schaumburger Zeitung / Schaumburg-Lippische Landeszeitung
Geschwindigkeitsdisplay
L 451 ist einer der neuralgischen Punkte
Ahnsen: Geschwindigkeitsdisplay soll Raser bremsen
AHNSEN. Die innerörtliche Raserei mancher Autofahrer ist schon länger ein Thema in der
Gemeinde Ahnsen. Daher möchte die Verwaltung ein mobiles Geschwindigkeitsdisplay an
den Durchgangsstraßen aufzustellen. Dadurch sollen die Fahrzeugführer zu einer
rücksichtsvolleren Fahrweise bewegt werden.
Autor: Michael Werk, Reporter
AHNSEN. Um Autofahrer, die sich nicht an die innerorts geltenden Tempolimits halten, zu einer
gemäßigteren Fahrweise anzuhalten, möchte die Gemeinde Ahnsen an ihren Durchgangsstraßen ein
mobiles Geschwindigkeitsdisplay aufstellen. Dabei handelt es sich um ein automatisch arbeitendes Gerät,
das die Geschwindigkeiten der vorbeifahrenden Kraftfahrzeuge misst und diese – für den Fahrzeugführer
gut sichtbar – auf einer Anzeigetafel darstellt. Bestellt ist die Anlage bereits, aufgrund der langen Lieferzeit
wartet die Kommune aber noch auf die Auslieferung des Gerätes. Das berichtet Bürgermeister Niemann.
Ihm zufolge hatte vor Kurzem aber die Stadt Obernkirchen auf deren Gebiet (Röhrkasten) an der durch
Ahnsen führenden Obernkirchener Straße ein Geschwindigkeitsdisplay platziert. Sein persönlicher Eindruck
als Anwohner dieser Straße sei, dass die Kraftfahrzeuge dadurch um einiges langsamer gefahren seien,
berichtet er. Viele Autofahrer seien vom Gaspedal runtergegangen. Zumindest ist das der gefühlte
Eindruck, den er eigenen Worten nach von den wahrgenommenen Motorgeräuschen her abgeleitet hat. „Es
gibt aber auch einige Fahrer, die schert das nicht.“
Um genau zu wissen, wie schnell in jener Zeit auf der Obernkirchener Straße gefahren worden ist, will er
bei der Stadt Obernkirchen nachfragen, ob diese die mit dem mobilen Gerät ermittelten Messdaten an ihn
herausgibt.
Sobald die Gemeinde Ahnsen das von ihr bestellte, knapp 1800 Euro teure Geschwindigkeitsdisplay
erhalten hat, soll dies laut Niemann im ein- bis zweiwöchigen Wechsel an den neuralgischen Punkten des
Dorfes aufgestellt werden; so etwa auch am Ortseingang in der Bückeburger Straße, in der Neumühlener
Straße und an dem innerörtlichen Teilstück der gerade neu ausgebauten Landesstraße 451 (Vehler Straße /
Friedrich-Ebert-Straße).
Mit freundlicher Genehmigung: Schaumburger Zeitung / Schaumburg-Lippische Landeszeitung
Mehr Sicherheit für Radfahrer
L 451: Nach der Sanierung fehlt nur noch der Lückenschluss im Radweg zur B 65
Mehr Sicherheit für Radfahrer
AHNSEN. Vor über 30 Jahren wurden bereits Klagen über den schlechten Zustand der
Landesstraße 451 in der Ortsdurchfahrt Ahnsen laut. Vor 20 Jahren begannen Planungen
zur Sanierung, die dann aber wieder auf Eis gelegt werden mussten. Vor zwei Jahren
starteten unter Vollsperrung die Bauarbeiten zur Sanierung der Holperstrecke. Seit Mai
sind wieder Autos auf der Friedrich-Ebert- und der Vehler Straße unterwegs, jetzt wurde
das Projekt mit der Bauabnahme offiziell abgeschlossen. Eine scheinbar unendliche
Geschichte endet damit doch noch glücklich.
Autor:Karsten Klaus, Redakteur
Markus Brockmann, Leiter der Geschäftsbereichs Hameln der Niedersächsischen Landesbehörde für
Straßenbau und Verkehr, gab anlässlich der offiziellen Übergabe der neuen Ortsdurchfahrt einen Überblick
über Ablauf und Finanzen. 2001 habe seine Behörde mit den Planungen begonnen. Dann habe das Land
Niedersachsen jedoch den Geldhahn zugedreht, das Projekt wurde sehr zu Leidwesen der Ahnsener auf
Eis gelegt. 2011 dann ein Silberstreif am Horizont: Erste Signale aus Hannover deuteten darauf hin, dass
wohl mittelfristig mit dem Bau begonnen werden könne. In Hameln wurden die Pläne aktualisiert sowie
neuen Erfordernissen angepasst, die Ausschreibung wurde vorbereitet. 2018 war es tatsächlich so weit:
Umleitungsstrecken wurden eingerichtet, Behelfsampeln aufgebaut. Am 20. August rückten Bauarbeiter der
Firma Schweerbau aus Stadthagen mit schwerem Gerät an.
Von nun an sei alles wie am Schnürchen gelaufen, berichteten Bürgermeister Harald Niemann und
Gemeindedirektor Bernd Schönemann. Es habe immer eine gute Abstimmung vor Ort gegeben, auch die
Anwohner hätten Lärm, Staub und Umwege tapfer ertragen. Sie seien von der Baufirma gut eingebunden
worden – und revanchierten sich mit mancher Grillwurst oder Getränkekiste bei den Arbeitern für deren
Engagement.
3,2 Millionen Euro wurden in Ahnsen „verbuddelt“, 2,2 Millionen übernahm davon das Land Niedersachsen.
Mit im Boot waren außerdem der Abwasserverband Auetal sowie der Gemeinde Ahnsen und die
Stadtwerke Schaumburg-Lippe. Das Land war für den Straßenbau zuständig. Ahnsen beteiligte sich an den
Kosten für Geh- und Radweg sowie den Regenwasserkanal. Die Erneuerung des Schmutzwasserkanales
war Sache des Abwasserverbandes Auetal, die Stadtwerke Schaumburg-Lippe ließen neue Gas- und
Trinkwasserleitungen verlegen. Die Zusammenarbeit aller Beteiligten war so gut, dass dem einen oder
anderen die montäglichen Baubesprechungen möglicherweise sogar fehlen werden.
... und
Niemann hob insbesondere den großen Sicherheitsgewinn für Radfahrer und Fußgänger hervor. Doch noch
reicht der neue Rad-/Fußweg nur bis zur Einmündung zum Klinikum. Der Lückenschluss nach Vehlen und
zur B 65 soll aber nicht mehr lange auf sich warten lassen. Die Planungen seien weit fortgeschritten, sagte
Brockmann. Bürgermeister Niemann betonte noch einmal die Notwenigkeit dieser Maßnahmen. Er weiß
aus eigener Erfahrung, dass es entlang der Ahnser Straße immer wieder zu gefährlichen Situation kommt –
besonders wenn Krankenwagen auf dem Weg zum Klinikum sind.
Flickstellen, Schlaglöcher und Risse in der Fahrbahn hatten vor der Sanierung das Bild der Straße geprägt
– und ihren Ruf als schlechteste Landesstraße der Region untermauert. Auf weiten Teilen fehlten Gossen,
Rad- und Fußweg. Nun gibt es eine neue glatt asphaltierte sechs Meter breite Fahrbahn. Auf westlicher
Seite wurde ein neuer Geh- und Radweg gebaut und rot gepflastert. Dieser ist 2,50 Meter breit. Auf der
anderen Straßenseite befindet sich ein Fußweg. Unter allem verlaufen zeitgemäße Ver- und
Entsorgungsleitungen.
Einige Anlieger berichten übrigens schon von einem positiven Nebeneffekt des Baus: Ihre Keller seien jetzt
trocken. Allerdings wird auch beobachtet, dass die neue Straße zu schnellem Fahren herausfordert. Hier
sollen Messungen und die Aufstellung eines Geschwindigkeits-Displays Abhilfe schaffen.
Ahnsen war übrigens nach Brockmanns Angaben die vorletzte Ortsdurchfahrt in der Region, die saniert
werden musste. Nun stehe nur noch Pohle auf der Agenda.
„Alles hat super geklappt“
Sanierung der L 451 abgeschlossen
AHNSEN. Happy End einer schier unendlichen Geschichte: Donnerstagmittag erfolgte die
Bauabnahme der letzten Gewerke der Sanierung der Landesstraße 451, die Ahnsen mit
Vehlen verbindet. Auf den Tag genau zwei Jahre nach Baubeginn durchschnitten die
Verantwortlichen symbolisch ein Flatterband, um das offizielle Ende der Bauarbeiten zu
markieren.
Autor:Karsten Klaus, Redakteur
Doch das Projekt reicht viel länger als besagte zwei Jahre zurück. Schon seit Jahrzehnten hatte die L 451
den Ruf einer „Stoßdämpferteststrecke“ und einer der schlimmsten Straßen der Region. „Grottenschlecht“,
bestätigte selbst Markus Brockmann, Leiter der Geschäftsbereichs Hameln der Niedersächsischen
Landesbehörde für Straßenbau und Verkehr. Er war nach Ahnsen gekommen, um gemeinsam mit
Bürgermeister Harald Niemann und Gemeindedirektor Bernd Schönemann das Werk in Augenschein zu
nehmen.
Zuvor hatten Vertreter seiner Behörde, der beteiligten Ingenieurbüros und der ausführenden Baufirma
Schweer die Straße bautechnisch abgenommen. Brockmann, Niemann und Schönemann zeigten sich sehr
zufrieden mit dem Ergebnis. „Alles hat super geklappt“, sagte Niemann und schloss ausdrücklich das gute
Zusammenwirken von Arbeitern und Anliegern ein – schließlich war die Ortsdurchfahrt fast zwei Jahre
gesperrt.
Ausführlicher Bericht folgt.
Mit freundlicher Genehmigung: Schaumburger Zeitung, Schaumburg-Lippische Landeszeitung
Kreisverkehr in Ahnsen
Deshalb lässt der Kreisverkehr in Ahnsen auf sich warten
Obwohl die Landesstraße 451 in Ahnsen saniert wird, wird der seit Langem diskutierte Kreisverkehr vorerst nicht realisiert. Warum das so ist, erklärte Bürgermeister Harald Niemann.
Sollte die große Kreuzung im Ort durch einen Kreisverkehr ersetzt werden? Diese Frage beschäftigt die Gemeinde Ahnsen. Das Foto entstand vor Kurzem während der Bauarbeiten an der Ortsdurchfahrt. Quelle: Michael Werk
Ahnsen
Ein Leser dieser Zeitung hat sich in einem Leserbrief beklagt, dass im Zuge der laufenden Sanierung der durch Ahnsen führenden „Polter-Landesstraße 451“ nicht gleich auch der schon seit Langem diskutierte Kreisverkehr im Kreuzungsbereich Friedrich-Ebert-Straße/Neumühlener Straße/Theodor-Heuss-Straße/Krainhäger Straße gebaut wird. „Warum nicht jetzt, wo gerade Baumaßnahmen gemacht werden?“, fragte er. Die Redaktion hat diesbezüglich bei der Gemeinde Ahnsen nachgehakt.
Kreisel ist seit Jahren Thema in der Politik
Laut Bürgermeister Harald Niemann ist das Thema Kreisverkehr im August 2016 von der CDU-Ratsfraktion zur Diskussion gestellt worden, indem diese dazu eine Präsentation vorgestellt hatte. Daraufhin sei auf Beschluss des Gemeinderates ein Betrag in Höhe von rund 5000 Euro für entsprechende Planungskosten in den Haushalt eingestellt worden.
Mehr zum Thema:Kreiselbau steht noch in den Sternen
Würde der Kreisverkehrsplatz angelegt, müsste die Gemeinde dem Vortrag respektive den Recherchen der CDU-Ratsfraktion zufolge allerdings die gesamten Baukosten in Höhe von circa 300.000 Euro selbst tragen, „und zwar für einen Kreisverkehr auf einer Straßenkreuzung, die der Gemeinde Ahnsen nicht gehört“, betont Niemann. Das Land Niedersachsen beziehungsweise der Landkreis Schaumburg als Eigentümer der Straßen würden das Vorhaben zwar umsetzen, aber eben „auf unsere Kosten“.
Zuschüsse gibt es nur für Unfallschwerpunkte
Und eine Bezuschussung wäre, so Niemann, nach Aussage der Geschäftsstelle Hameln der Niedersächsischen Landesbehörde für Straßenbau und Verkehr lediglich möglich, wenn es sich bei der Kreuzung um einen Unfallschwerpunkt handeln oder deren Leistungsfähigkeit durch einen Kreisverkehr sichergestellt würde. Dabei würde sich der etwaige Zuschuss aber nur auf die anteiligen Kosten für einen dortigen Radweg beziehen.
Lesen Sie auch:L 451 - Baustelle bis Ende 2019
Dass diese Voraussetzungen in Ahnsen erfüllt wären, glaubt Niemann jedoch nicht. Seiner Meinung nach ist der Kreuzungsbereich, obwohl sich dort den Recherchen der CDU-Ratsfraktion zufolge in den Jahren 2012 bis 2015 insgesamt 13 Unfälle (davon vier mit Personenschäden) ereignet haben, jedenfalls „kein ausgewiesener Unfallschwerpunkt“.
Kann die Gemeinde die Investition alleine stemmen?
Gleichwohl sei es Konsens im Gemeinderat, dass ein Kreisverkehrsplatz wünschenswert sei, sagt Niemann. Die Frage sei, ob sich die Gemeinde diese Investition leisten könne, zumal man erst einmal abwarten müsse, wie hoch der zu tragende Gemeindeanteil an den Kosten für die Sanierung und den Ausbau der L451 tatsächlich ausfalle – auch vor dem Hintergrund, dass das Dach des Ahnser Dorfgemeinschaftshauses undicht sei und die Reparatur voraussichtlich mit rund 50000 Euro zu Buche schlagen werde. Insofern sei es eine politische Entscheidung, „wo die Prioritäten gesetzt werden“, so Niemann.
Unabhängig davon könne man den Kreisverkehrsplatz, den sich die CDU-Ratsfraktion intensiver wünsche als die SPD-Ratsfraktion, nicht von heute auf morgen realisieren. Vielmehr gehe solch einem Vorhaben ein mindestens zweijähriges Planungsverfahren und eine sich daran anschließende Ausschreibung voraus.
Pavlista: Gemeinde ist bei Planung nicht mit ins Boot geholt worden
Je nach Ausführung wäre der Bau eines Kreisverkehrs laut Robert Pavlista, dem 2. stellvertretenden Bürgermeister (CDU), auch schon zu einem Preis ab 120.000 Euro möglich. Dabei bezieht er sich eigenen Angaben nach auf eine Aussage der Geschäftsstelle Hameln der Landesbehörde für Straßenbau und Verkehr. Gewünscht hätte er sich, dass dieses Vorhaben im Rahmen der jetzigen Straßensanierung in Angriff genommen worden wäre. Doch leider sei die Gemeinde von der Behörde diesbezüglich nicht mit ins Boot geholt worden, bedauert er. Stattdessen werde die Kreuzung lediglich saniert – und danach habe man eine Kreuzung wie gehabt.
Auch interessant:Altes Sägewerk in Ahnsen: Entstehen hier Ein- und Mehrfamilienhäuser?
Hinzu kommt Pavlista zufolge, dass es sich bei der Friedrich-Ebert-Straße und der Neumühlener Straße um eine „Rennstrecke“ handelt, die durch einen Kreisverkehr hätte beruhigt werden können. Nach Abschluss der Sanierungs- und Ausbauarbeiten und ohne den Kreisverkehr dürfte dieses Raser-Problem seiner Einschätzung nach eher noch größer werden.
Die CDU-Ratsfraktion halte an der Forderung, in dem Kreuzungsbereich einen Kreisverkehrsplatz anzulegen, weiterhin fest, sagt Pavlista. Wobei man die Gemeinde mit solch einem Projekt aber auch nicht finanziell überfordern wolle.
Kreuzungsbereich ist kurzerhand in Sanierung mit aufgenommen worden
Die Fahrbahnerneuerung im Bereich der Kreuzung war nach Informationen von Gemeindedirektor Bernd Schönemann ursprünglich gar kein Bestandteil der in Ahnsen laufenden Straßensanierungs- und -ausbaumaßnahme. Doch habe die Landesbehörde bei einer Besichtigung Risse im Asphaltbelag festgestellt und kurzerhand entschieden, die Deckschicht mit zu erneuern.
Das schließe jedoch überhaupt nicht aus, dort später einmal einen Kreisverkehrsplatz zu bauen, „wenn denn die Mehrheit des Rates das will“, erklärt er. Ob Geld dafür vorhanden ist, wisse man indes erst, nachdem die laufende Straßenbaumaßnahme abgerechnet worden sei.
Zu tragen hat die Gemeinde davon laut Schönemann die Kosten für den neuen Geh- und Radweg sowie für die Erneuerung des Regenwasserkanals. von Michael Werk
L451
Fertigstellung der Landesstraße 451 in Ahnsen verzögert sich
Die bereits seit Sommer 2018 laufenden Bauarbeiten an der durch Ahnsen führenden Landesstraße 451 werden sich länger hinziehen als geplant. Unter anderem muss noch der alte, mit Schadstoffen belastete Asphalt entsorgt werden.
Ahnsen
Anvisiert war, die rund 3,2 Millionen Euro teure Sanierungs- und Ausbaumaßnahme bis Ende dieses Jahres fertigzustellen. Nach derzeitiger Lage wird das Projekt voraussichtlich aber erst im Februar oder März 2020 abgeschlossen. Das teilt Mario Wege, Bauleiter des ausführenden Unternehmens Schweerbau aus Stadthagen, auf Anfrage dieser Zeitung mit.
Grund dafür, dass der ursprüngliche Termin nicht eingehalten werden kann, sind Wege zufolge verschiedene, in den vergangenen Monaten aufgetretene Unwägbarkeiten. So ist beispielsweise ein vor Kurzem zu erneuernder, alter Regenwasserkanal zur Überraschung des Bautrupps komplett in Beton eingeschalt gewesen, was den Austausch dementsprechend erschwert hat: „Das hat uns eine ganze Woche im Zeitplan nach hinten geworfen“, verdeutlicht Wege. Im Nachhinein habe man erfahren, dass der Regenwasserkanal einbetoniert wurde, da die Ahnser Ortsdurchfahrt früher als „Panzerstraße“ genutzt worden sei.
Diese und andere unerwartete Unwägbarkeiten haben zwar jeweils nur zu vergleichsweise kurzen Verzögerungen im Bauablauf geführt, in Summe aber kann der in Angriff genommene letzte der insgesamt drei Bauabschnitte deswegen nicht mehr vor dem Winter asphaltiert werden. Konkret geht es um das noch fertigzustellende Teilstück der Vehler Straße; dieses reicht etwa von der innerörtlichen Einmündung der Schulstraße bis zu dem zwischen Ahnsen und Vehlen gelegenen Knotenpunkt, an dem die neue Kreisstraße 73 in die Landesstraße 451 mündet.
Mehr zum Thema: Sanierungsarbeiten des maroden Teilstückes der Landesstraße 451 kommen gut voran
Hinsichtlich der Asphaltierungsarbeiten spielen laut Wege genau genommen gleich zwei Probleme eine Rolle: Demnach kann der noch auszubauende, alte Straßenbelag erst am 25. November zu einem bestimmten Entsorgungsunternehmen transportiert werden, da Schweerbau keinen früheren Abfuhrtermin von jener Sondermülldeponie erhalten hat. Den alten Asphalt stattdessen einfach zu einem anderen Betrieb, beispielsweise zu einem Recyclingunternehmen, zu transportieren, ist indes nicht möglich, da das teerhaltige Material mit sogenannten PAK (polyzyklischen aromatischen Kohlenwasserstoffen) belastet ist.
Der neue Geh-/Radweg (links im Bild) ist vorbereitet, muss nur noch betoniert werden.
Ein Gutachter hatte die Schadstoffbelastung zu Beginn der Bauarbeiten festgestellt. Die Folge: Auch die Tragschicht und ein Teil des darunterliegenden Bodens müssen entsorgt werden.
Das andere Problem ist nach Auskunft Weges, dass nur asphaltiert werden kann, wenn auch das Wetter dies zulässt. Das bedeutet: Es dürfe beim Aufbringen des Straßenbelags kein Frost herrschen, weil der warm angelieferte Asphalt sonst zu schnell abkühlen und der neue Fahrbahnbelag brüchig werden würde.
Da Asphaltierungsarbeiten zudem einen längeren organisatorischen Vorlauf erfordern, im Voraus aber eben nicht eingeschätzt werden kann, ob es an dem dafür ausgewählten Termin tatsächlich frostfrei sein wird, hat das Unternehmen Schweerbau die Asphaltierung auf Februar oder März kommenden Jahres verschoben. Ergänzend merkt Wege hierzu an, dass der heutzutage verwendete Asphalt übrigens nicht teerhaltig sei.
von Michael Werk
Sägewerk Möller
Altes Sägewerk in Ahnsen: Entstehen hier Ein- und Mehrfamilienhäuser?
Das alte Sägewerk in Ahnsen gilt als Schandfleck im Dorf. Doch jetzt soll sich etwas tun: Ein Investor soll Ein- und Mehrfamilienhäuser auf dem Gelände errichten wollen.
Ahnsen
Ein Aushängeschild für das Dorf Ahnsen ist das an der Schulstraße gelegene ehemalige Sägewerk nicht. Ganz im Gegenteil: Die heruntergekommenen Gebäude und das ungepflegte Gelände sehen mittlerweile geradezu trostlos aus – ein Schandfleck im Dorf. Doch scheint es nun eine vielversprechende Entwicklungsperspektive für das rund 1,6 Hektar große Areal zu geben.
Denn nach Information der Gemeinde gibt es einen Investor, der auf dem Gelände mehrere Ein- und auch Mehrfamilienhäuser für den sozialen Wohnungsbau errichten möchte. Entstehen sollen insgesamt circa zwanzig Wohneinheiten. Zuvor müssen laut der Verwaltung freilich erst die vorhandenen Altgebäude, ein dort noch stehender hoher Schornstein und eine Krananlage abgerissen sowie die Fundamente und die auf dem Gelände angelegten Verkehrswege zurückgebaut werden. Zudem muss all dies entsorgt werden.
Beteiligt sich die Gemeinde?
Bei der jüngsten Sitzung des Gemeinderates war zu entscheiden, ob sich die Gemeinde an den Abrisskosten beteiligen sollte, um die Entwicklung des Sägewerk-Geländes zu unterstützen. Laut Beschlussvorlage ist für den Abriss der Gebäude und Anlagen gegebenenfalls ein finanzieller Zuschuss in Höhe von bis zu 50000 Euro aus dem sogenannten Leader-Förderprogramm der EU möglich. Voraussetzung sei, „dass sich die Gemeinde mit einer öffentlichen Kofinanzierung von 6250 Euro beteiligt“. Die Gesamtbruttokosten für die Maßnahme bezifferte die Verwaltung auf 291550 Euro. Seitens der Gemeinde wurde daher vorgeschlagen, die Kofinanzierung für den Abriss sicherzustellen und sich zu 50 Prozent (höchstens 10000 Euro) an den entstehenden Planungskosten für das Baugebiet zu beteiligen.
„Ich sehe das als große Chance für Ahnsen, wenn diese Industriebrache verschwindet“, sagte Gemeindedirektor Bernd Schönemann. Die Zufahrt zu dem neuen Wohngebiet sollte dann über den Schlesierweg erfolgen, nicht jedoch über die Schulstraße. An möglichen Vorteilen für die Gemeinde nannte er ferner die infolge des Wohnungsbaus steigende Einwohnerzahl sowie dadurch bedingte Steuermehreinnahmen hinsichtlich des Gemeindeanteils an den Einkommensteuern.
Abriss mit Risiken verbunden
Der Abriss der Gebäude und Anlagen sei die Voraussetzung für den Neubau, betonte Schönemann. Ihm zufolge sei das Ganze allerdings auch mit Risiken verbunden, da das Gelände beispielsweise mit Öl belastet sein könnte. Denn früher soll dort mal eine kleine Tankstelle gestanden haben.
Auf Anfrage dieser Zeitung berichtete Schönemann später, dass das Sägewerk-Gelände im Eigentum zweier Brüder, Hans und Fritz Möller, stehe; diese hätten eine Gesellschaft bürgerlichen Rechts (GbR) gegründet.
Kein persönlicher Kontakt zu Möller
Weniger begeistert zeigte sich bei der Ratssitzung Wolfgang Faulhaber, Ahnsens stellvertretender Bürgermeister: Er sei „nicht uneingeschränkt dafür“, dass sich die Gemeinde finanziell beteilige, erklärte der Sozialdemokrat. Seine Haltung begründete er damit, dass „Herr Möller“ mit dessen Bruder eine GbR gegründet habe, sich bislang nicht beim Gemeinderat habe sehen lassen, wohl aber jetzt das Geld haben wolle. „Da hätte ich schon erwartet, dass sich Herr Möller hier mal blicken lässt und seine Planungen vorstellt“, verdeutlichte Faulhaber.
Hierauf erwiderte Schönemann, dass Herr Möller dies durchaus vorgeschlagen habe. Doch habe er Möller gesagt, dies sei nicht notwendig, er könne selbst über die Pläne informieren. Kritisch äußerte sich zudem Volker Wiehe (SPD-Ratsfraktion): Er habe „nicht so ein gutes Gefühl“. Denn das Geld fließe an eine Person, der man damit „auf die Füße“ helfe, obwohl das Ganze deren Problem sei.
Chance für Ahnsen
„Es ist ja auch die Aufgabe unserer Ratsarbeit, die Gemeinde nach vorne zu bringen“, wandte Robert Pavlista ein, der in eben dieser Ratssitzung neu ins Amt gewählte zweite Bürgermeister. Mit dem ehemaligen Sägewerk habe man „mitten im Ortskern eine Industrieruine“, die nicht besser werde. Und rund 300000 Euro für den Abriss seien von einer Privatperson schwer zu stemmen. Zudem glaube er nicht, dass Möller mit diesem Vorhaben einen großen Reibach mache.
Für das Dorf Ahnsen sei dies eine Chance, pflichtete Dieter Gutzeit (CDU) bei, und schob hinterher: „Sind Bauchschmerzen nun wichtiger als das Fortkommen der Gemeinde, eine Ruine wegzubekommen?“ „Es ist eine Chance, unser Dorf weiterzuentwickeln“, bekräftigte Ahnsens Bürgermeister Harald Niemann. Dabei müsse Möller hinsichtlich der Abrisskosten gut 250000 Euro selber aufbringen, auch trage Möller das Risiko. Die Gemeinde indes würde im schlimmsten Falle lediglich rund 16000 Euro zahlen.
Gemeinde beteiligt sich
„So was kann man sich eigentlich nicht entgehen lassen“, warb Schönemann. Und die Frage sei doch: Wolle man Möller ermöglichen, über das Leader-Förderprogramm 50000 Euro für den Abriss zu erhalten?
Bei der Abstimmung votierte der Gemeinderat mit sechs Ja- bei zwei Nein-Stimmen (Faulhaber und Wiebe) dafür, dass sich die Gemeinde mit einem Betrag in Höhe von 6250 Euro an dem Leader-Projekt „Abriss des ehemaligen Sägewerks in Ahnsen“ sowie mit 50 Prozent (höchstens 10000 Euro) an den Planungskosten für das dann folgende Baugebiet beteiligt. von Michael Werk
Mit freundlicher Genehmigung: Schaumburger Zeitung / Schaumburg-Lippische Landeszeitung
Piel Pavlista
Rat Ahnsen: Piel und Pavlista folgen auf Struckmeier
Im Rat der Gemeinde Ahnsen hat es personelle Veränderungen gegeben. Anlass dafür ist der Rücktritt des SPD-Ratsherrn Frank Struckmeier gewesen.
Ahnsens Bürgermeister Harald Niemann (rechts) gratuliert Rüdiger Piel zu dessen Einzug in den Gemeinderat. Derweil ist Robert Pavlista (kleines Bild) zum neuen zweiten Vizebürgermeister gewählt worden. Fotos: wk
Ahnsen
Nachdem der bisherige SPD-Ratsherr Struckmeier sein Mandat im Ahnser Gemeinderat vor einigen Wochen überraschend niedergelegt hat, ist nun der Sozialdemokrat Rüdiger Piel in das Gremium nachgerückt. Die nach dem Niedersächsischen Kommunalverfassungsgesetz erforderliche Feststellung des Sitzerwerbes erfolgte einstimmig. Im Vorfeld hatte Piel der Gemeinde bereits schriftlich bestätigt, dass er das Ratsmandat annehme.
Ein Neuling in der Lokalpolitik ist Piel allerdings nicht. Vielmehr hat er dem Rat der Gemeinde Ahnsen schon von November 2001 bis Oktober 2006 sowie von November 2011 bis Oktober 2016 angehört.
Vorsitz für Bau- und Umweltausschuss weiter unbesetzt
Bei der jetzigen Ratssitzung sollte laut Tagesordnung ferner ein neuer Vorsitzender für den Bau- und Umweltausschuss benannt werden. Denn dieses Amt hatte zuletzt Struckmeier bekleidet, der zudem zweiter stellvertretender Bürgermeister war. Auf – nicht näher begründeten – Antrag von Wolfgang Faulhaber, dem Vorsitzenden der SPD-Ratsfraktion, ist dieser Tagesordnungspunkt jedoch auf die nächste Ratssitzung verschoben worden.
Derzeit ist der Bau- und Umweltausschuss ausschließlich mit Mitgliedern der SPD-Ratsfraktion besetzt, da sich die CDU-Ratsfraktion seit der konstituierenden Ratssitzung vom 24. November 2016 einer Mitarbeit in diesem Ausschuss verweigert. Denn damals hatten die Christdemokraten gefordert, dass auf die Bildung von Ausschüssen verzichtet werden solle und stattdessen gemeinsame Fraktionssitzungen abzuhalten seien – worauf die Sozialdemokraten aber nicht eingegangen waren.
Pavlista folgt auf Struckmeier
Gewählt werden musste bei der jetzigen Sitzung zudem ein neuer zweiter Vizebürgermeister. Als Kandidaten für dieses Ehrenamt schlug Faulhaber im Namen der SPD-Fraktion den Sprecher der CDU-Ratsfraktion, Robert Pavlista, vor. Ein Vorschlag, der – so der Christdemokrat Dieter Gutzeit – auch im Sinne der CDU-Fraktion war. Die Abstimmung fiel daher erwartungsgemäß einstimmig zugunsten von Pavlista aus.
„Ich nehme das Amt mit einem lachenden und einem weinenden Auge an“, erklärte Pavlista. Das „weinende Auge“ erklärte er mit dem Ausscheiden Struckmeiers aus dem Gemeinderat. von Michael Werk
Mit freundlicher Genehmigung: Schaumburger Zeitung / Schaumburg-Lippische Landeszeitung
Frank Struckmeier
Frank Struckmeier (SPD) schmeißt hin
Knalleffekt bei der Sitzung des Ahnser Gemeinderates: Ohne vorherige Ankündigung hat Frank Struckmeier (SPD) seinen Verzicht auf das von ihm seit November 2016 ausgeübte Ratsmandat erklärt.
hnsen
Statt diese Entscheidung jedoch persönlich (sprich: verbal) zu verkünden und gegebenenfalls auch zu erläutern, übergab er lediglich eine schriftliche Mitteilung, um gleich danach auf einem der für interessierte Bürger bereitgestellten Besucherstühle Platz zu nehmen.
Daraufhin nahm Gemeindedirektor Bernd Schönemann das Schriftstück in Augenschein und verlas dann Struckmeiers knappe Mitteilung, laut der dieser das Ratsmandat per sofort niederlege. Schönemann merkte hierzu lediglich an, dass Struckmeiers Mitgliedschaft in dem Gemeinderat damit allerdings noch nicht ende (denn dafür bedarf es formal noch einer entsprechenden Feststellung seitens des Rates; Anm. d. Red.).
Auf Nachfrage dieser Zeitung sagte Struckmeier später, dass sein Entschluss im Laufe des vergangenen halben Jahres gereift sei. Die Gründe, die zu seiner Entscheidung geführt haben, seien aber nichts für die Öffentlichkeit. Dafür aber brachte er ein Zitat, das ihm zufolge von dem US-amerikanischen Bürgerrechtler Martin Luther King stammen soll: „Um Feinde zu bekommen, ist es nicht nötig, den Krieg zu erklären. Es reicht, wenn man einfach sagt, was man denkt!“ Zudem bezeichnete er seine Arbeit im Ahnser Gemeinderat als einen „Kampf gegen Windmühlen“.
In der nächsten Sitzung auf der Tagesordnung
„Es kam für mich völlig überraschend“, kommentiert Schönemann im Nachgang zu der Ratssitzung den Mandatsverzicht Struckmeiers. Warum sich dieser so entschieden habe, darüber wolle er nicht spekulieren, so der Gemeindedirektor. Das seien alles nur Vermutungen.
Sicher sei laut Schönemann indes, dass das Thema bei der nächsten Ratssitzung auf die Tagesordnung komme. Dann nämlich müsse der Rat den Amtsverzicht feststellen und die Nachfolge regeln. Nachrücker sei demnach Rüdiger Piel, wenn dieser das Amt denn annehmen wolle.
Überrascht von Struckmeiers Rücktritt zeigt sich auch Ahnsens Bürgermeister Harald Niemann: „Die Gründe sind mir nicht bekannt“, teilt er mit. Jedenfalls sei ihm „nichts Offenkundiges“ in Erinnerung, was die Mandatsniederlegung begründen könnte. Und dass man in der Politik nicht immer einer Meinung sei, das sei doch Bestandteil eines jeden Beratungs- und Entscheidungsprozesses.
„Fachlich ist das sicherlich ein Verlust“, meint Robert Pavlista, der Sprecher der CDU-Ratsfraktion. Struckmeier habe sich nämlich immer sehr in die jeweiligen Themen reingehängt. Gleichwohl sei dessen „persönliche Art schon sehr fordernd“ gewesen. Denn wenn Struckmeier eine Meinung hatte, sei es „fast unmöglich“ gewesen, ihn von einer anderen Meinung zu überzeugen. Wobei Struckmeier auch in der SPD-Fraktion „seine eigene Linie gefahren“ habe. wk
Mit freundlicher Genehmigung: Schaumburger Zeitung / Schaumburg-Lippische Landeszeitung
Der durch den Abbau der alten Kletterburg frei gewordene Bereich (hinten im Bild)
auf dem Spielplatz soll mit einer neuen Spielekombination bebaut werden. Foto: wk
Neue Kletterburg auf Ahnser Spielplatz wird 23 600 Euro kosten
AHNSEN. Der Rat der Gemeinde Ahnsen hat die Anschaffung einer neuen, großen Spielekombination für den am Sportplatz gelegenen Spielplatz beschlossen. Noch in den Sommerferien könnte diese aufgebaut werden.
AHNSEN. Die Entscheidung ist gefallen: Als Ersatz für die auf dem Ahnser Spielplatz wegen baulicher Mängel abgebaute hölzerne Kletterburg schafft die Gemeinde eine inklusive Montage rund 23 600 Euro teure „Spielekombination Schmittingen“ an. Das hat der Gemeinderat in seiner jetzigen Sitzung einstimmig beschlossen.
Bei der von dem Unternehmen Westfalia Spielgeräte vertriebenen „Spielekombination Schmittingen“ handelt es sich um eine im Wesentlichen aus Recycling-Kunststoff hergestellte Kletterburg. Diese wartet der Beschreibung nach unter anderem mit zwei Türmen mit Walmdach, einem Kletternetz, einem Balancierbalken, einer Hängebrücke, einer Rutsche und einer Freikletterwand mit Kunststoffgriffen auf.
Von der Verwaltung war mit Blick auf den für den Kauf eines Spielgerätes bereits in den Gemeindehaushalt eingestellten Betrag (20 000 Euro) allerdings eine etwas einfachere und somit günstigere Variante vorgeschlagen worden – eine Alternative, die circa 20 800 Euro kosten würde und die man bei Bedarf ja im nächsten Jahr gegebenenfalls noch um ein Zusatzmodul erweitern könnte.
Die CDU-Ratsfraktion indes plädierte dafür, gleich die größere Lösung zu wählen: Die Spielekombination „Schmittingen“ sehe wie eine kleine Burg aus, und es sei alles dran, was es zum Spielen braucht, erklärte das Ratsmitglied Markus Dreier (CDU). Zudem wies er darauf hin, dass die Gemeinde die für dieses Modell anfallenden Mehrkosten aus den der Kommune zur Verfügung stehenden liquiden Mitteln bezahlen könne.
Robert Pavlista, Sprecher der CDU-Ratsfraktion, warf als zusätzliches Argument ein, dass die Spielekombination „Schmittingen“ für eine größere Bandbreite an Altersgruppen der Kinder interessant sei. Insofern würde man mit diesem Modell viele Kinder und Eltern glücklich machen.
Nach Information der Gemeinde beträgt die Lieferzeit für solch ein Spielgerät sechs bis acht Wochen. Noch in den Sommerferien könnte dies demnach aufgestellt werden. In den Beschluss des Rates war denn auch mit aufgenommen worden, dass die Umsetzung dieses Vorhabens unverzüglich erfolgen soll.
Mit freundlicher Genehmigung: Schaumburger Zeitung / Schaumburg-Lippische Landeszeitung
Umwelttag 2019
Vor allem in der Feldmark gibt’s viel zu tun
Die Hoffnung des Bürgermeisters Harald Niemann, nur sehr wenig Müll in der Landschaft zu finden, hat sich nicht so recht erfüllt. Denn nach der Sammelaktion war immerhin die Ladefläche eines Transporters des Bauhofes gut mit allerlei größerem Unrat und vielen blauen Säcken mit dem Kleinkram gefüllt.
Ausgerüstet mit blauen Säcken und mit „Greifern“ machen sich die Teilnehmer beim Umwelttag der Gemeinde Ahnsen zusammen mit Bürgermeister Harald Niemann auf den Weg, um im Dorf und in der freien Natur den achtlos weggeworfenen Müll zu sammeln.
Dennoch ist die Gemeinde zufrieden, denn das Müllaufkommen ist zwar immer noch reichlich, aber in den vergangenen Jahren kontinuierlich weniger geworden. Spekulationen, nach denen in ein paar Jahren überhaupt keine Sammelaktion mehr stattfinden müsste, dürften sich allerdings nicht realisieren lassen, denn auch in Zukunft werden unliebsame Zeitgenossen ihren Dreck weiterhin in der Landschaft entsorgen. Jetzt wurden sogar ein Videorekorder und ein großer Wohnzimmerteppich gefunden.
Die Gemeinde ist nach Meinung der Offiziellen zweigeteilt. Im Innenbereich ist es, wie auch jetzt wieder beim Umwelttag festgestellt wurde, sehr sauber. In der Feldmark, im Harrl und vor allem an den Durchgangsstraßen gibt es immer noch viel zu tun. So beklagen die Ahnser den Verpackungsmüll einer nahen Fast-Food-Kette, der immer wieder vor allem an Kreis- und Landesstraße, die beide das Dorf „durchschneiden“, in Mengen aufgesammelt werden muss.
"Ist es sauber, bleibt es sauber"
Und in der Gemeinde gibt es immer wieder neuralgische Punkte, die den Umweltakteuren Sorge bereiteten beziehungsweise bereiten. In der Feldmark musste viel Müll gesammelt werden, als das neue Klinikum noch Baustelle war. Das hat sich mittlerweile erledigt, aber dafür fehlt an der Akazienallee die Schranke, sodass Autos ungehindert bis in den Harrl fahren können. Sogenannte Müllfrevler nutzen derartigen Möglichkeiten sehr gern, um im Schutz der Bäume ihren Unrat zu entsorgen. Und liegt in der Natur erst einmal ein kleiner Haufen, entwickelt er sich schnellstens zu einem Müllberg. Die Erfahrung der Müllsammler: „Ist es irgendwo sauber, bleibt es auch weiterhin sauber.“
Der Umwelttag, der auf Initiative der CDU-Ratsfraktion das erste Mal im Jahr 2016 stattfand, aber mittlerweile von der Gemeinde ausgerichtet wird, war wieder bestens vorbereitet worden. Vor allem Dieter Gutzeit hatte ein Großteil der Organisation übernommen. Auf handlichen Straßenkarten war vermerkt, wo welche Arbeitsgruppe zu säubern hatte. Ferner hatte Gutzeit genügend blaue Müllsäcke und auch Greifer besorgt, mit denen die Aktiven kleineren Müll aufsammeln konnten, ohne sich immer wieder bücken zu müssen.
Nach der Arbeit das Vergnügen: Als die Teilnehmer des Umwelttages ihre Sammelaktion beendet hatten, trafen sie sich wieder am Sportplatz, um gemeinsam zu grillen und etwas zu trinken. Natürlich wurde hier noch einmal ein Fazit gezogen. Und die Saubermänner und -frauen erinnerten sich dabei an den Umwelttag 2018, als in der freien Natur fast ein komplettes Auto, allerdings fein zerlegt in seine Einzelteile, gefunden worden war. Dagegen sind die jetzigen Funde wie Teppich, Rekorder, Zinkwanne, Wasserhahn und -leitungen sowie Verpackungsmüll und diverse Plastik- und Glasflaschen nur Peanuts.
Von Cord-Heinrich Möhle
Ratssitzung 28.03.2019
Keine Schulden Pro-Kopf-Verschuldung in Ahnsen: null Euro
Gleich aus mehreren Gründen ist die Gemeinde Ahnsen nach Darlegung von Gemeindedirektor Bernd Schönemann „ganz gut aufgestellt“. Ahnsen ist in der glücklichen Situation, keinerlei Schulden zu haben.
Zum einen wartet der für dieses Jahr vorgestellte Ergebnishaushalt unterm Strich mit einem kleinen Plus in Höhe von 1900 Euro auf. Dieser Überschuss ergibt sich aus der Differenz zwischen den erwarteten Erträgen (794700 Euro) und den geschätzten Aufwendungen (792800 Euro). Außerdem verfügt die Gemeinde Schönemann zufolge über liquide Mittel in Höhe von rund 550.000 Euro sowie über eine finanzielle Beteiligung (Wert: 109600 Euro) an der Kreiswohnbau GmbH. Und schließlich ist Ahnsen in der glücklichen Situation, keinerlei Schulden zu haben. Das, so der Gemeindedirektor, entspreche einer Pro-Kopf-Verschuldung der Einwohner von null Euro.
Hinsichtlich der kalkulierten Steuern und Umlagen berichtete Schönemann, dass die Verwaltung die jeweiligen Haushaltsansätze „eher vorsichtig geplant“ habe. So rechnet die Gemeinde mit Steuereinnahmen in einer Größenordnung von 745000 Euro, die sich dergestalt aufgliedern: 4800 Euro Grundsteuer A, 99.200 Euro Grundsteuer B, 134.700 Euro Gewerbesteuer, 3300 Euro Hundesteuer, 460.000 Euro Anteil an der Einkommensteuer und 43000 Euro Anteil an der Umsatzsteuer.
Demgegenüber stehen folgende anhand der Steuerkraft der Gemeinde berechnete und von dieser zu zahlende Transferleistungen: 237000 Euro Samtgemeindeumlage, 342900 Euro Kreis- und 24.500 Euro Gewerbesteuerumlage.
20.000 Euro für Anschaffung neuer Spielgeräte
Für Investitionen (Finanzhaushalt) sind insgesamt 27.200 Euro eingeplant: 20.000 Euro für die Anschaffung neuer Spielgeräte für den am Sportplatz gelegenen Kinderspielplatz, 3000 Euro an Ingenieurkosten zum Zwecke der Konzeption einer neuen Heizungsanlage für das Dorfgemeinschaftshaus und 4200 Euro für die Erweiterung der Gosse in der Straße An der Aue.
Über die derzeit laufende Sanierung der Vehler Straße/ Friedrich-Ebert-Straße (Landesstraße 451) und deren Auswirkung auf die Haushaltsplanung der Gemeinde Ahnsen informierte Schönemann ebenfalls: „Im Haushaltsjahr 2018 wurde mit der Sanierung der L451 begonnen. Dafür waren 479.500 Euro an Baukosten für den Regenwasserkanal und 205000 Euro für den Anteil der Gemeinde an den Baukosten des Radwegs eingeplant“, berichtete er. Davon seien 2018 aber nur 150.900 Euro an Regenwasserkanal-Baukosten bezahlt worden, sodass man 328600 Euro als Haushaltsrest in das jetzige Haushaltsjahr habe übertragen können.
Von dem für 2018 eingeplanten Zuschuss des Landes Niedersachsen (62.000 Euro) waren laut Schönemann seinerzeit 50.000 Euro eingegangen. Den somit noch ausstehenden Zuschussbetrag (12.000 Euro) hat die Verwaltung in das Haushaltsjahr 2019 übernommen. In voller Höhe sind dagegen die ebenfalls schon 2018 eingeplanten Erschließungsgebühren (239.800 Euro) in die diesjährige Haushaltsplanung übertragen worden. wk
Mit freundlicher Genehmigung: Schaumburger Zeitung / Schaumburg-Lippische Landeszeitung
Ausbau L451
L 451-Sanierung beginnt
Am 13. August geht es los
AHNSEN. In einer „unendlichen Geschichte“ zeichnet sich tatsächlich ein Schluss ab – der Ausbau der Ortsdurchfahrt Ahnsen beginnt. Die Niedersächsische Landesbehörde für Straßenbau und Verkehr – Geschäftsbereich Hameln – teilt schwarz auf weiß mit: Baubeginn ist am 13. August, also in knapp zwei Wochen. Doch bis zum Happy End müssen sich die Ahnsener noch knapp eineinhalb Jahre gedulden. Ende 2019 soll das komplexe Straßen- und Kanalbauprojekt fertig sein.
veröffentlicht am 03.08.2018
Die Vehler Straße und die Friedrich-Ebert-Straße in Ahnsen im Zuge der L 451 sind in einem maroden Zustand – und das nicht erst seit gestern. Seit über 25 Jahren heißt es, dass dieser Abschnitt der Landesstraße saniert werden muss. Immer wieder wurden Gemeinderat und Anwohner vertröstet: Mal fehlte das Geld, dann wurden andere Prioritäten gesetzt, es gab Abstimmungsprobleme zwischen den zahlreichen Beteiligten und zuletzt Verzögerungen bei der Planung und der Vergabe der Aufträge. 2016 hatte Behördenleiter Markus Brockmann die Ortsdurchfahrt gegenüber unserer Zeitung als „allerschlechteste Landesstraße, die wir in den Landkreisen Schaumburg, Hameln-Pyrmont und Holzminden haben“ bezeichnet und die baldige Sanierung angekündigt. Flickstellen, Schlaglöcher und Risse in der Fahrbahn prägen das Bild. Ganz zu schweigen davon, dass der Straßenquerschnitt alles andere als zeitgemäß ist: In weiten Teilen fehlen Gossen, Rad- und Fußweg. Durch das ständig zunehmende Verkehrsaufkommen stieg deshalb auch die Gefährdung für Radfahrer und Fußgänger – Tempo 30 wurde angeordnet.
Jetzt heißt es in einer Pressemitteilung der Landesbehörde für Straßenbau: „Anwohner und Verkehrsteilnehmer müssen sich ab dem 13. August auf Behinderungen in Ahnsen einstellen. Grund sind Bauarbeiten für den Ausbau der Landesstraße 451 im Bereich der Gemeinde.“ Und die Behörde nennt weitere Details: Die L 451 werde innerhalb der Ortsdurchfahrt komplett ausgebaut und erhalte Geh- und Radwege.
Feinabstimmung erforderlich
Neben den Straßenbauarbeiten werden gleichzeitig Kanäle und Leitungen erneuert. Das macht eine aufwendige Feinabstimmung zwischen verschiedenen Trägern notwendig: Mit im Boot sind neben der Landesbehörde für Straßenbau auch die Stadtwerke Schaumburg-Lippe, der Abwasserverband Auetal sowie Gemeinde und Samtgemeinde. Schmutz- und Regenwasserkanalisation werden erneuert, außerdem werden neue Gas- und Wasserleitungen verlegt.
Wegen der Komplexität der Arbeiten erfolgt der Ausbau in drei Bauabschnitten. Laut Landesbehörde für Straßenbau liegt der erste Abschnitt zwischen der Einmündung Schulstraße/In der Flöte und der Einmündung Bahnhofstraße. Für Anlieger sowie den Zulieferverkehr seien Behinderungen nicht zu vermeiden: Aufgrund der beengten Verhältnisse werde in der Ortslage nämlich unter Vollsperrung gebaut. Es sei nur ein eingeschränkter Anliegerverkehr möglich. Eine örtliche Umleitung wird eingerichtet. Diese führt über die Kreisstraßen 10 und 73 (Krainhäger Straße, Eilsener Straße, Zum Schaumburger Klinikum). Wie berichtet war die Krainhäger Straße kürzlich noch repariert worden. Die Bauarbeiten werden bis zum Jahresende 2019 andauern, heißt es in der Pressemitteilung.
Gemeinde beteiligt sich an den Kosten
Ein Blick auf den neuen Straßenquerschnitt: Die Fahrbahn wird durchgehend geringfügig verbreitert, sechs Meter sind geplant. Auf westlicher Seite wird der neue Geh- und Radweg gebaut. Dieser reicht von der Einmündung der K 10 bis zur Einmündung der K 73. Dieser wird 2,50 Meter breit. Auf 1,5 Meter Breite neu angelegt wird der auf der östlichen Seite der L 451 in Ahnsen bereits vorhandene Gehweg.
Die Kosten für die gesamte Baumaßnahme beziffert die Straßenbauverwaltung auf ungefähr 3,2 Millionen Euro. Diese verteilen sich auf das Land Niedersachsen, den Abwasserverband Auetal sowie der Gemeinde Ahnsen und die Stadtwerke Schaumburg-Lippe. Das Land ist für den Straßenbau zuständig. Die Gemeinde Ahnsen beteiligt sich an den Kosten für Geh- und Radweg sowie den Regenwasserkanal. Die Erneuerung des Schmutzwasserkanales trägt dagegen der Abwasserverband Auetal, während die Stadtwerke Schaumburg-Lippe die Verlegung der neuen Gas- und Trinkwasserleitung bezahlen.
Termin: Für betroffene Anlieger findet am 15. August um 19 Uhr eine Bürgerinformation im Dorfgemeinschaftshaus statt. Bei dem Termin wird der Bauablauf von der ausführenden Firma erläutert, sowie Fragen beantwortet.
(von Karsten Klaus)
mit freundlicher Genehmigung, Schaumburger Zeitung, Schaumburger Landeszeitung
AHNSEN. Als Service für die Einwohner der Gemeinde Ahnsen hatte Harald Niemann nach seiner im November 2016 erfolgten Wahl zum neuen Bürgermeister des Dorfes eine an feste Termine gebundene „Bürgermeistersprechstunde“ eingeführt. Bürger, die sich beispielsweise zu behördlichen Fragen informieren oder sich bei ihm über etwaige Missstände im Ort beklagen wollten, konnten somit ohne vorherige Absprache an jedem ersten oder vierten Donnerstag eines Monats in der Zeit von 16 bis 18 Uhr in das Ahnser Dorfgemeinschaftshaus (Schulstraße 5) kommen, um die sie interessierenden Themen zu erörtern. Zusätzlich bestand freilich auch die Möglichkeit, individuelle Gesprächstermine mit ihm zu vereinbaren.
Die Resonanz auf das neue Angebot war jedoch fast null: In den vergangenen Monaten habe nur eine Einwohnerin die „Bürgermeistersprechstunde“ genutzt, berichtet Niemann. Warum dieser Service nicht in stärkerem Maße angenommen wurde, vermag er nur zu vermuten: Möglicherweise habe es daran gelegen, dass man die „Bürgermeistersprechstunde“ nicht groß publik gemacht habe. Denn stattdessen sei im Grunde lediglich auf der Homepage der Samtgemeinde Eilsen auf diese fixen Termine hingewiesen worden.
Die geringe Nachfrage hat Niemann nun zum Anlass genommen, seine „Bürgermeistersprechstunde“ ab sofort nur noch einmal pro Monat anzubieten – und zwar stets am ersten Donnerstag des jeweiligen Monats in der Zeit von 16 bis 18 Uhr im Dorfgemeinschaftshaus.
Darüber hinaus können die Bürger bei Bedarf aber nach wie vor auch individuelle Gesprächstermine mit ihm vereinbaren: „Wenn etwas Konkretes anliegt, stehe ich natürlich immer zur Verfügung“, betont der Bürgermeister.
(von Michael Werk)
mit freundlicher Genehmigung, Schaumburger Zeitung, Schaumburger Landeszeitung
Ortseingangsschild
CDU-Ratsfraktion Ahnsen gestaltet Hinweistafeln neu
AHNSEN. Mit einem freundlichen „Herzlich willkommen“ werden seit ein paar Tagen all jene Verkehrsteilnehmer am Ortseingang Ahnsens begrüßt, die über die Bückeburger Straße oder über die Vehler Straße in das Dorf einfahren. Zu lesen ist dieser Gruß auf zwei weißen Schildern, welche die alten Informationstafeln ersetzen, die bislang an diesen beiden Stellen am Ortsrand zu finden waren.
Für die Neugestaltung hatte man sich entschieden, weil die Informationstafeln etwa hinsichtlich der Angaben zu den in Ahnsen ansässigen Unternehmen nicht mehr aktuell waren, erklärt Dieter Gutzeit (CDU-Ratsfraktion). Gleiches habe für die darauf abgebildeten Ortskarten gegolten, auf denen die dazugehörigen Firmenstandorte markiert waren. Hätte man dieses Informationsangebot für Besucher Ahnsens up to date halten wollen, hätte man die Tafeln im Grunde jedes Jahr inhaltlich überarbeiten müssen. Und, was auch eine Rolle für die Neugestaltung gespielt hat: „Für solche Infos hält keiner mehr an.“ Stattdessen nutze man heutzutage das Internet und Navigationsgeräte.
Zur Historie berichtete Gutzeit, dass die CDU-Ratsfraktion bereits im Jahr 1984 die ersten beiden Informationstafeln am Ortsrand gesponsert hatte.
Die grafische Gestaltung hatte seinerzeit der Ahnser Kunstmaler Alfred Gohl übernommen. 2005 wurden die Info-Tafeln dann erneuert. Nachdem die gesamte Holzkonstruktion der an der Bückeburger Straße platzierten Informationstafel durch den am 18. Januar 2007 über die Region hinweggefegten Sturm „Kyrill“ zerlegt worden war, wurde diese wieder zusammen- und an gleicher Stelle aufgebaut. Anlässlich der jetzigen Umgestaltung wurde bei dieser Gelegenheit auch gleich das hölzerne Gestell samt Dach renoviert.
Wobei das ganze Konstrukt laut Robert Pavlista, dem Fraktionssprecher der Ahnser Christdemokraten, nun auch dadurch schön zur Geltung kommt, dass die zuvor in diesem Bereich mit kleinen Büschen beziehungsweise Bodendeckern bepflanzten Rabatten jetzt mit großen Rasen- und kleinen Schotterflächen und neu angelegt worden sind – eine Maßnahme, die von Mitarbeitern des Bauhofes der Samtgemeinde Eilsen durchgeführt wurde.
Obwohl die beiden Info-Tafeln respektive Begrüßungsschilder von Anfang an ein Projekt der CDU-Ratsfraktion sind, erfolgte deren Aufstellung freilich stets in Absprache mit dem gesamten Gemeinderat, betont Gutzeit. Denn: „Das ist für den Ort.“
Als Bürgermeister freue er sich selbstverständlich über dieses Engagement der CDU-Ratsfraktion, sagt Harald Niemann, der bei der vergangenen Kommunalwahl als Parteiloser auf der SPD-Liste in das Ortsparlament eingezogen ist. Und die auf den Schildern zu lesende Begrüßung „Herzlich willkommen in Ahnsen“ sei doch eine klare Aussage.
(von Michael Werk)
mit freundlicher Genehmigung, Schaumburger Zeitung, Schaumburger Landeszeitung
Ratssitzung Haushalt
152 100 Euro Minus
Einbruch bei Gewerbesteuer belastet Ahnser Gemeindekasse
AHNSEN. Ein spürbarer Gewerbesteuereinbruch belastet derzeit den Ergebnishaushalt der Gemeinde Ahnsen. So muss die Gemeinde in diesem Jahr mit einem Finanzhaushaltsdefizit in Höhe von 152 100 Euro zurechtkommen.
AHNSEN. Die Gemeinde Ahnsen muss in diesem Jahr mit einem deutlichen Haushaltsdefizit in Höhe von 152 100 Euro klarkommen, da die in ihrem Ergebnishaushalt eingeplanten Erträge (621 100 Euro) nicht ausreichen, um die Aufwendungen (773 200 Euro) auszugleichen.
„Wir haben leider nicht das Glück, dass außerordentliche Erträge anfallen“, kommentierte Bernd Schönemann, der Gemeindedirektor, das von ihm vorgestellte Zahlenwerk bei der jüngsten Sitzung des Gemeinderates. Dabei spielte er auf die Nachbargemeinde Bad Eilsen an, die aufgrund eines in diesem Jahr zu verbuchenden Grundstücksverkaufs mit eben solch einer Sondereinnahme aufwarten kann (wir berichteten). Bis man selbst wieder einen ausgeglichenen Ergebnishaushalt habe, werde es mehr als drei Jahre dauern, prognostizierte er.
Ursächlich für das jetzige Haushaltsminus ist letztlich ein massiver Einbruch im Bereich der Gewerbesteuereinnahmen: Während die Gemeinde Ahnsen im Haushaltsjahr 2015 noch knapp 395 300 Euro an Gewerbesteuern als Ertrag verbuchen konnte, musste sie im Haushaltsjahr 2016 gemäß vorläufigem Rechnungsergebnis Gewerbesteuern in Höhe von rund 137 200 Euro zurückzahlen. Für das laufende Haushaltsjahr 2017 rechnet die Verwaltung lediglich mit 68 900 Euro an Gewerbesteuereinnahmen.
Darüber hinaus erwartet die Gemeinde folgende Steuereinnahmen: Einkommensteueranteil 430 000 Euro, Umsatzsteueranteil 27 000 Euro, Grundsteuer A 4700 Euro, Grundsteuer B 75 900 Euro und Hundesteuer 3600 Euro. Auf der Ausgaben-Seite stehen dagegen unter anderem die Samtgemeindeumlage (234 300 Euro), die Kreisumlage (339 600 Euro) und die Gewerbesteuerumlage (14 200 Euro).
Überdies sind Investitionen geplant: So soll etwa die Straßenbeleuchtung des Dorfes auf eine energiesparende LED-Beleuchtung umgerüstet werden, wofür – der Einbau von Überspannungsschutz-Technik und die Installation einiger neuer Straßenlampen mit eingerechnet – 69 000 Euro veranschlagt sind. Andere Vorhaben wie beispielsweise der Einbau einer neuen Küche ins Dorfgemeinschaftshaus (5000 Euro), der Einbau einer neuen Heizungssteuerung (5000 Euro) und die Anschaffung von Spielgeräten (3700 Euro) dazugerechnet, summieren sich die Investitionen auf 84 700 Euro.
von Michael Werk
Mit freundlicher Genehmigung: Schaumburger Zeitung / Schaumburg-Lippische Landeszeitung
Bauausschuss 02.03.2017
Straßenbeleuchtung 4100 Euro weniger pro Jahr
Rund 16.500 Kilowattstunden Strom könnte die Gemeinde Ahnsen pro Jahr einsparen, wenn sie die insgesamt 96 konventionellen Straßenlaternen im Ort mit energiesparenden LED-Leuchten ausrüstet. Ausgehend von den derzeitigen Strompreisen würde dies eine Einsparung in Höhe von etwa 4100 Euro bedeuten.
Ahnsen
. Das brächte zugleich eine Reduzierung der Kohlendioxid-Emissionen um 9,7 Tonnen pro Jahr mit sich.
Diese Perspektive präsentierte Frank Rottmann, Mitarbeiter der in Paderborn ansässigen Westfalen Weser Netz GmbH, bei der jüngsten Sitzung des Bau- und Umweltausschusses der Gemeinde Ahnsen. In seinem Vortrag führte der Energieexperte weiter aus, dass in Ahnsen bereits zwölf Straßenlaternen mit LED-Leuchten installiert sind, während 38 Laternen mit Natriumdampf-Hochdrucklampen und 58 Laternen mit Leuchtstofflampen ausgerüstet sind. Basierend auf diesen unterm Strich 108 „Lichtpunkten“ hatte er – zum Vergleich – für das Jahr 2015 einen Gesamtstromverbrauch in einer Größenordnung von 23.825 Kilowattstunden ermittelt.
Umrüstung würde auch der Umwelt nutzen
Der von Rottmann ausgearbeitete Sanierungsvorschlag sah so aus, dass die Gemeinde die 36 Watt starken Leuchtstofflampen in den „Langfeldleuchten“ gegen LED-Leuchten mit einer Leistung von 21 Watt tauschen sollte, die dann täglich in der Zeit von 22 Uhr bis 6 Uhr automatisch um etwa 50 Prozent in ihrer Leistung reduziert werden könnten.
Ähnlich könnte mit den 50 Watt starken Natriumdampf-Hochdrucklampen verfahren werden, die in 29 „Koffer-Kugelleuchten“ eingebaut sind; ebenso mit den neun „Kofferleuchten“, die jeweils drei Lampenköpfe mit Natriumdampf-Hochdrucklampen à 70 Watt haben. Dabei würden die Natriumdampf-Hochdrucklampen allerdings (abhängig vom Laternentyp) durch 18-Watt- respektive 36-Watt-LED-Leuchten ersetzt.
Exakt 45.859 Euro müsste die Gemeinde Ahnsen dafür investieren, könnte dafür aber auch einen 20-prozentigen Förderzuschuss (9172 Euro) beim Bundesministerium für Umweltschutz und Reaktorsicherheit beantragen, so Rottmann.
Fein- und Grobschutz extra
Um die Straßenlaternen vor Überspannungsschäden infolge Blitzschlages zu schützen, empfahl Rottmann, zusätzlich noch in jeden der 108 Lampenmasten einen sogenannten „Fein-Schutz“ (circa 93 Euro pro Stück) einzubauen. Zudem sollte in die vorhandene Schaltanlage („Versorgung der Beleuchtung“) ein „Grob-Schutz“ eingebaut werden, für den etwa 530 Euro zu veranschlagen seien. In Summe würde der Überspannungsschutz also mit gut 10.600 Euro zu Buche schlagen.
Ergänzend zeigte Frank Rottmann noch auf, was es die Gemeinde kosten würde, wenn am Birkenweg und am Rosenweg jeweils zwei Laternen mit LED-Beleuchtung sowie auf dem Parkplatz am Dorfgemeinschaftshaus eine Laterne mit LED-Beleuchtung neu installiert werden würden. Demnach sind dafür – die Kosten für die Verlegung eines rund 90 Meter langen Erdkabels im Rosenweg eingerechnet – Gesamtkosten in Höhe von 14.700 Euro einzuplanen.
Nach diesem Vortrag beschloss der Bau- und Umweltausschuss die an den Rat der Gemeinde Ahnsen gerichtete Empfehlung, dass der Ortsrat im 2017er Haushalt entsprechende finanzielle Mittel für die von der Westfalen Weser Netz GmbH vorgeschlagenen Maßnahmen bereitstellen soll. Wk
mit freundlicher Genehmigung: Schaumburger Zeitung/Schaumburg-Lippische-Landeszeitung
Wahlabend mit Spannung
„So ein großes Publikum hatten wir lange nicht mehr“, stellte Klaus Hartmann, der aus dem Amt scheidende Bürgermeister, zu Beginn der konstituierenden Sitzung des Ahnsener Gemeinderates fest.
Ahnsen
. Und in der Tat war der Saal des Dorfgemeinschaftshauses mit rund zwei Dutzend Zuschauern gut gefüllt, verglichen mit der meist schwachen Zugkraft, die „normale“ Ratssitzungen haben.
Diesmal war ein spannender Abend zu erwarten– insbesondere wegen der Dissonanzen zwischen CDU- und SPD-Fraktion, die bereits im Vorfeld, der an diesem Abend durchzuführenden Bürgermeisterwahl deutlich geworden waren (wir berichteten).
Erwartungsgemäß schlugen die Sozialdemokraten Harald Niemann, der bei der Kommunalwahl als Parteiloser auf der SPD-Liste kandidiert und 49 Wählerstimmen erhalten hatte, als Kandidaten für den Bürgermeister-Posten vor. Wolfgang Faulhaber, der Chef des SPD-Fraktion, kommentierte dies mit dem an die Christdemokraten adressierten Hinweis, dass „persönliche Wünsche“ bei dieser Wahl „eher hinderlich“ seien. Zudem appellierte er „ausdrücklich“ an die CDU-Fraktion, ihre vor der Bürgermeisterwahl gemachten Aussagen bezüglich der Bildung von Ausschüssen zu „überdenken“.
Zur Erinnerung: Der CDU-Spitzenkandidat Dieter Gutzeit hatte bei der Kommunalwahl die mit Abstand meisten Wählerstimmen aller angetretenen Kandidaten erhalten – nämlich 232. Deshalb, weil die SPD vor der Kommunalwahl keinen Bürgermeisterkandidaten benannt hatte und da er – anders als der in seinen Augen politische „Neuling“ Niemann – über eine langjährige Erfahrung in Sachen Lokalpolitik verfügt, hatte sich Gutzeit große Hoffnungen gemacht, neuer Bürgermeister von Ahnsen zu werden. Doch aufgrund Niemanns Interesse am Bürgermeisterposten und wegen der Sitzmehrheit der SPD-Fraktion im Gemeinderat war dieser Traum schon vor der jetzigen Sitzung so gut wie ausgeträumt.
Ein Neuling, aber mit Lebenserfahrung
Daher hatte Gutzeit vorab erklärt, dass er sich nur zum Vize-Bürgermeister wählen lassen würde, „wenn die SPD das von uns gewünschte klare Signal gibt, dass in der folgenden Legislaturperiode die beiden Fraktionen eng zusammenarbeiten“. Und zwar, indem auf die Bildung von Ausschüssen verzichtet wird und gemeinsame Fraktionssitzungen abgehalten werden. Begründet wurde dies mit großen Projekten (etwa die Sanierung der durch den Ort führenden Landesstraße 451), die in der neuen Legislaturperiode im Rat zu behandeln sind.
Bei der konstituierenden Gemeinderatssitzung merkte Faulhaber hierzu an, dass gewählte Ratsmitglieder aus Sicht der Sozialdemokraten auch die „Pflicht zur Mitarbeit“ haben – nicht nur im Rat, auch in Ausschüssen.
Erwartungsgemäß unterlag Gutzeit seinem politischen Kontrahenten Niemann dann bei der Kampfabstimmung über den neuen Bürgermeister mit fünf zu sechs Stimmen, entsprechend der aktuellen Sitzverteilung von CDU und SPD im Rat.
Vor der Wahl der beiden Stellvertretenden Bürgermeister regte Faulhaber eine kurze Unterbrechung der Sitzung an, um den Christdemokraten die Gelegenheit zu geben, ihre im Vorfeld gezeigte Haltung zu überdenken.
Der Zeitungsbericht sei „Wahlkampfgeplänkel“ gewesen, erwiderte Gutzeit. Zudem erneuerte er die Forderungen nach gemeinsamen Fraktionssitzungen und dem Verzicht auf Ausschüsse. Im Klartext: „Nur unter diesen Bedingungen“ würde „einer von uns“ dieses Amt annehmen.
Fraktionssitzungen seien Sache der jeweiligen Fraktion, betonte Faulhaber. Woraufhin Robert Pavlista (Sprecher der CDU-Fraktion) verkündete, dass man „aus bekannten Gründen“ keinen Gegenkandidaten stelle und auch bei dieser Abstimmung eine geheime Wahl beantrage.
Das Ergebnis sah dann so aus: Zum 1. Stellvertretenden Bürgermeister wurde – ohne Konkurrenz – mit sechs zu fünf Stimmen Faulhaber gewählt. Ebenfalls ohne Gegenkandidat und mit gleichem Stimmenverhältnis wurde der von der SPD-Fraktion vorgeschlagene Sozialdemokrat Frank Struckmeier zum 2. Stellvertretenden Bürgermeister gewählt.
Als neuer Bürgermeister Ahnsens räumte Niemann ein, dass er zwar ein „Neuling in der Politik“ sei. Gleichwohl habe er, mittlerweile 50 Jahre alt, durchaus ein großes Maß an Lebenserfahrung und Wissen, woraus er in diesem Amt schöpfen könne. Und überhaupt: Über politische Erfahrung zu verfügen helfe sicherlich, Entscheidungen zu treffen. Aber es verleite möglicherweise dazu, Dinge nicht zu hinterfragen und über Themen hinwegzuschauen.
wk
Schmiedekreisel
AHNSEN. Im Kreuzungsbereich L 451/K 10 ist wohl doch ein Kreisverkehr realisierbar. Dies legt eine Untersuchung der Ratsherren Robert Pavlista und Carsten Borrmann nahe. Der Gemeinderat Ahnsen sprach sich nun für die Beauftragung eines Fachplaners aus.
AHNSEN. „Respekt! Eine gute Idee bleibt eine gute Idee, egal woher sie kommt!“, lobte Wolfgang Faulhaber. Das Kompliment des SPD-Fraktionssprechers im Ahnsener Geminderat ging an Robert Pavlista und Carsten Borrmann aus der CDU-Fraktion, die mit viel Akribie die Machbarkeit eines Kreisverkehrs im Kreuzungsbereich L 451/K 10 untersucht hatten. Das für alle überraschende Ergebnis: Der Kreisel an der wohl wichtigsten Ahnsener Kreuzung ließe sich realisieren – und wäre auch finanzierbar. Der Rat zog gleich Konsequenzen: Die Verwaltung wurde beauftragt, einen Experten mit Detailplanungen zu beauftragen.
In der Vergangenheit war ein Kreisel im Kreuzungsbereich Fiedrich-Ebert-Straße, Theodor-Heuß-Straße, Krainhäger Straße, Neumühlener Straße schon häufiger diskutiert worden. Ergebnis: Unrealistisch. Diese Ansicht beruhte auf den Annahmen, dass die Kosten für die Gemeinde zu hoch würden, möglicherweise Grunderwerb getätigt werden müsste und der Ausbau der L 451 verzögert würde.
Diese Prämissen widerlegten Pavlista und Borrmann aber in ihren Untersuchungen, in die sie neben eher allgemeinen Veröffentlichungen zum Thema auch ganz konkrete Erfahrungen in den Nachbarkommunen wie Bückeburg und Porta Westfalica einbezogen.
Danach kommt für Ahnsen ein sogenannter „Kleiner Kreisverkehr“ mit einem Durchmesser von gut 30 Metern infrage. Als Referenz wurde der Kreisel in Bückeburg an der Kreuzbreite he-rangezogen. Dieses „Modell“ ließe sich auch in Ahnsen ohne Grunderwerb realisieren.
Die Vorteile eines Kreisels sind allgemein anerkannt und werden durch praktische Erfahrungen in Bückeburg bestätigt. Dazu gehören ein gleichmäßiger Verkersverlauf mit kurzen Wartezeiten, verminderte Emissionen bei Lärm und Schadstoffausstoß, die Möglichkeit der Gestaltung zur Aufwertung des Ortsbildes, deutlich niedrige Geschwindigkeiten und weniger Unfälle.
Selbst wenn es im Kreisel einmal kracht, fallen die Schäden bedingt durch die niedrige Durchschnittsgeschwindigkeit von 20 Stundenkilometern deutlich geringer aus als bei Kreuzungsunfällen. Nach Zahlen der Polizei kam es an der Ahnsener Kreuzung allein von 2012 bis 1015 zu 13 Verkehrsunfällen. Bei vier dieser Unfälle wurden Verkehrsteilnehmer verletzt.
Die Umbaukosten der Kreuzung zum Kreisverkehr dürften sich auf ungefähr 300 000 Euro belaufen. Solche Projekte werden vom Land nach dem Gemeindeverkehrsfinanzierungsgesetz mit bis 75 Prozent bezuschusst. Der Eigenanteil der Gemeinde ließe sich wohl durchaus verkraften. Für die Planung rechnet Gemeindedirektor Bernd Schönemann mit Kosten in Höhe von gut 5000 Euro.
Selbst eine zeitnahe Umsetzung des Projektes würde die Sanierung und den Ausbau der L 45
1 nicht beeinträchtigen. Wie berichtet war dieses Projekt auf 2017 verschoben worden. Nun könnte möglicherweise im kommenden Jahr in Ahnsen „in einem Abwasch“ gebaut werden.
Die Fraktionen hatten sich bereits im Vorfeld der Ratssitzung intensiv mit dem Kreiselprojekt beschäftigt. Dort stieß es, ähnlich wie jetzt auch im Rat, auf große Zustimmung. Im Gemeinderat stimmte nur Hans-Jürgen Kauffeld dagegen. Jetzt wurde allerdings zunächst nur über die Beauftragung eine Fachplaners beschlossen.
Damit ist noch keine Entscheidung über den eigentlichen Kreiselbau gefallen – diese wäre dann von den Detailplanungen abhängig.
ToDo-Liste
CDU-Antrag für To-do-Liste erzürnt Gemeinderat Ahnsen
Mit deutlichen Worten hat Bernd Schönemann bei der Sitzung des Ahnser Gemeinderates nach einer bereits kontroversen Diskussion klargestellt, dass die Verwaltung keine öffentliche To-do-Liste pflegen wird. Damit reagierte der Gemeindedirektor auf einen Vorstoß der CDU-Ratsfraktion, die die Einführung einer solchen Liste beantragt hatte.
Gemeinderat 2021
Konstituierende Sitzung des Gemeinderates / CDU-Urgestein Dieter Gutzeit verzichtet auf Mandat
Pierre Pohl neuer Bürgermeister in Ahnsen
AHNSEN. In der Frage, wem das Bürgermeisteramt übertragen wird, hat bei der konstituierenden Sitzung des Ahnser Gemeinderates Einstimmigkeit geherrscht: die Ratsmitglieder votierten für Pierre Pohl von der SPD-Fraktion. Bei der Wahl der beiden Stellvertreter zeigte sich indes keine solche Geschlossenheit.
Eine unerwartete Entwicklung ist, dass das CDU-Urgestein Dieter Gutzeit trotz der vielen von ihm bei der Kommunalwahl geholten Wählerstimmen auf sein gewonnenes Ratsmandat verzichtet hat. Seinen Beweggrund hat er im Gespräch mit dieser Zeitung erläutert.
veröffentlicht am 26.11.2021 um 15:28 Uhr
